Petco Text Logo
Petco Pet Logo

My puppy has a growing, dry bump on his ear. What should I do?

Updated On September 23rd, 2025

Pet's info: Dog | Mixed Breed | Male | neutered | 8 months and 6 days old | 23 lbs

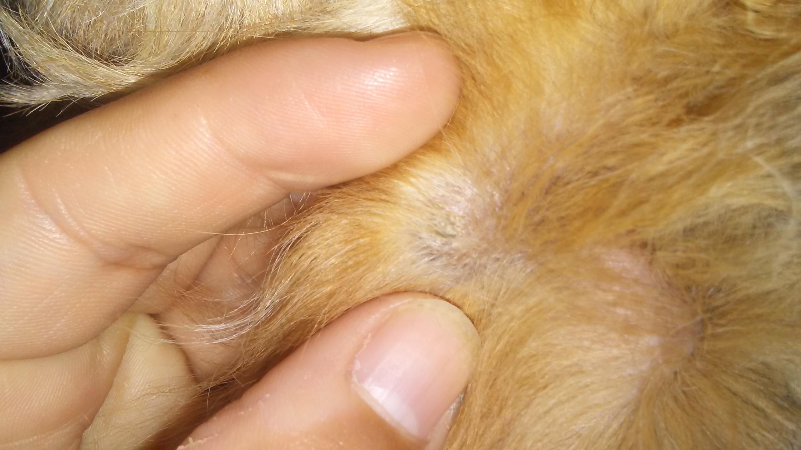
My puppy has a little bump on his ear. I notice it doesn't hurt him. He has had it for a couple of weeks now and it got a little bigger. Its has a very dry/hard skin on top.

This question includes photos that may contain sensitive content. Click to view.

View more to consider that the photos may include sensitive content.

1 Answer

Most Helpful Answer

Image profile

Answered By Ricardo Fernandez, DVM

Veterinarian, Veterinary Oncology Resident

Published on August 26th, 2018

Thanks for using Petco Pet Education Center, formerly Petcoach! This could be a benign or malignant growth. This could even be an infection though it is hard to know without an exam. There is no way of knowing what it is just based on its appearance. This is often differentiated by a test called a fine needle aspirate (FNA) which is a pain free, inexpensive and easy procedure which in most cases will help reach a diagnosis. Sometimes a biopsy is needed for a definitive diagnosis. I recommend that you have him evaluated by your veterinarian for further assessment and treatment. I am really hoping for something benign. Good luck and have a good day!

Vote icon

1Pet Parents found this answer helpful

image
Have A Vet Question?

Book an appointment with the pros – our expert vets are here to help.

Sponsored