Petco Text Logo
Petco Pet Logo

My Maltese has a growing skin bump. Should I be concerned?

Updated On September 23rd, 2025

Pet's info: Dog | Maltese | Female | spayed | 2 years and 6 months old | 7.5 lbs

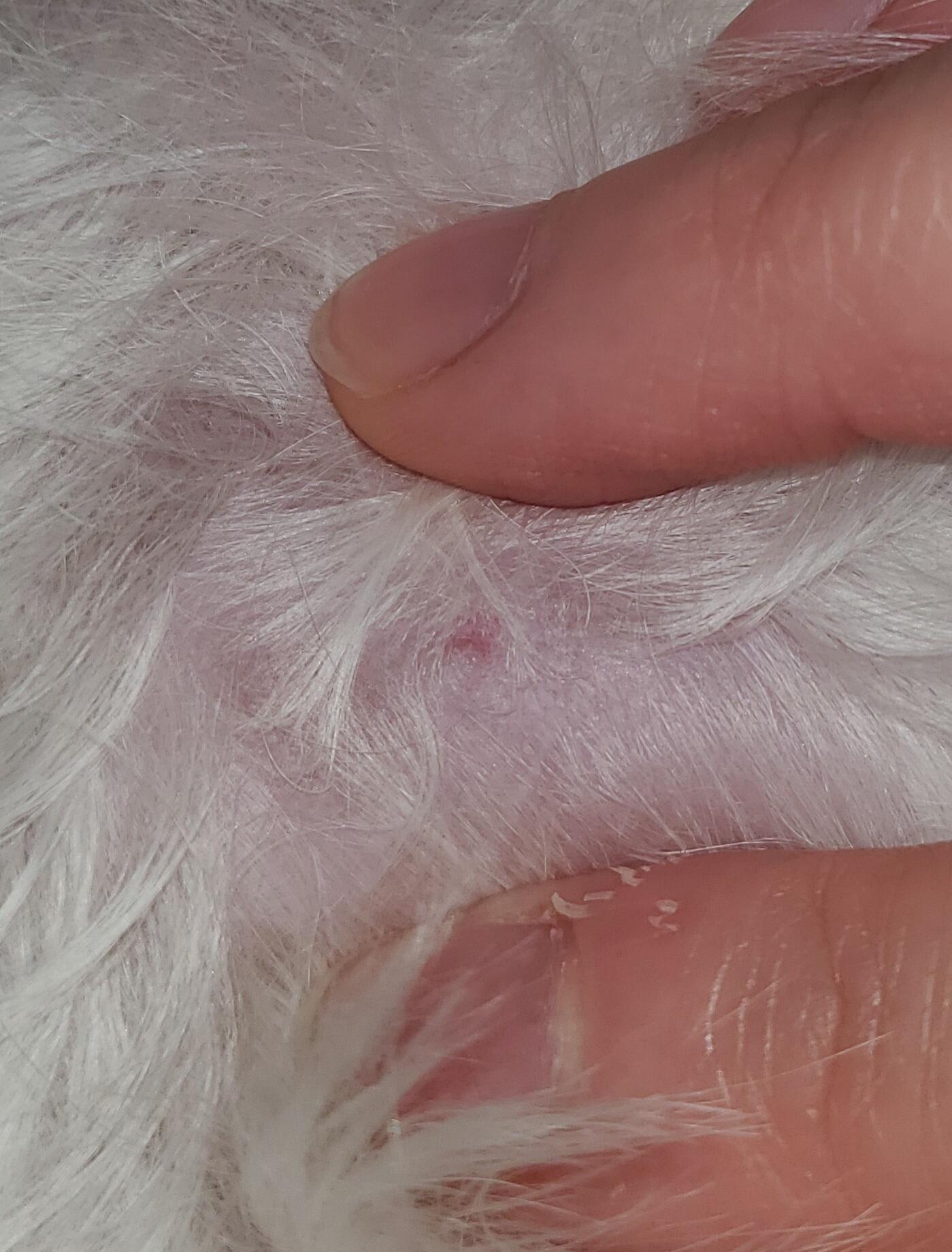
Hello, I found this bump on my maltese a couple of weeks ago. She is 2.5 years old. It has grown a bit bigger since then, so I am wondering if this is something I should be concerned about. She doesn't react much whenever I touch or lightly squeeze it, and she is usually very receptive to pain. For now, this is the only bump she appears to have. Thank you for your help!

This question includes photos that may contain sensitive content. Click to view.

View more to consider that the photos may include sensitive content.

1 Answer

Most Helpful Answer

Image profile

Answered By Dr. Leigh, DVM

Veterinarian

Published on May 14th, 2021

It looks like it could just be a sebaceous cyst but the only way to know for sure is to have her examined by a vet. Your vet can aspirate the lump and examine the contents under a microscope and then determine if any treatment is needed.

Vote icon

1Pet Parents found this answer helpful

image
Have A Vet Question?

Book an appointment with the pros – our expert vets are here to help.

Sponsored