Petco Text Logo
Petco Pet Logo

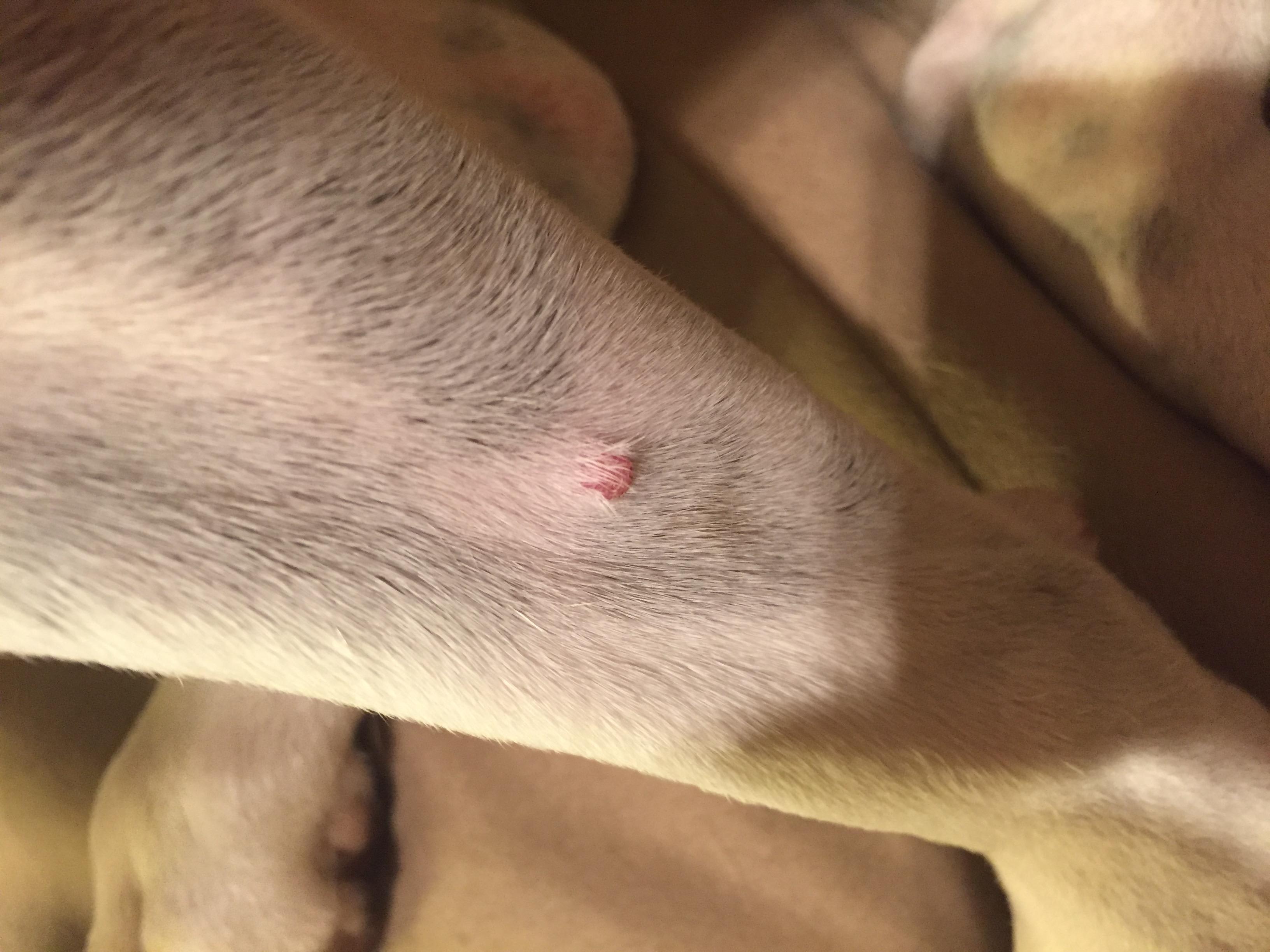
My dog has a bump on his skin. What could it be and should I worry?

Updated On September 23rd, 2025

Pet's info: Dog | Jack Russell Terrier | Male | neutered | 6 years and 6 months old | 50 lbs

Not sure what this bump is!

This question includes photos that may contain sensitive content. Click to view.

View more to consider that the photos may include sensitive content.

4 Answers

Most Helpful Answer

Image profile

Answered By Jessica Keay, DVM

Veterinarian

Published on June 14th, 2017

Dogs can have many different types of growths/tumors on the skin. Some are benign, such as sebaceous adenomas, and do not require removal unless the dog is frequently traumatizing them. Others are more aggressive (such as mast cell tumors) and require removal. It is impossible to say for certain what type of growth this is. I would recommend having your vet take a look in person. They may recommend a fine needle aspirate, where a small needle is inserted into the mass to take a sample to try to determine the type of growth. Until he is seen, I recommend measuring the growth with a ruler and marking down size, and then remeasuring at regular intervals to see if it is growing in size.

Vote icon

1Pet Parents found this answer helpful

Other Answers

  • Image profile

    Answered By Dr. Elizabeth

    Veterinarian

    Published on September 9th, 2019

    Pets can get many types of lumps and bumps. Most of these tumors will be benign but some will be malignant and you can't tell by looks. Here is a helpful link discussing the various types of skin masses in general: https://www.petcoach.co/article/lumps-and-bumps-on-your-pet/ I recommend to have it checked out to be safe. The doctor may recommend to aspirate the mass to examine the cells under a microscope. That is one of the best ways to know what it is and if further action is needed. Please feel free to post any additional questions.

    Vote icon

    1Pet Parents found this answer helpful

  • Image profile

    Answered By Emily, DVM

    Veterinarian

    Published on June 14th, 2017

    That could be a benign skin growth like a so it shouldn't change in its appearance. However it could be a mast cell tumor which can become bigger and cause issues. If after monitoring this mass you notice a change in size, it becomes raw and/or irritated Jack should get examined by his veterinarian to see if this mass should be removed.

    Vote icon

    1Pet Parents found this answer helpful

  • Image profile

    Answered By Laura Johnson VMD

    Veterinarian

    Published on July 12th, 2017

    Hi, I'm Dr. Johnson. Thanks for using Petco Pet Education Center, formerly Petcoach! In the picture the bump appears raised. There are few masses that can look like that-red, raised, hairless. In young dogs they can get red/pink button like skin masses called histiocytomas. They are benign and go away on there own in a few months. Sometimes they can get ulcerated. Another mass that can look like that and is common in bull dog breeds and boxers are Mast Cell tumors. Those are more serious. I recommend getting the mass looked at by your Veterinarian. They may want to aspirate the mass (use a needle and syringe to suck up some cells and send a slide to a pathologist) to tell exactly what the mass is. Good luck!

    Vote icon

    1Pet Parents found this answer helpful

See More Answers
image
Have A Vet Question?

Book an appointment with the pros – our expert vets are here to help.

Sponsored