Petco Text Logo
Petco Pet Logo

My dog's neuter incision looks red and irritated. Is it infected?

Updated On September 23rd, 2025

Pet's info: Dog | Australian Shepherd - miniature | Male | neutered | 6 months and 8 days old | 15 lbs

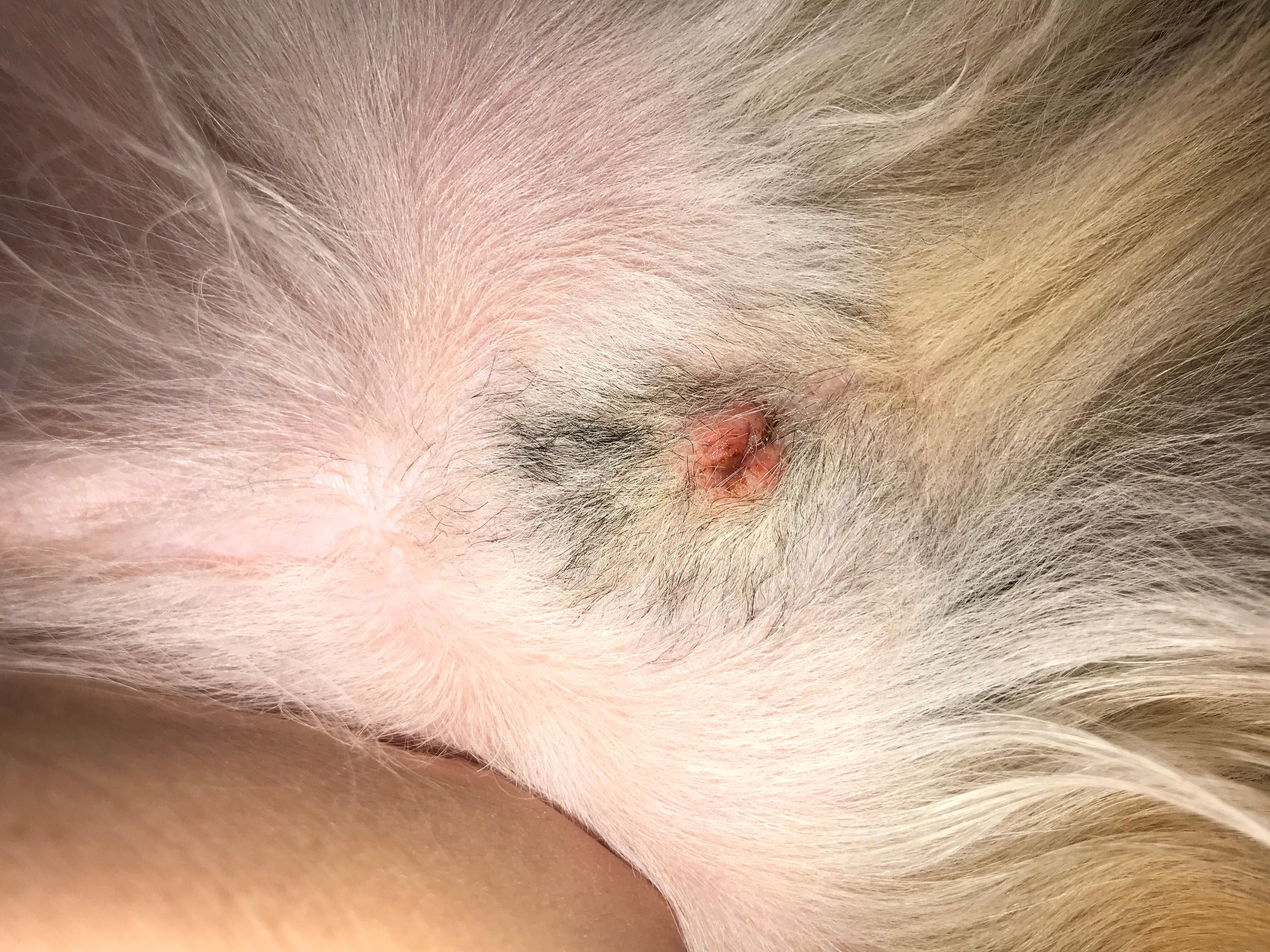
Hi. I’m wondering what you think about my dogs incision.. I think it may be infected! he got neutered on the 28th of March. I will not be able to take him to a vet until April 13th.

This question includes photos that may contain sensitive content. Click to view.

View more to consider that the photos may include sensitive content.

1 Answer

Most Helpful Answer

Image profile

Answered By Andrea M. Brodie, DVM

Veterinarian

Published on April 6th, 2018

The incision does look a little bit irritated, however I do not think it is a serious problem. You can put some OTC neosporin ointment on the red part and make sure Brodie does not lick the area. Should it still be red and angry looking on the 13th, then take him to the vet for a recheck.

Vote icon

1Pet Parents found this answer helpful

image
Have A Vet Question?

Book an appointment with the pros – our expert vets are here to help.

Sponsored