Petco Text Logo
Petco Pet Logo

My dog has small bumps on his back. Is it a food allergy or infection?

Updated On September 23rd, 2025

Pet's info: Dog | Mixed Breed Small (up to 22lb) | Male | unneutered | 1 year and 11 months old | 20 lbs

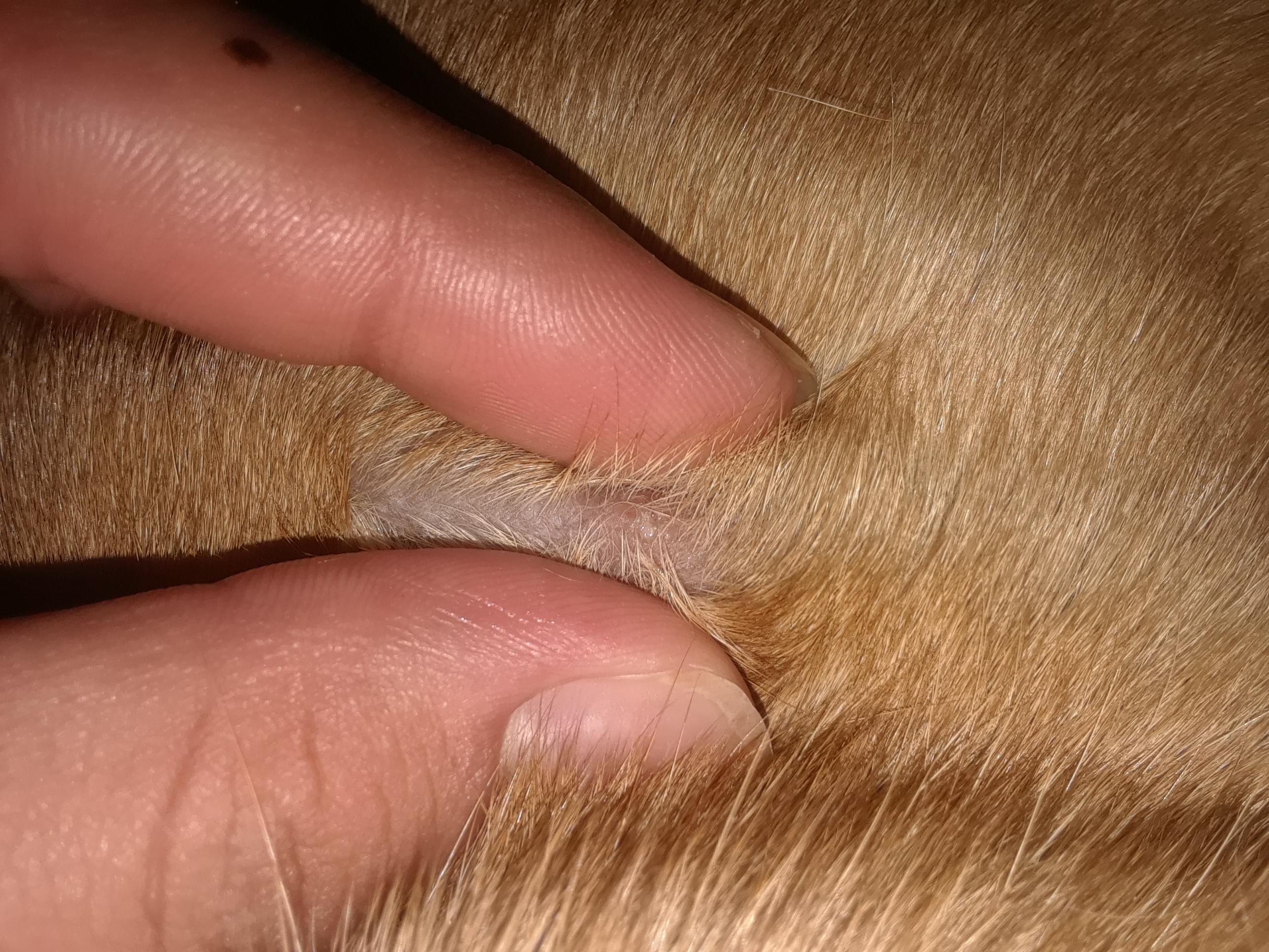
I have a small dog around 2 years old, very active, playful, and loves to run and keeps himself healthy with 3 meals a day and he doesnt overeat, has 3-5 bathroom breaks a day and does sleep well when the owners asleep. I recently notoced small 1-2 cm papules with no hair loss around 3 to 4 on his back. It doesnt seem to bother him but im not sure what he does behind closed doors. He recently got a new food brand around 2 weeks ago. Im not sure what it might be but im worried about cancer.

This question includes photos that may contain sensitive content. Click to view.

View more to consider that the photos may include sensitive content.

1 Answer

Most Helpful Answer

Image profile

Answered By Laura Johnson VMD

Veterinarian

Published on November 8th, 2017

Hi, thanks for using PetCoach! Thanks for the pictures! It looks like pustules which most commonly indicate a bacterial skin infection. It is quite possible that the skin infection started because he is allergic to the new food. Bacterial skin infections tend to be treated with oral antibiotics. You can try a medicated shampoo first. I recommend bathing 2-3 times per week and leave the lather on for 10 mins of contact time before rinsing. http://www.drsfostersmith.com/product/prod_display.cfm?pcatid=27307 I would also consider changing his diet back to the original food if it wasn't causing problems. If the lesions spread or do not improve with the medicated bath I recommend taking him to your Vet. I hope this helps and I wish Lolo a speedy recovery!

Vote icon

1Pet Parents found this answer helpful

image
Have A Vet Question?

Book an appointment with the pros – our expert vets are here to help.

Sponsored