Petco Text Logo
Petco Pet Logo

My dog has hip dysplasia, but isn't in pain. Do I need surgery?

Updated On September 23rd, 2025

Pet's info: Dog | Golden Labrador | Male | unneutered | 10 months and 4 days old | 4 lbs

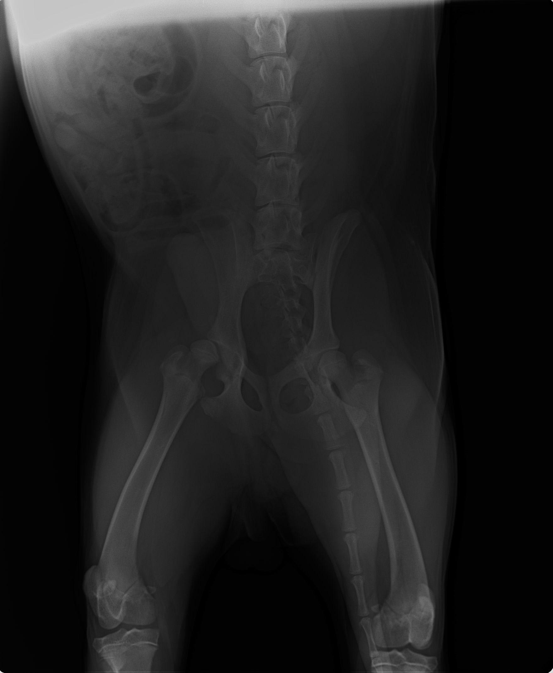
My dog has hip dysplasia in both of his back legs. He is labrador 33kg /75 lb weight. I consulted nearly all my vets in my state but all said he has to go through surgery which will cause lameness for his entire life and as its in both legs it quite risky too. They say that the surgery is about pain but he does not feel any pain he runs around the house all day. I don't want him to remain lame his entire life as he only 10 months old. All vets say surgery is only option. So i am confused...

This question includes photos that may contain sensitive content. Click to view.

View more to consider that the photos may include sensitive content.

1 Answer

Most Helpful Answer

Image profile

Answered By Rodrigo Roca, DVM

Veterinarian

Published on January 17th, 2020

Hello, sorry to hear about Shiro. He does indeed have hip dysplasia as is evident in his x-rays. This diseases does indeed require surgical correction, but only if Shiro seems to be in discomfort. Hip Dysplasia results in secondary osteoarthritis which in the long term can impact your pets ability to walk and overall comfort. There are two different procedures with regards to surgery, an FHNO were we remove the femoral head and neck or a total hip replacement were we replace the ball and joint with metal implants as they do in humans. Ultimately, the best contributor to decreasing osteoarthritis in dogs is by maintaining an overall low weight and lean body condition score. Obese pets with hip dysplasia tend to do worse. Now, with regards to surgery, it does not need to occur now, typically with either surgery, we want pets to be fully developed so that their bones are fully grown and they have developed all of the musculature. I would recommend asking your veterinarian to refer you to an orthopedic surgeon who may be able to better assist you with Shiro's hips dysplasia. Hope this helps and best of luck.

Vote icon

2Pet Parents found this answer helpful

image
Have A Vet Question?

Book an appointment with the pros – our expert vets are here to help.

Sponsored