Petco Text Logo
Petco Pet Logo

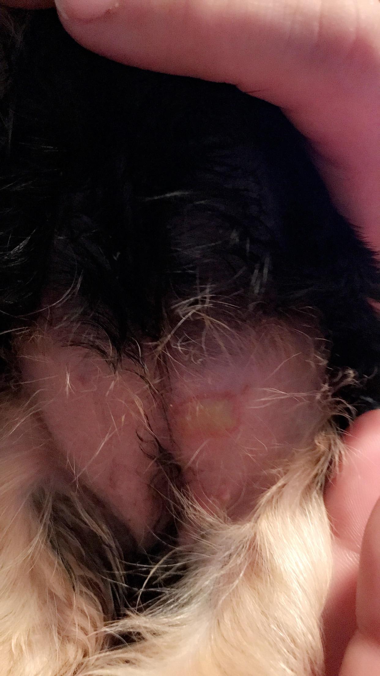
My puppy has a blister-like bump on her belly. Is it serious?

Updated On September 23rd, 2025

Pet's info: Dog | Yorkshire Terrier | Female | unspayed | 1 month and 18 days old | 1.3 lbs

My yorkie puppy has something that looks like a blister on her belly.... what is this?

This question includes photos that may contain sensitive content. Click to view.

View more to consider that the photos may include sensitive content.

1 Answer

Most Helpful Answer

Image profile

Answered By Megan, DVM, CVA

Veterinarian

Published on December 10th, 2017

This looks like a skin infection that is common in puppies. It is called puppy pyoderma. It looks a like a pretty large pustule. Since she is so young and small, I would have your vet take a look at it. Your vet will be able to get her started on some oral antibiotics if needed. I would not let her lick it. You can put a cone collar on her if needed. I hope this helps!

Vote icon

1Pet Parents found this answer helpful

image
Have A Vet Question?

Book an appointment with the pros – our expert vets are here to help.

Sponsored