Petco Text Logo
Petco Pet Logo

My dog has a red, swollen lump that isn't healing. Should I see a vet?

Updated On September 23rd, 2025

Pet's info: Dog | Mixed Breed Medium (23 - 60lb) | Female | spayed | 25 lbs

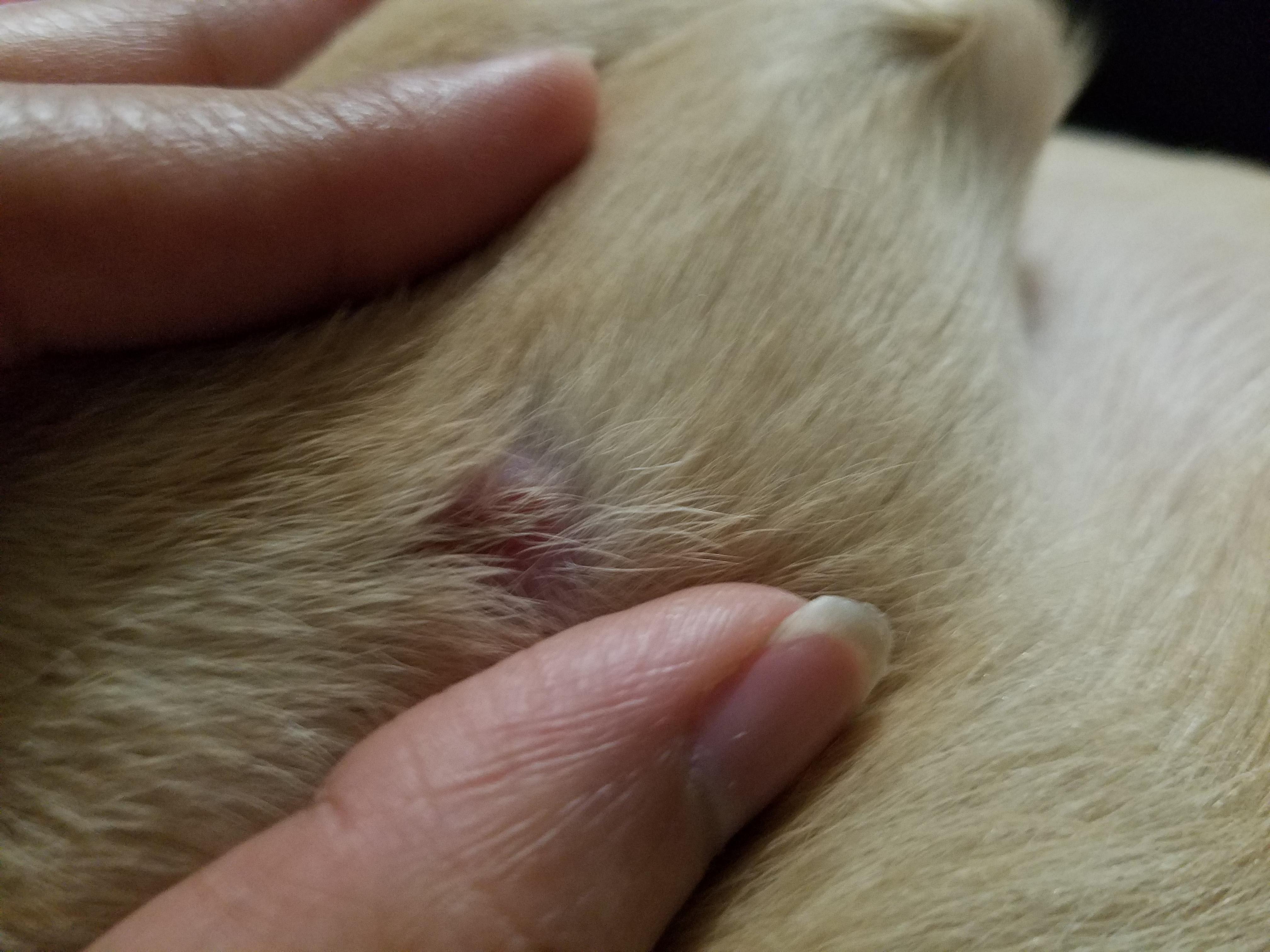
My dog has kind off mosquito bit which is red in color and looks big in size. I am applying antiseptic spray but the boil like thing located between shoulder and above right paw is not going away. I have noticed this since 3-4 days. Pls help if we need to see a vet urgently or we can wait to see if it is healing or no. I think the reddish color is light and swelling is less than before but I afraid and not sure if it is going deeper.

This question includes photos that may contain sensitive content. Click to view.

View more to consider that the photos may include sensitive content.

1 Answer

Most Helpful Answer

Image profile

Answered By Dr. Strydom, DVM

Veterinarian

Published on August 3rd, 2019

Any lumps/bumps that you notice on your dog should be checked out by your vet. Lumps are usually one of these things: * abscess * cyst * tumor * wart There is no way I can tell you what it is just by looking at a photo but I have a suspicion it is a histiocytoma (benign tumor) or a cyst. The product you are using will not hurt but it will not make this go away. It is not urgent but you should get her to your vet for an exam in the next few days.

Vote icon

1Pet Parents found this answer helpful

image
Have A Vet Question?

Book an appointment with the pros – our expert vets are here to help.

Sponsored