Petco Text Logo
Petco Pet Logo

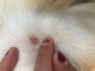
My dog has a red bump on her chest. When should I take her to the vet?

Updated On September 23rd, 2025

Pet's info: Dog | Boxer | Female | spayed | 70 lbs

Hello, my boxer-hound dog mix recently develop a red bum on her chest. She is 3 years old. Do I need to take her to the vet or just wait it out.

This question includes photos that may contain sensitive content. Click to view.

View more to consider that the photos may include sensitive content.

1 Answer

Most Helpful Answer

Image profile

Answered By Maria DVM

Veterinarian

Published on December 5th, 2018

Is Jase licking at it? I would recommend if she is licking at it put an elizabethan collar on her. If it is a growth then having a veterinarian look at it is not a bad idea or if the spot gets worse. Thank you for using Petco Pet Education Center, formerly Petcoach.

Vote icon

1Pet Parents found this answer helpful

image
Have A Vet Question?

Book an appointment with the pros – our expert vets are here to help.

Sponsored