Petco Text Logo
Petco Pet Logo

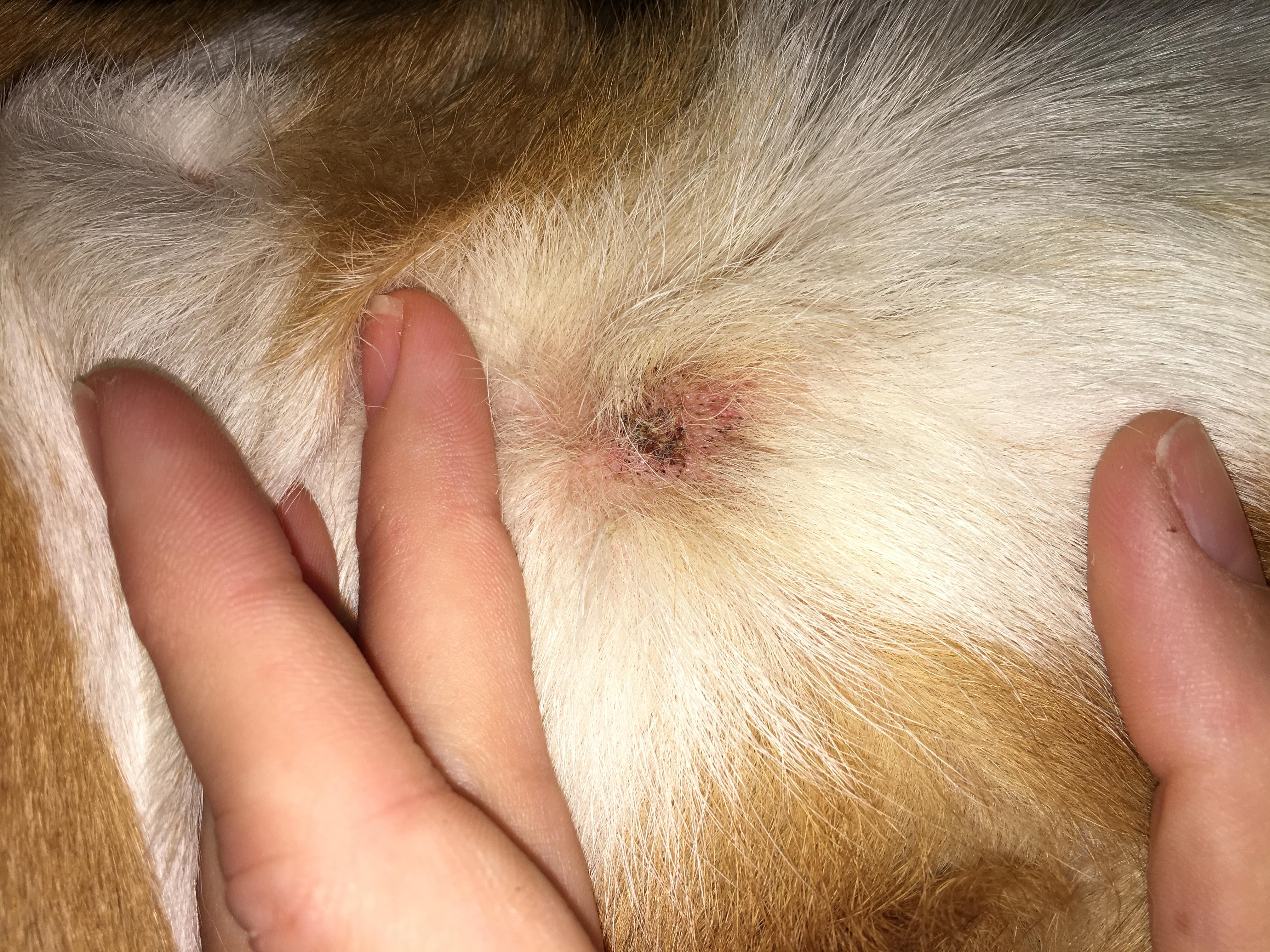
Dog neck wound under collar: Can I use Neosporin or see vet?

Updated On September 23rd, 2025

Pet's info: Dog | Mixed Breed Medium (23 - 60lb) | Male | neutered | 1 year and 9 months old | 55 lbs

Small wound on front of neck. Need to know if I should wait a few days or take him in. It was under collars so I took them off. Should I try putting a small but of neosporin on it?

This question includes photos that may contain sensitive content. Click to view.

View more to consider that the photos may include sensitive content.

1 Answer

Most Helpful Answer

Image profile

Answered By Andrea M. Brodie, DVM

Veterinarian

Published on December 31st, 2018

Shave the hair in the area until you see healthy skin (this lesion is liskely bigger than is obvious). Disinfect with a mild wound cleanser and disinfectant. You can then put some Neosporin on it. Should the lesion get bigger or start oozing you will need to take Hank to a veterinarian for a skin exam. This could be a bacterial skin infection or fungal infection. Disinfect his collar or throw it away. Do not put another collar on your dog until it has healed.

Vote icon

1Pet Parents found this answer helpful

image
Have A Vet Question?

Book an appointment with the pros – our expert vets are here to help.

Sponsored