Petco Text Logo
Petco Pet Logo

Dog has red sores, itchy ears, licking paws. Is it seasonal allergies?

Updated On September 23rd, 2025

Pet's info: Dog | Mixed Breed Medium (23 - 60lb) | Male | neutered | 6 years and 3 months old | 50 lbs

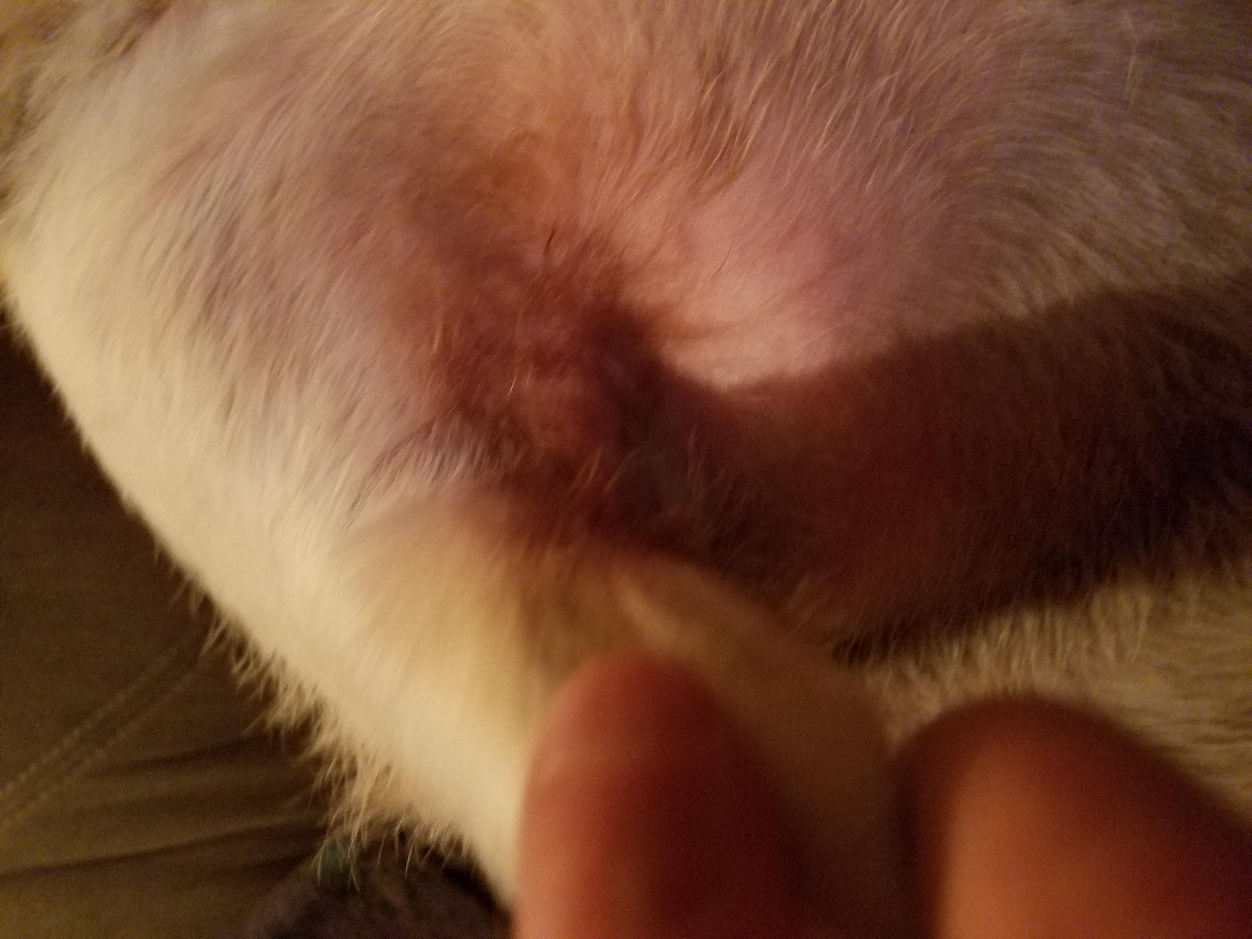
Hi my dog has red sores under arms 1 under his neck and on his ears ?? Just basically itching ears and shaking head every once in a while? Red paws which he licks often. That has been mostly in summer time for the last few seasons Can you help me to determine what statement would be best?? Thank you

This question includes photos that may contain sensitive content. Click to view.

View more to consider that the photos may include sensitive content.

1 Answer

Most Helpful Answer

Image profile

Answered By Mara Howard, DVM

Veterinarian

Published on August 21st, 2017

I'm sorry to hear Tucker is having skin issues. Lesions like you are describing can have a variety of causes, including skin parasites, allergies, an infection (bacterial or fungal), or an underlying medical issue. If there is a seasonality that you are noticing, it could be a reaction to something in the environment at that time. I would recommend reaching out to your regular veterinarian to try to determine the underlying cause for his skin issues, and start any treatment (anti-itch medications, etc.) that he may need to help resolve or control it. Good luck!

Vote icon

1Pet Parents found this answer helpful

image
Have A Vet Question?

Book an appointment with the pros – our expert vets are here to help.

Sponsored