Petco Text Logo
Petco Pet Logo

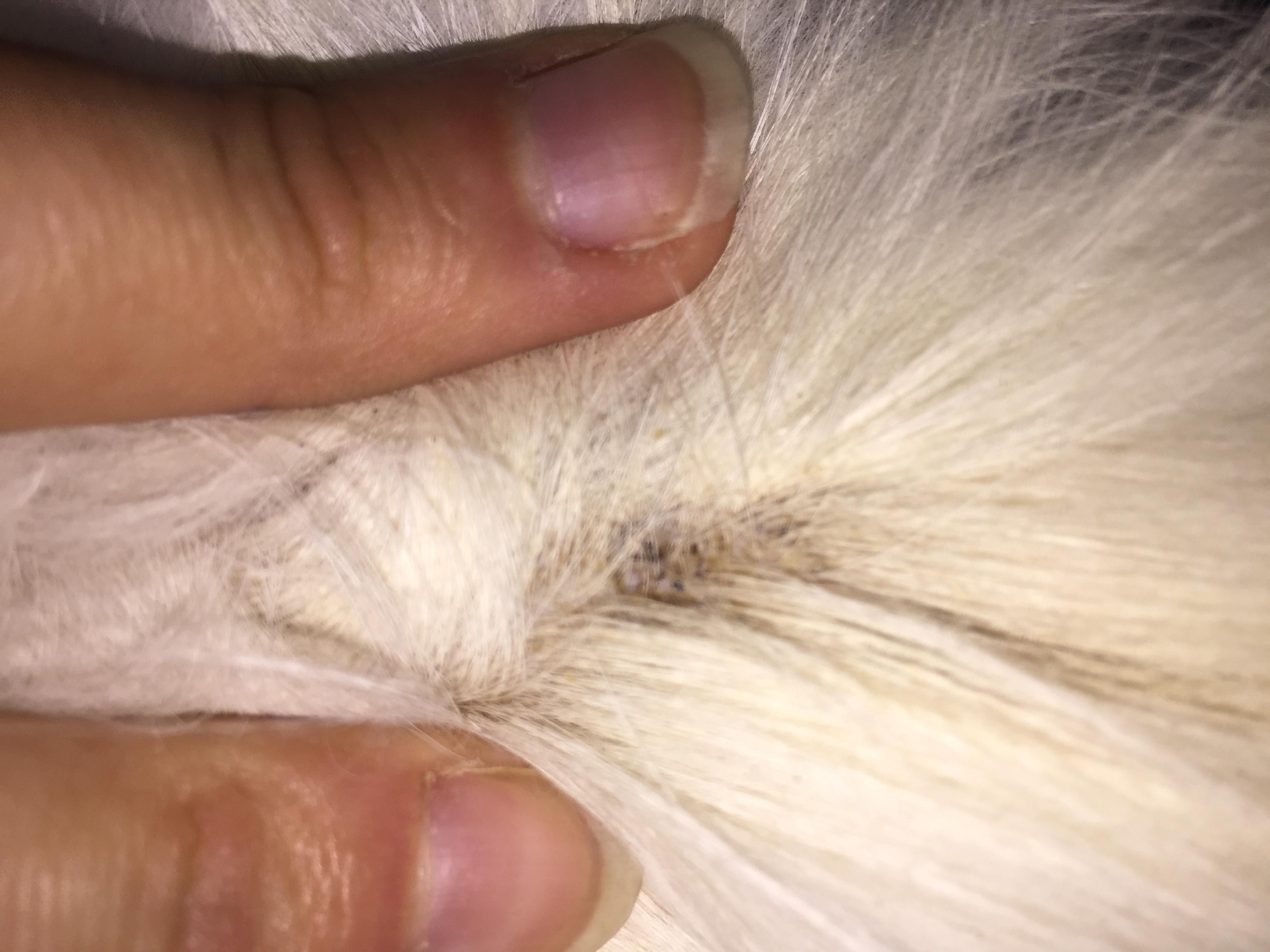
Why is my cat's tail oily, tender, with black specs and yellow hair?

Updated On September 23rd, 2025

Pet's info: Cat | Domestic Longhair | Female | spayed | 8 years and 10 months old | 12 lbs

Thank you for being available. I have a 7yr S/F white DLH. Goes for BW and exam annually. Never had a problem, sweet and peppy demeanor. I use Revolution and no other meds, supplements, or shampoos. Complaint is starting at the base of her tail is a moderate dusting of black specs and this goes out to about 2/3 of her tail. Her hair is stained yellow. I did the wet test to see if the debris turned red but it didn't dissolve. Her tail is very tender to even delicate brushing. Thoughts?!

This question includes photos that may contain sensitive content. Click to view.

View more to consider that the photos may include sensitive content.

1 Answer

Most Helpful Answer

Image profile

Answered By Sara Farmer, DVM

Veterinarian

Published on January 28th, 2018

Sweetie could have ‘stud tail’ which is an overproduction of oil from glands near the tail. It is common in male cats, hence the name, but can be seen in females as well. Allergies causing a skin infection would also be possible. I’d recommend seeing your veterinarian to have Sweetie examined.

Vote icon

1Pet Parents found this answer helpful

image
Have A Vet Question?

Book an appointment with the pros – our expert vets are here to help.

Sponsored