Petco Text Logo
Petco Pet Logo

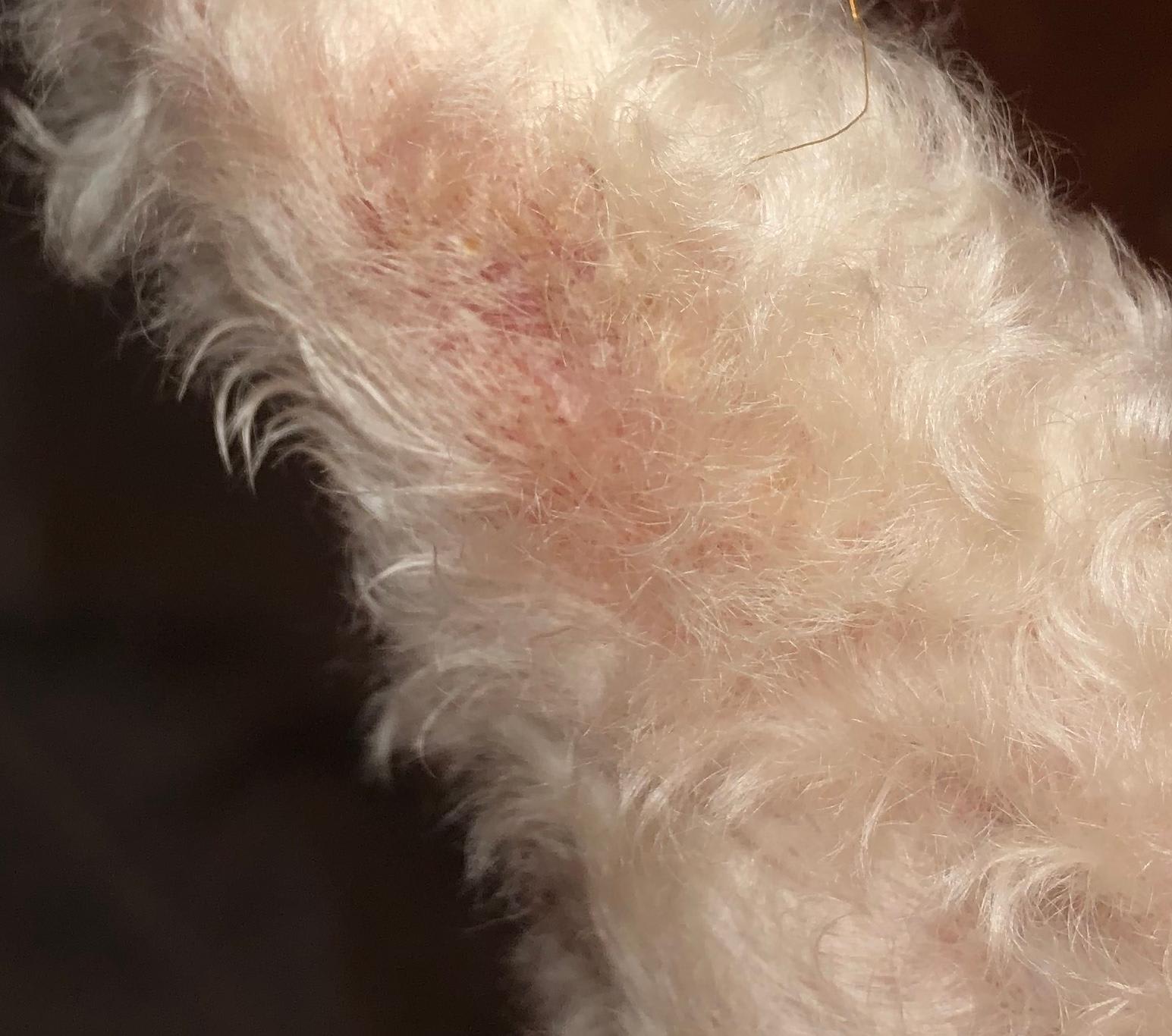
My dog keeps licking his red, swollen leg. How can I stop him?

Updated On September 23rd, 2025

Pet's info: Dog | Maltese | Male | neutered

Hello I was wondering how do I make my dog stop licking his leg? He keeps licking it and now it’s red and a little swollen. Please help

This question includes photos that may contain sensitive content. Click to view.

View more to consider that the photos may include sensitive content.

1 Answer

Most Helpful Answer

Image profile

Answered By Dr. Melanie, BVSc MS

Veterinarian

Published on January 4th, 2020

Tyler is licking it because it bothers him. You can put an Ecollar on him to stop him from licking, and you can make one at home or buy one at a pet store. Ultimately, however, it won't solve the initial problem, and he will need to see the vet for it.

Vote icon

2Pet Parents found this answer helpful

image
Have A Vet Question?

Book an appointment with the pros – our expert vets are here to help.

Sponsored