Petco Text Logo
Petco Pet Logo

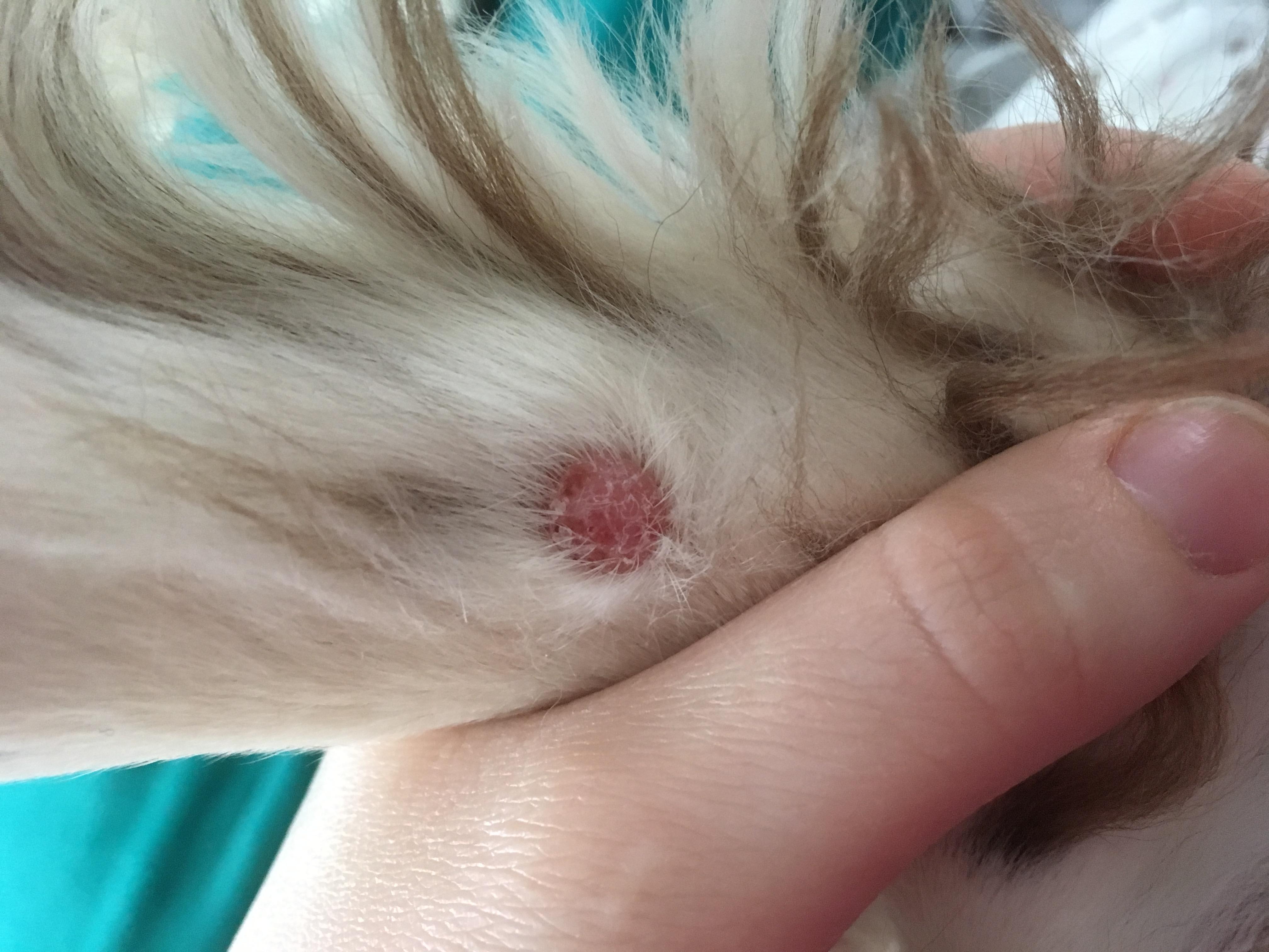
My dog has a new lump on her leg. What could it be after 3 weeks?

Updated On September 23rd, 2025

Pet's info: Dog | English Springer Spaniel | Female | spayed | 4 years and 2 months old

Are you able to see what this is on my dogs leg, she has had it about 3 weeks.

This question includes photos that may contain sensitive content. Click to view.

View more to consider that the photos may include sensitive content.

1 Answer

Most Helpful Answer

Image profile

Answered By Laura Johnson VMD

Veterinarian

Published on June 9th, 2018

Hi, thanks for using PetCoach! There are 2 possibilities, one is that it is a benign skin mass called a histiocytoma. These masses occur most commonly on the legs of young dogs. They are benign and tend to regress on their own in 2-3 months. Sometimes they grow rapidly and ulcerate requiring removal, although this is rare. https://www.petcoach.co/article/histiocytoma-in-dogs/ The other option is that it could be a mast cell tumor which is more of a cancer and should be removed. Since it is a new growth and it has been present for 3 weeks it is best to have your Vet evaluate it. Both a histiocytoma and a mast cell can be diagnosed by a fine needle aspirate (FNA). https://www.petcoach.co/article/mast-cell-tumors/ I wish you and Holly the best!

Vote icon

1Pet Parents found this answer helpful

image
Have A Vet Question?

Book an appointment with the pros – our expert vets are here to help.

Sponsored