Petco Text Logo
Petco Pet Logo

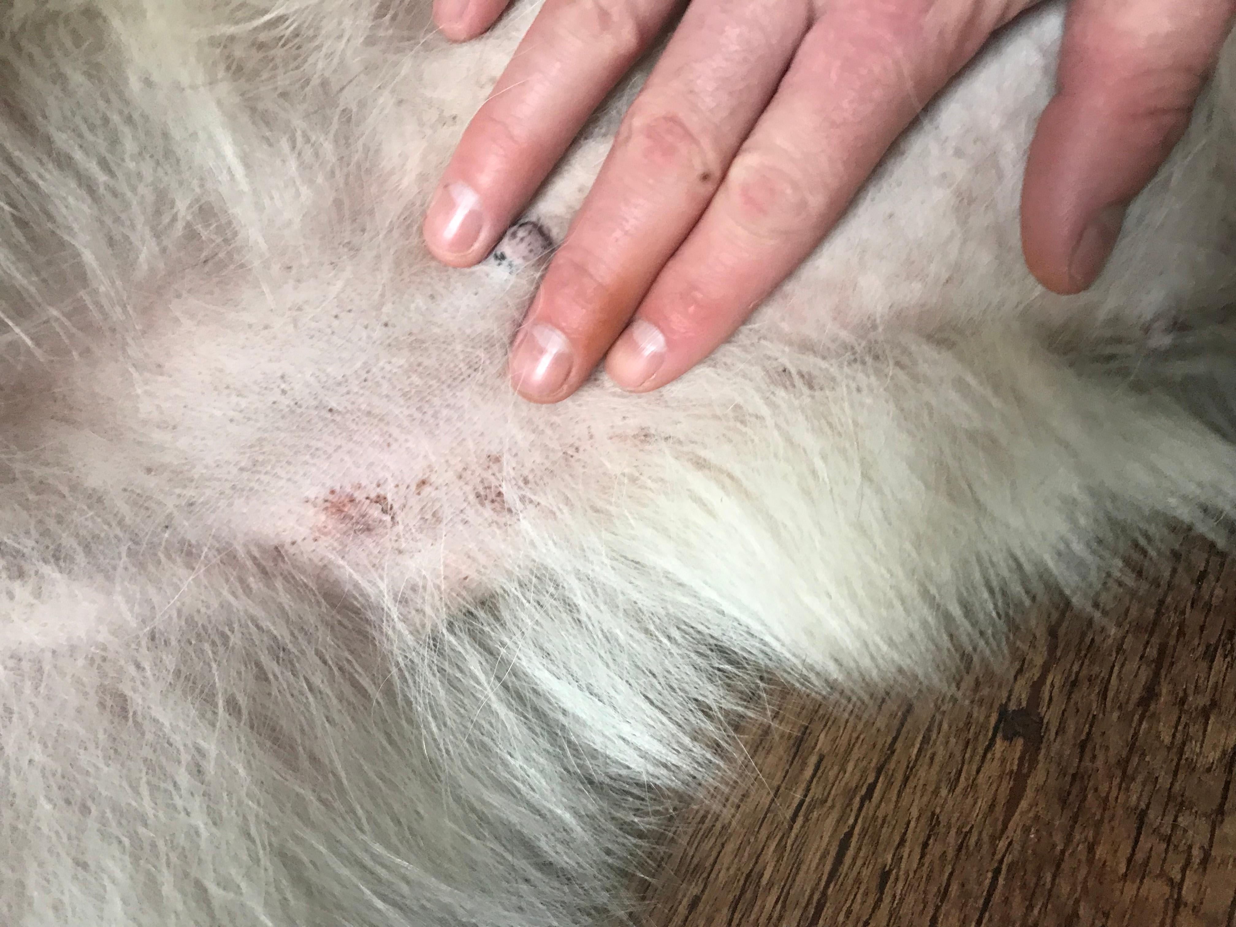
Why is my dog's belly losing hair, warm, damp, and she's not herself?

Updated On September 23rd, 2025

Pet's info: Dog | Mixed Breed Medium (23 - 60lb) | Female | unspayed | 7 years and 1 month old | 33 lbs

My dog doesn’t seem herself and seems to have lost a lot of hair on her belly. Area is also sweaty/damp and warm to the touch.

This question includes photos that may contain sensitive content. Click to view.

View more to consider that the photos may include sensitive content.

1 Answer

Most Helpful Answer

Image profile

Answered By Dr. Dayna, DVM, CVA

Veterinarian, Certified Veterinary Acupuncturist

Published on February 13th, 2018

Hair loss on the trunk can be a sign of certain diseases such as hypothyroidism and Cushings. I would encourage you to have her evaluated by your veterinarian soon. They may recommend blood work to help determine the diagnosis. Best of luck and thank you for using Pet Coach.

Vote icon

2Pet Parents found this answer helpful

image
Have A Vet Question?

Book an appointment with the pros – our expert vets are here to help.

Sponsored