Petco Text Logo
Petco Pet Logo

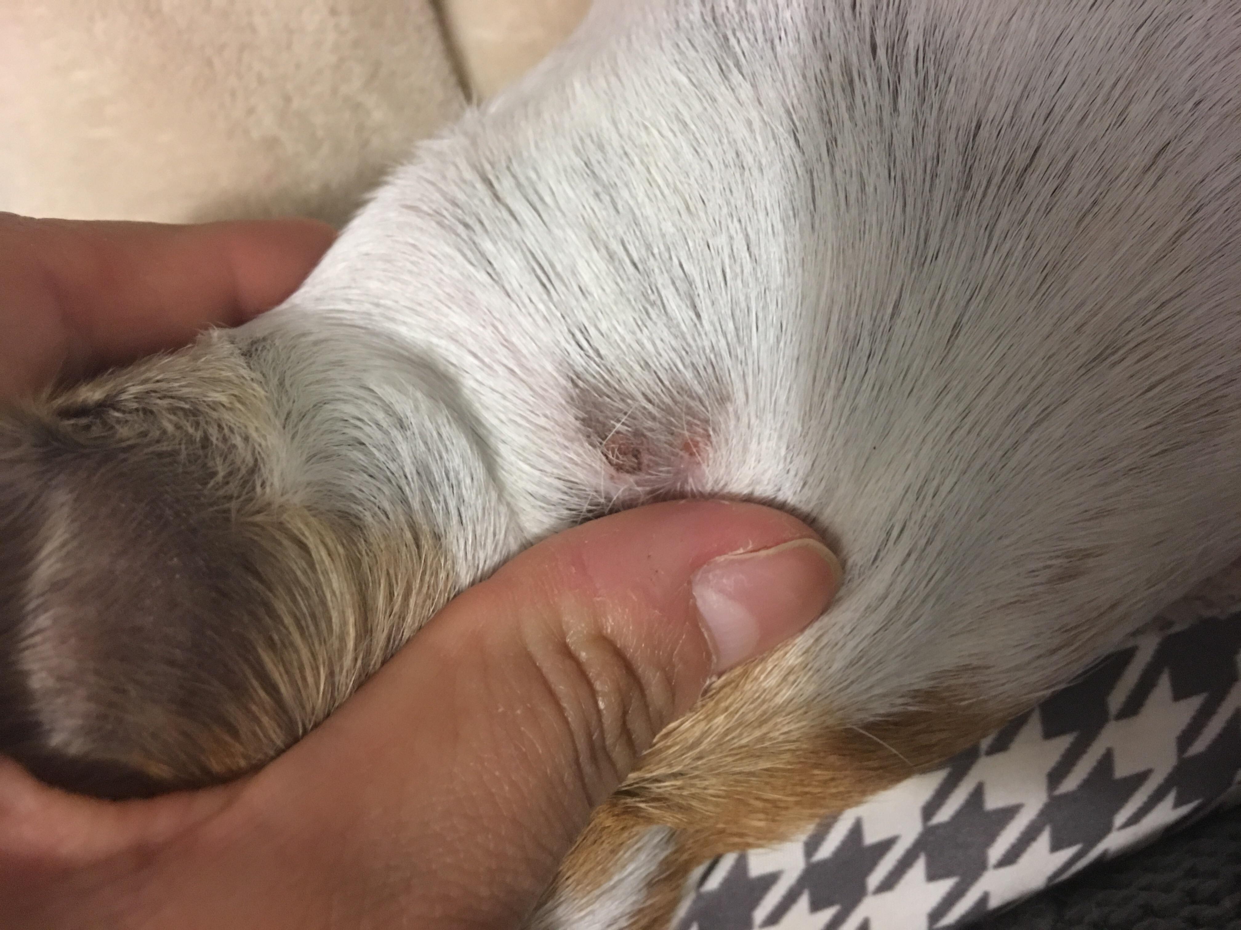
What causes scabby patches on my dog if it's not fleas or ticks?

Updated On September 23rd, 2025

Pet's info: Dog | Mixed Breed Small (up to 22lb) | Female | spayed | 10 lbs

I started to noticed like 3 scabby patches on my dog. I check if she had any ticks or fleas and it doesn’t seem like she does. She’s not in a pain or anything.

This question includes photos that may contain sensitive content. Click to view.

View more to consider that the photos may include sensitive content.

1 Answer

Most Helpful Answer

Image profile

Answered By Ana M, DVM

Veterinarian

Published on May 26th, 2018

Thank you for submitting your question regarding Debbie. She appears to have small crusts that typically are the result of a superficial bacterial skin infection. This can be due to several causes, but this time of year seasonal allergies are very common. I would start by bathing her with a moisturizing shampoo and condition such as an oatmeal or fatty acid based formula. Also try to prevent her from licking or scratching the area. You can bathe her twice per week and hopefully that will help. If she starts acting ill, the lesions spread or are not resolving, then she will need to see her veterinarian. She may require skin testing to rule our other causes of skin disease and medication. I hope this information helps!

Vote icon

1Pet Parents found this answer helpful

image
Have A Vet Question?

Book an appointment with the pros – our expert vets are here to help.

Sponsored