Petco Text Logo
Petco Pet Logo

My new dog has a red spot on her leg. Is it ringworm? What to do?

Updated On September 23rd, 2025

Pet's info: Dog | Miniature Poodle | Female | spayed | 1 year and 1 month old | 11 lbs

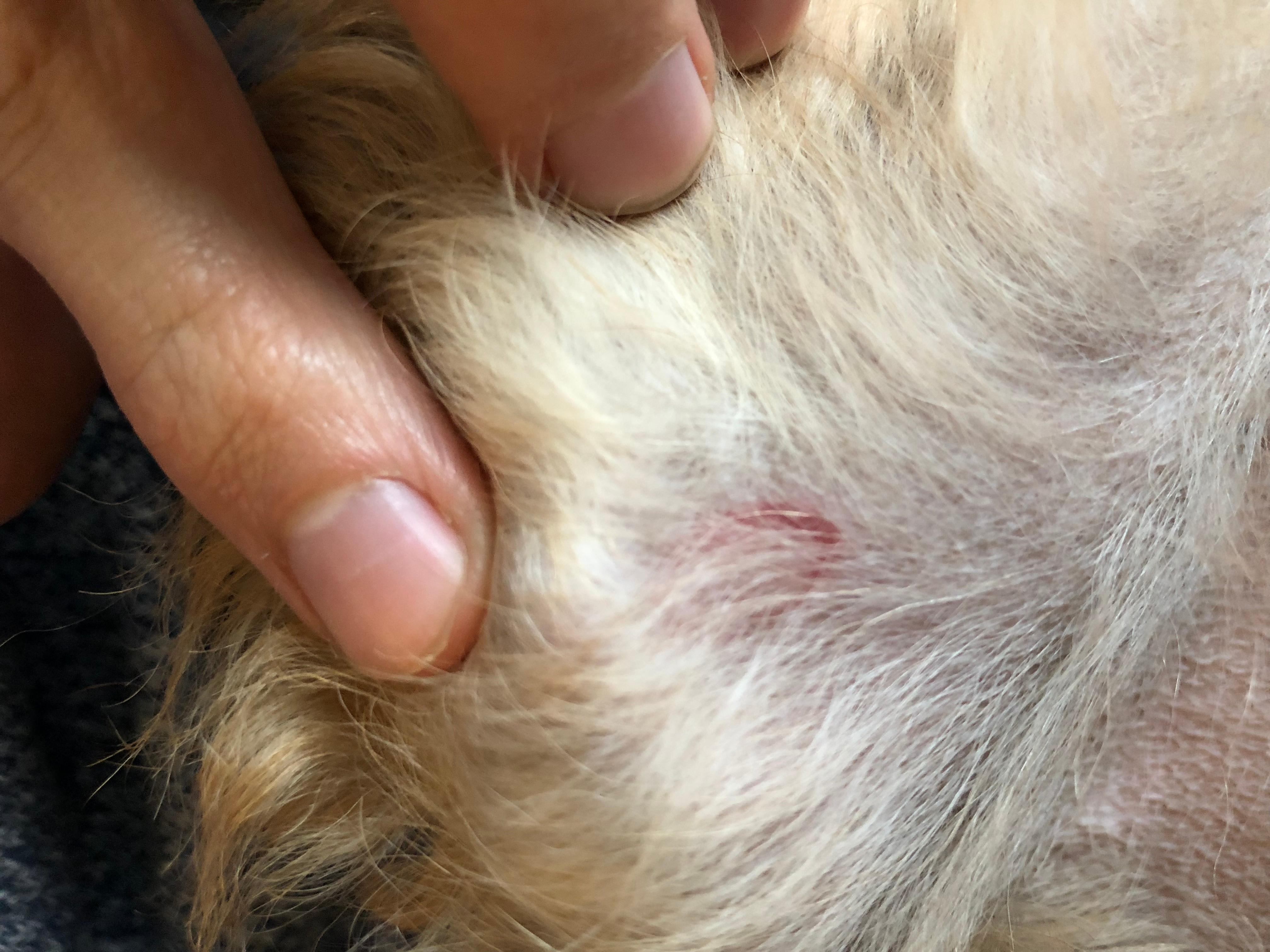
Does my dog have ringworm? I just adopted my dog from a local shelter two weeks ago, and at the time the vet there didn’t notice any lesions or skin issues. But I noticed today a bright red spot on her inner left hind leg, by the knee. I had a wellness checkup scheduled with her vet for Nov 10, but now I’m hoping to bring her in ASAP to check our this potential issue. But the vet doesn’t open until Tuesday. I would simply like some peace of mind, or recommendations for next steps. Help please!

This question includes photos that may contain sensitive content. Click to view.

View more to consider that the photos may include sensitive content.

1 Answer

Most Helpful Answer

Image profile

Answered By Andrea M. Brodie, DVM

Veterinarian

Published on October 27th, 2018

This could indeed be ringworm lesions, but could also signs of an allergy, bacterial infection or other skin irritation. Best to take her to a vet on Tuesday to have your vet examine this and do a brush sample which then can be cultured for fungus. In the meantime wash your hands every time you touch or pet your dog, as a fungal infection is contagious to humans.

Vote icon

2Pet Parents found this answer helpful

image
Have A Vet Question?

Book an appointment with the pros – our expert vets are here to help.

Sponsored