Petco Text Logo
Petco Pet Logo

My puppy licks red spots and blisters on her belly. What is it?

Updated On September 23rd, 2025

Pet's info: Dog | Mixed Breed Medium (23 - 60lb) | Female | spayed | 5 months and 29 days old | 35 lbs

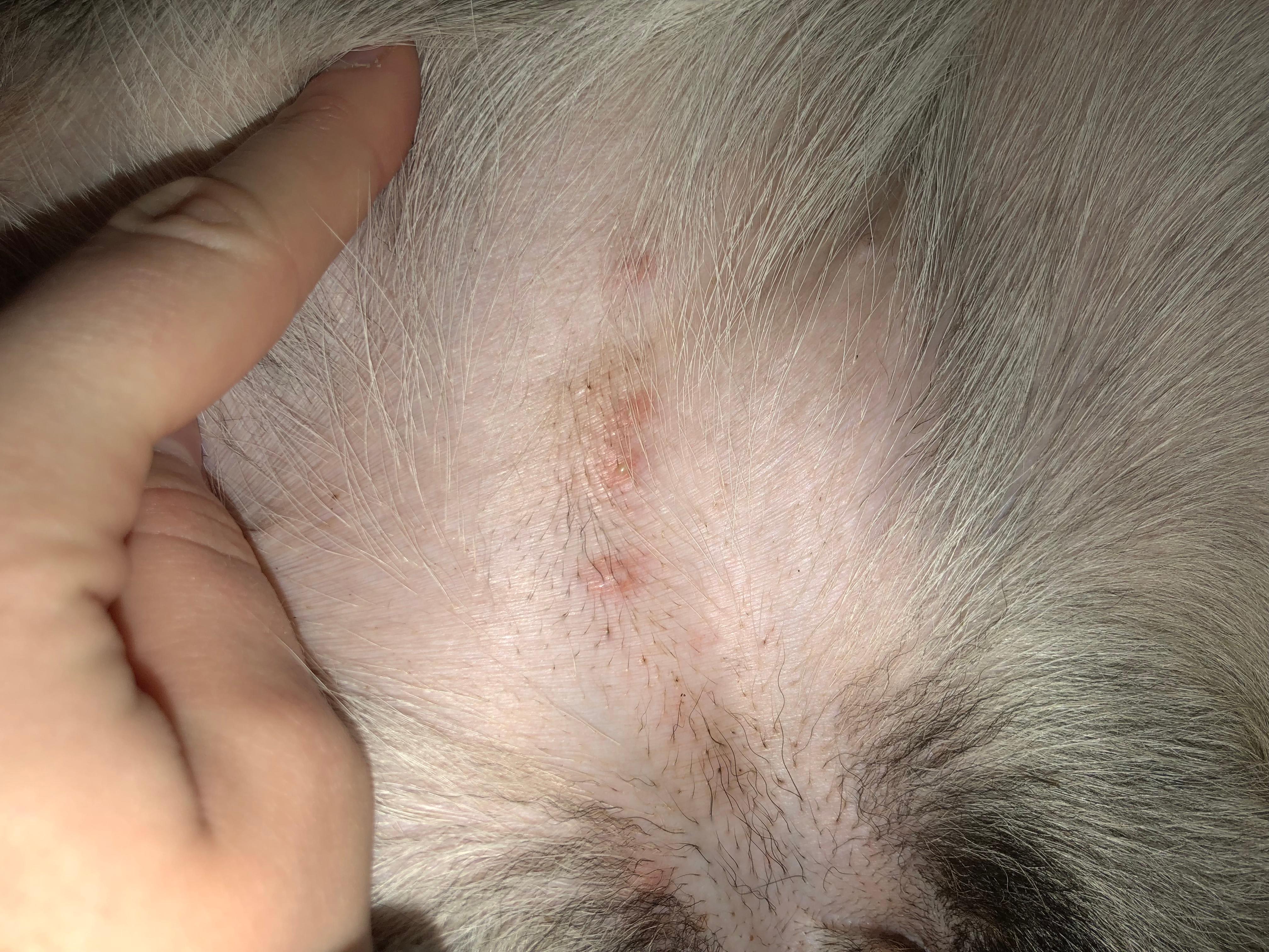
My puppy had blisters I noticed on her lower belly and red spots on her private. She doesn’t seem like she’s acting different. She does lick often down there. We always tell her to stop when she does. Yesterday there was like 3 Which is the first attached picture. Then today there was like four different spots which is the other two pics. I don’t know why but it seems to be getting worse. It could be bc we used carpet cleaner on the carpet which she lays on. Is there medcine we can buy to help?

This question includes photos that may contain sensitive content. Click to view.

View more to consider that the photos may include sensitive content.

1 Answer

Most Helpful Answer

Image profile

Answered By Mara Howard, DVM

Veterinarian

Published on January 16th, 2018

Thanks for using Petco Pet Education Center, formerly Petcoach! I’m sorry to hear Lexi is having skin issues. Based on the pictures you provided, it does look like she may be suffering from a skin infection, or a puppy pyoderma. This can be secondary to allergies or another underlying cause. I would recommend she be evaluated by her regular veterinarian to have her skin examined, determine the underlying cause for her skin lesions, and start any treatment (antibiotics, antihistamine) that she may need to resolve it. Good luck!

Vote icon

1Pet Parents found this answer helpful

image
Have A Vet Question?

Book an appointment with the pros – our expert vets are here to help.

Sponsored