Petco Text Logo
Petco Pet Logo

My dog has a stomach lump and scratch. Should I take him to the vet?

Updated On September 23rd, 2025

Pet's info: Dog | Mixed Breed | Male | neutered | 45.7 lbs

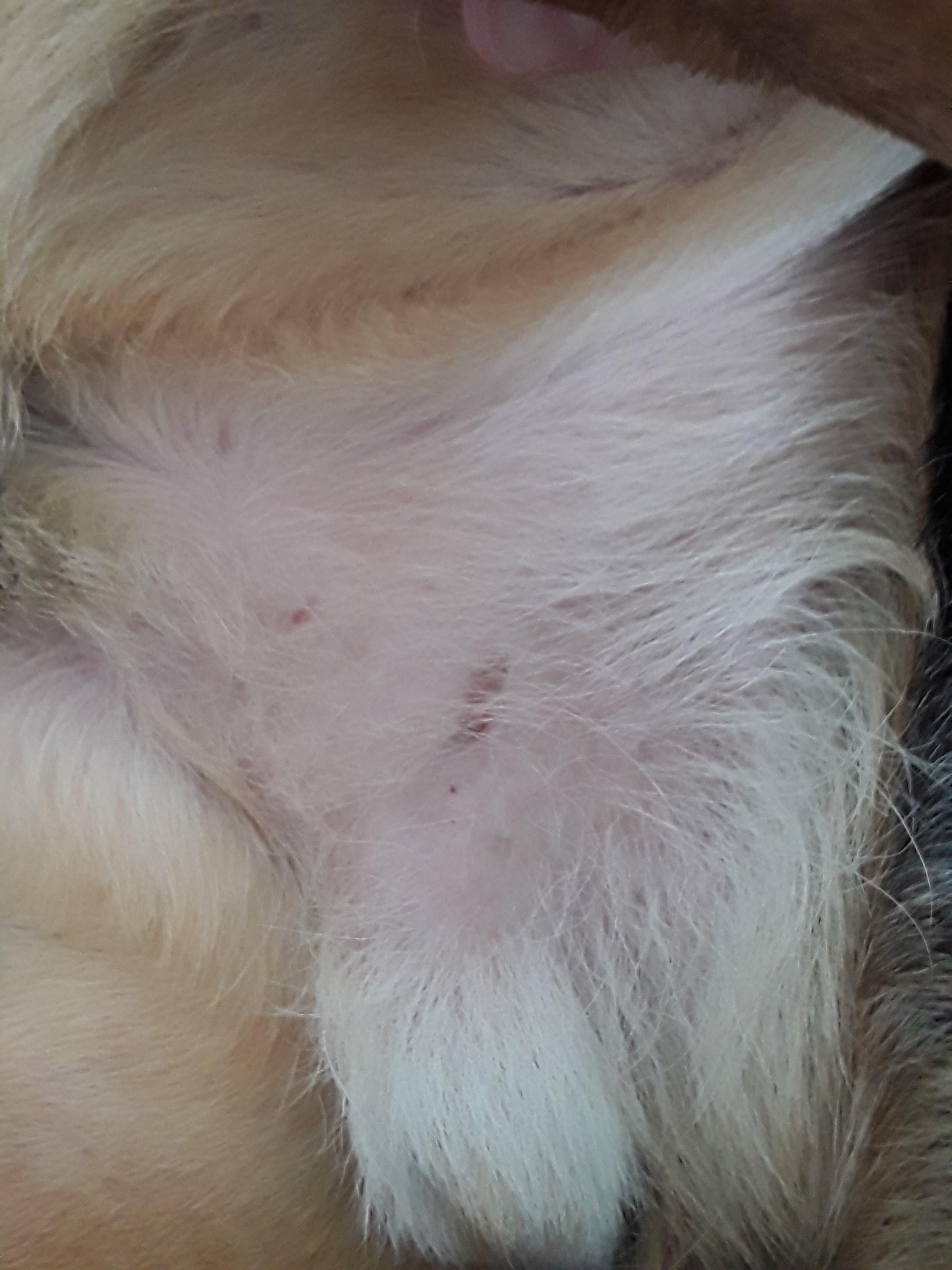
Hello! My dog has what I would call a scratch (abrasion maybe?) by his penis. He also has a lump on his stomach. I'm not sure if the scratch is from his scratching his stomach or not. I just noticed both today and would like to know if I need to go to the vet.

This question includes photos that may contain sensitive content. Click to view.

View more to consider that the photos may include sensitive content.

1 Answer

Most Helpful Answer

Image profile

Answered By Dr. Melanie, BVSc MS

Veterinarian

Published on August 2nd, 2020

Thank you for providing pictures, they are very helpful! I see what you mean about the scratch but it doesn't look infected so I would leave it be for now. As for the lump, I'm having trouble seeing it in the picture, but I do think it's worth getting checked out by a vet. Call his vet tomorrow to make him an appointment. I hope this helps!

Vote icon

1Pet Parents found this answer helpful

image
Have A Vet Question?

Book an appointment with the pros – our expert vets are here to help.

Sponsored