Petco Text Logo
Petco Pet Logo

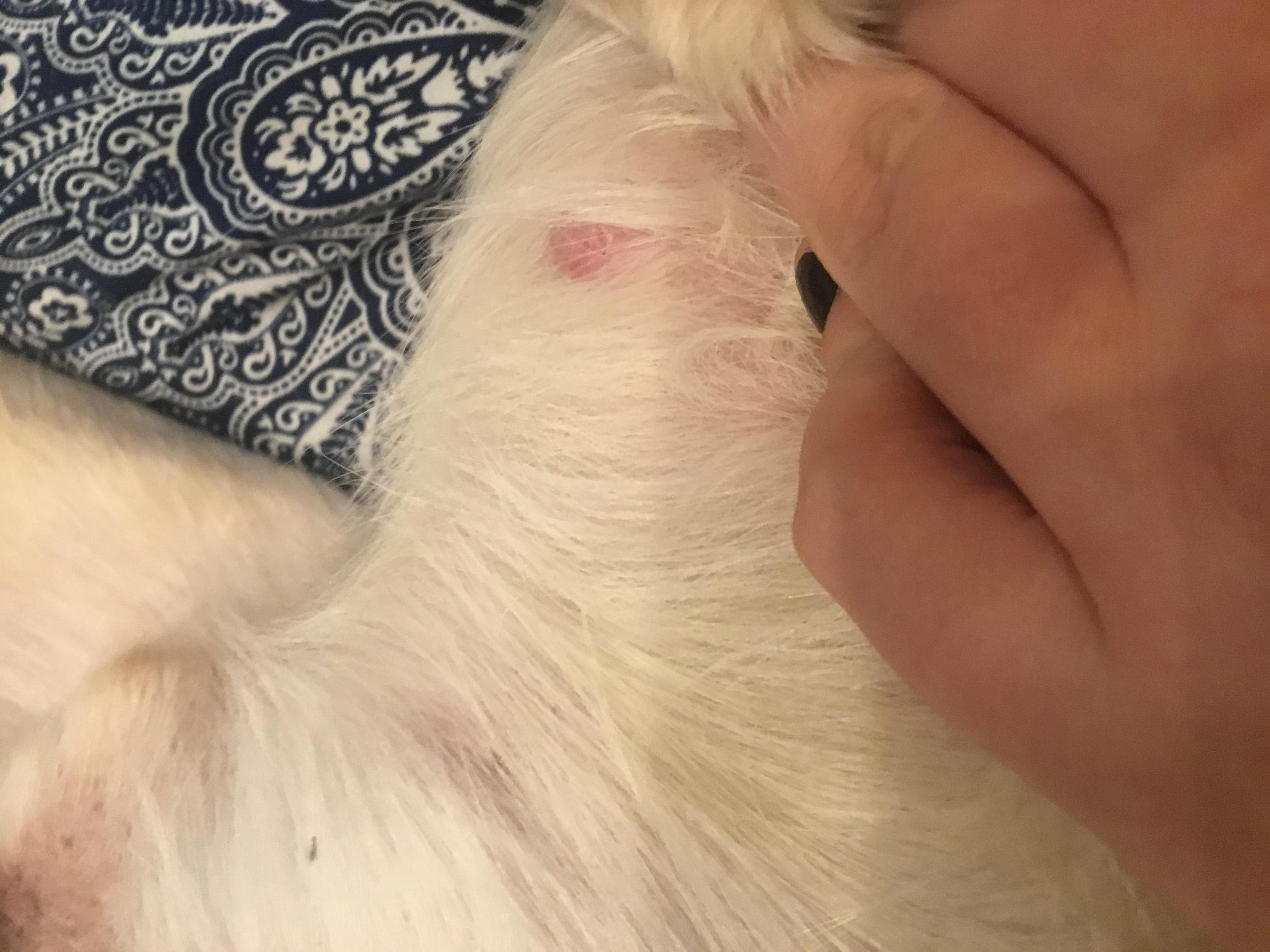
My dog has a pink raised bump on his belly. Should I be concerned?

Updated On September 23rd, 2025

Pet's info: Dog | Labrador Retriever | Male | neutered | 8 years and 8 months old

Just barely found this bump on Gunner's stomach while giving him a belly rub. Is this just part of his body or is this something to be concerned about?

This question includes photos that may contain sensitive content. Click to view.

View more to consider that the photos may include sensitive content.

1 Answer

Most Helpful Answer

Image profile

Answered By Sarah Derksen, DVM

Veterinarian

Published on October 29th, 2017

Hi. I would say yes it could be, although hard to say with out exam. The thing that concerns me is that it's pink and raised. Pets can get skin cancers just like us, so when it's pink and the patient is older, it can be concerning. I'd call your veterinarian in the am.

Vote icon

1Pet Parents found this answer helpful

image
Have A Vet Question?

Book an appointment with the pros – our expert vets are here to help.

Sponsored