Petco Text Logo
Petco Pet Logo

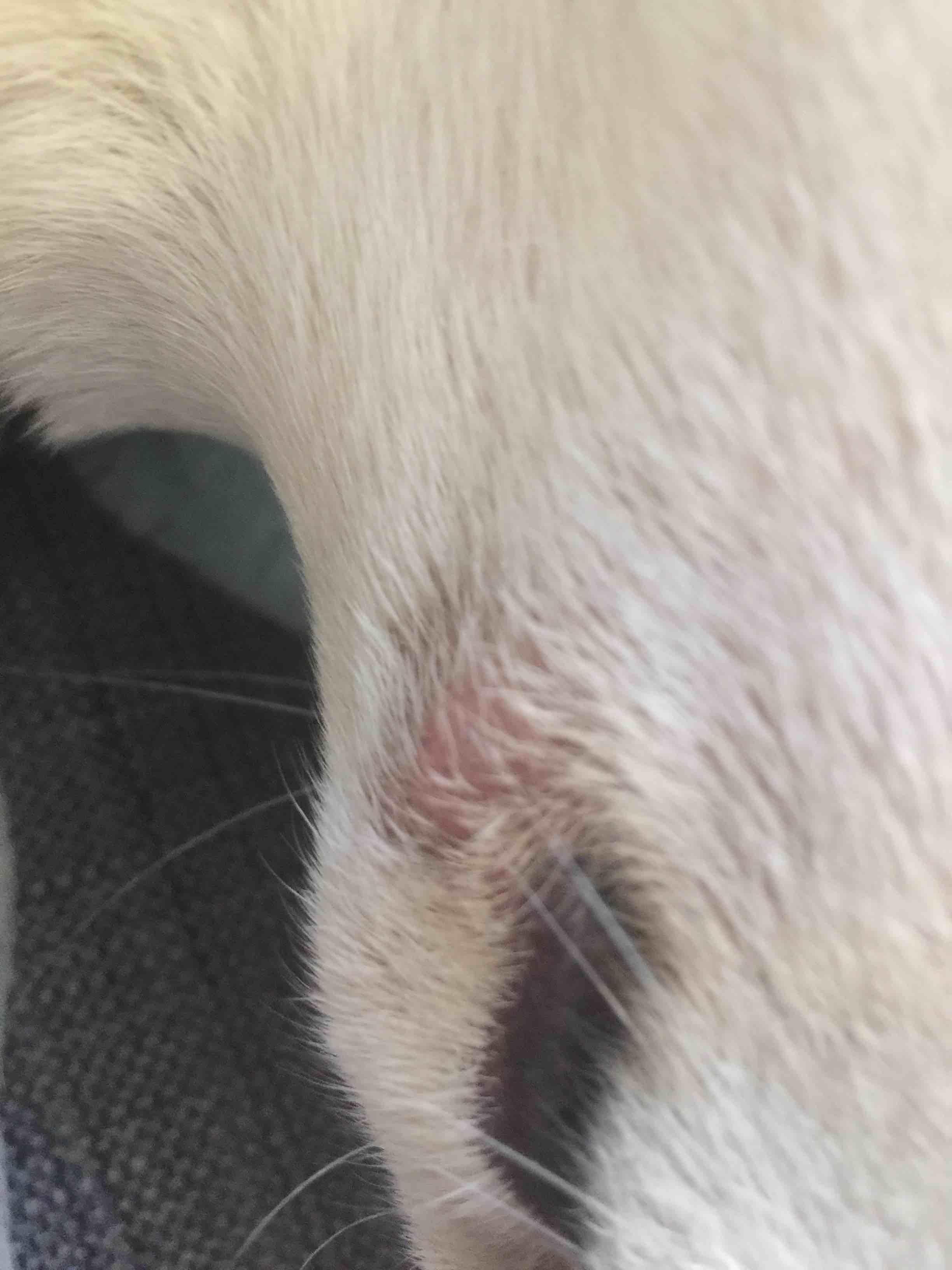
My dog has a red, growing rash near its mouth. What should I do?

Updated On September 23rd, 2025

Pet's info: Dog | Husky | Female | spayed | 1 year and 5 months old | 54 lbs

A weird rash type looking thing randomly showed up on the left edge of my dog’s mouth a few days ago. It seems to be getting more red and potentially increasing in size. What could this be? I’m attaching one photo from a few days ago and two from today so you can see the change.

This question includes photos that may contain sensitive content. Click to view.

View more to consider that the photos may include sensitive content.

1 Answer

Most Helpful Answer

Image profile

Answered By Dr. Massimo Orioles, DVM, Cert AVP, MRCVS

Veterinarian

Published on October 30th, 2018

This presentation is likely to be caused by a localized spot of skin infection (likely to be caused by bacteria or fungi). A check up, appropriate disinfection and possibly antibiotics (oral, topical or in a shampoo formulation) are needed to solve the problem. Disinfection may be started at home with very diluted hibiscrub or betadine or salted water baths. Buster collar may be useful as well to avoid any scratching. Hope this answer was helpful, but please do not hesitate to contact us again on the forum or by requesting a consultation if you have any more questions or to discuss it any further.

Vote icon

1Pet Parents found this answer helpful

image
Have A Vet Question?

Book an appointment with the pros – our expert vets are here to help.

Sponsored