Petco Text Logo
Petco Pet Logo

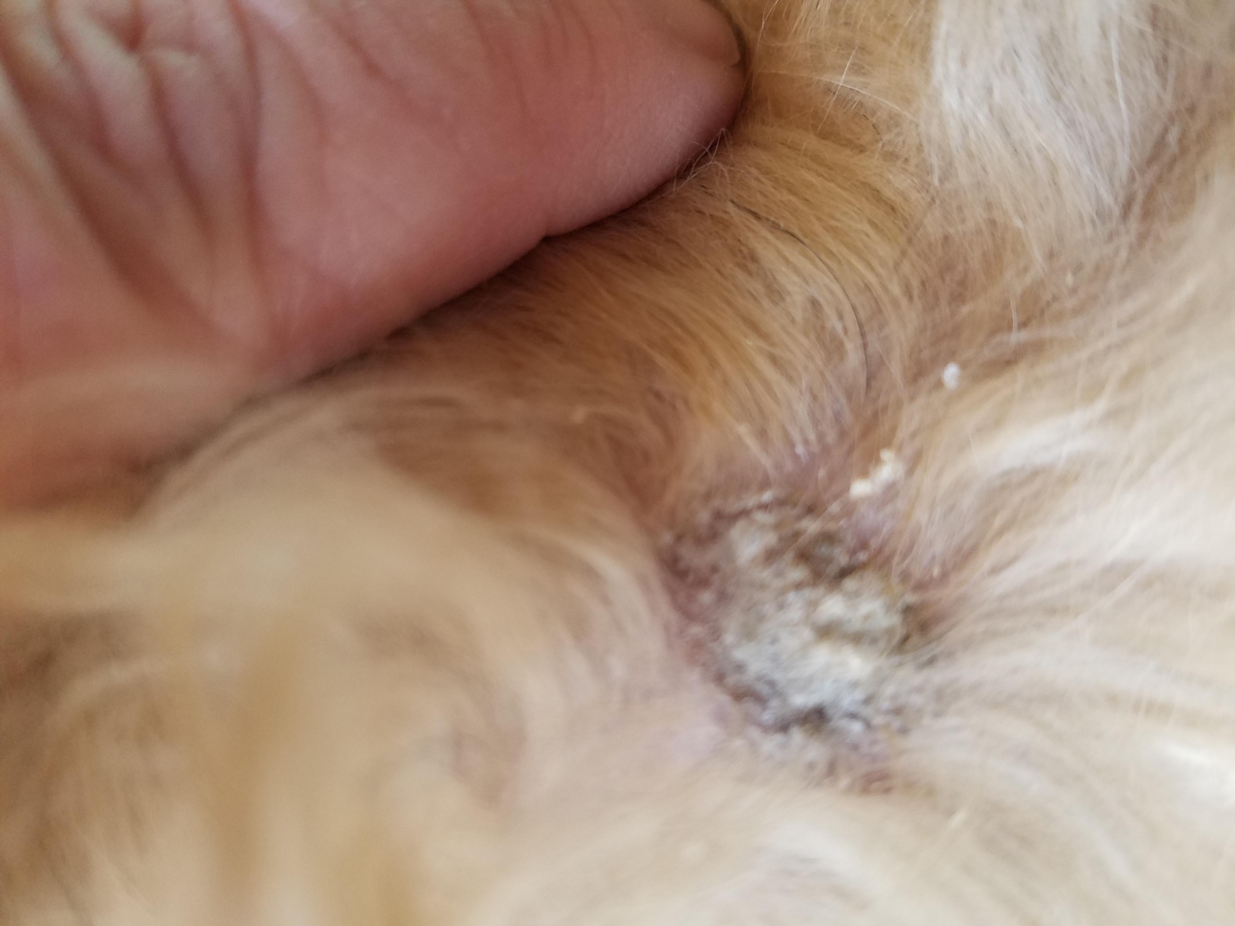
My dog has a scab. What's the cause and how do I treat it at home?

Updated On September 23rd, 2025

Pet's info: Dog | Mixed Breed Small (up to 22lb) | Male | 8 years old | 15 lbs

Can you tell me what this scab is on my dog

This question includes photos that may contain sensitive content. Click to view.

View more to consider that the photos may include sensitive content.

1 Answer

Most Helpful Answer

Image profile

Answered By Dr. Massimo Orioles, DVM, Cert AVP, MRCVS

Veterinarian

Published on April 4th, 2018

This presentation could be due to a trauma or localized spot of skin infection (likely to be caused by bacteria). A check up, appropriate disinfection and possibly antibiotics (oral, topical or in a shampoo formulation) are needed to solve the problem. Disinfection may be started at home with very diluted hibiscrub or betadine or salted water baths. Buster collar may be useful as well to avoid any licking/scratching. Hope this answer was helpful, but please do not hesitate to contact us again on the forum or by requesting a consultation if you have any more questions or to discuss it any further.

Vote icon

1Pet Parents found this answer helpful

image
Have A Vet Question?

Book an appointment with the pros – our expert vets are here to help.

Sponsored