Petco Text Logo
Petco Pet Logo

Why is my dog scratching and scabbing? Is it a flea allergy?

Updated On September 23rd, 2025

Pet's info: Dog | Goldendoodle | Female | unspayed | 9 months and 1 day old | 36 lbs

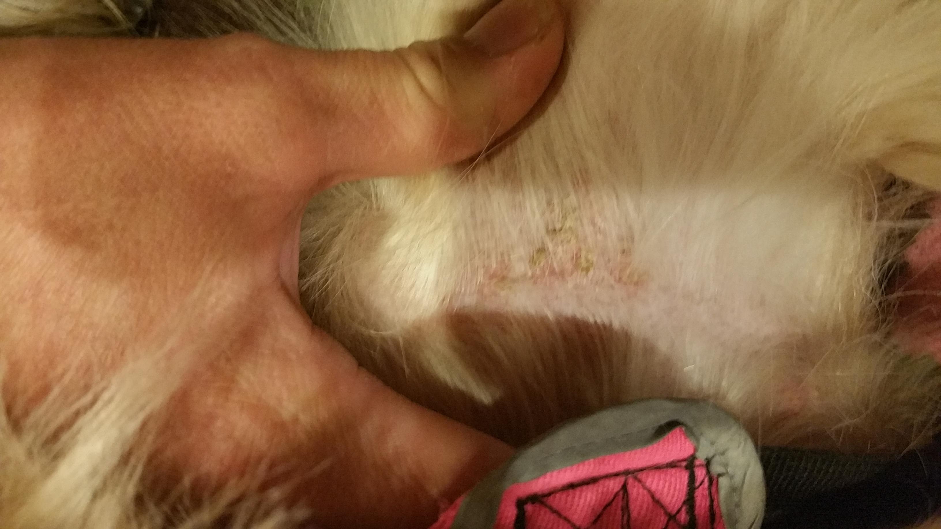
My goldendoodle almost a year old has had severe issues with scabbing allober her back legs, and redness i have seen where she has excessively scratched and chewed its getting bald. She did have fleas however only a few at a time and we treated her. Could she be allergic to fleas?

This question includes photos that may contain sensitive content. Click to view.

View more to consider that the photos may include sensitive content.

1 Answer

Most Helpful Answer

Image profile

Answered By Vanessa Yeager DVM MPH

Veterinarian

Published on August 24th, 2017

Hi there and thanks for your question! The brief answer to this question is YES! It only takes one flea to start a flea allergy and if she is not on a month to month preventative for fleas, there is a strong chance she is still having a flea issue. Be sure she is on a good quality efficacious flea treatment and preventative product YEAR ROUND! Flea pupae can remain dormant for months in the home and an unseasonably warm day in the fall or winter could bring them back. Get a good flea preventative from your vet! Remember one flea is all it takes! hope this helps!

Vote icon

1Pet Parents found this answer helpful

image
Have A Vet Question?

Book an appointment with the pros – our expert vets are here to help.

Sponsored