Petco Text Logo
Petco Pet Logo

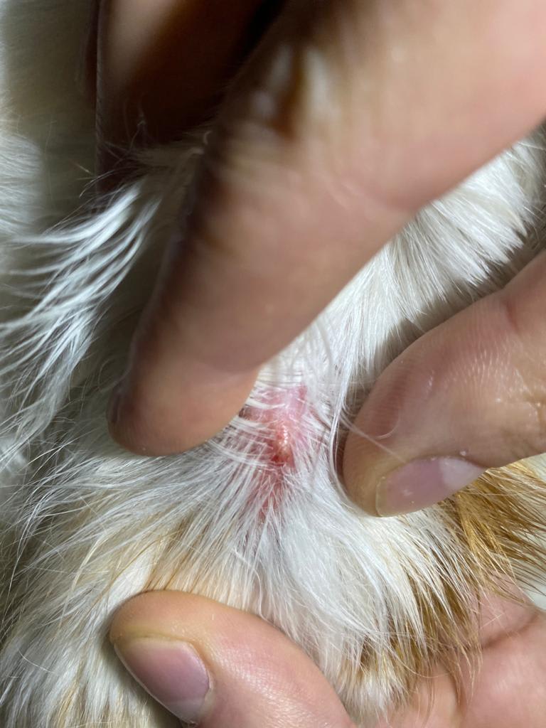
My dog has a raised, inflamed bump on her ear flap. Is it urgent?

Updated On September 23rd, 2025

Pet's info: Dog | Mixed Breed Medium (23 - 60lb) | Female | spayed | 9 years and 5 months old | 45 lbs

Hello. As shown in the attached photos, today I found a very small (less than 5mm) raised, firm, inflamed bump on the outside of Olivia's ear flap. It seems to be on the top layer of the skin. She's not showing itching or pain and acting completely normal. It could possibly be an insect sting because she spends a lot of time in the garden. She has had small whitehead pimples in the same area on both ears in the past. Is this something that needs to be seen by my Vet urgently? Thank you.

This question includes photos that may contain sensitive content. Click to view.

View more to consider that the photos may include sensitive content.

1 Answer

Most Helpful Answer

Image profile

Answered By Tomasz Wnuk

Veterinarian

Published on June 28th, 2020

Hello and thank you for contacting Petco Pet Education Center, formerly Petcoach. It looks like a small abscess or hair follicle infection. I don't think it is anything urgent, you can see your regular vet tomorrow to sort this out. Your Olivia will probably need an antibiotic cream or ointment. If it is a small abscess, your vet may want to pop it to let the puss out.

Vote icon

1Pet Parents found this answer helpful

image
Have A Vet Question?

Book an appointment with the pros – our expert vets are here to help.

Sponsored