Petco Text Logo
Petco Pet Logo

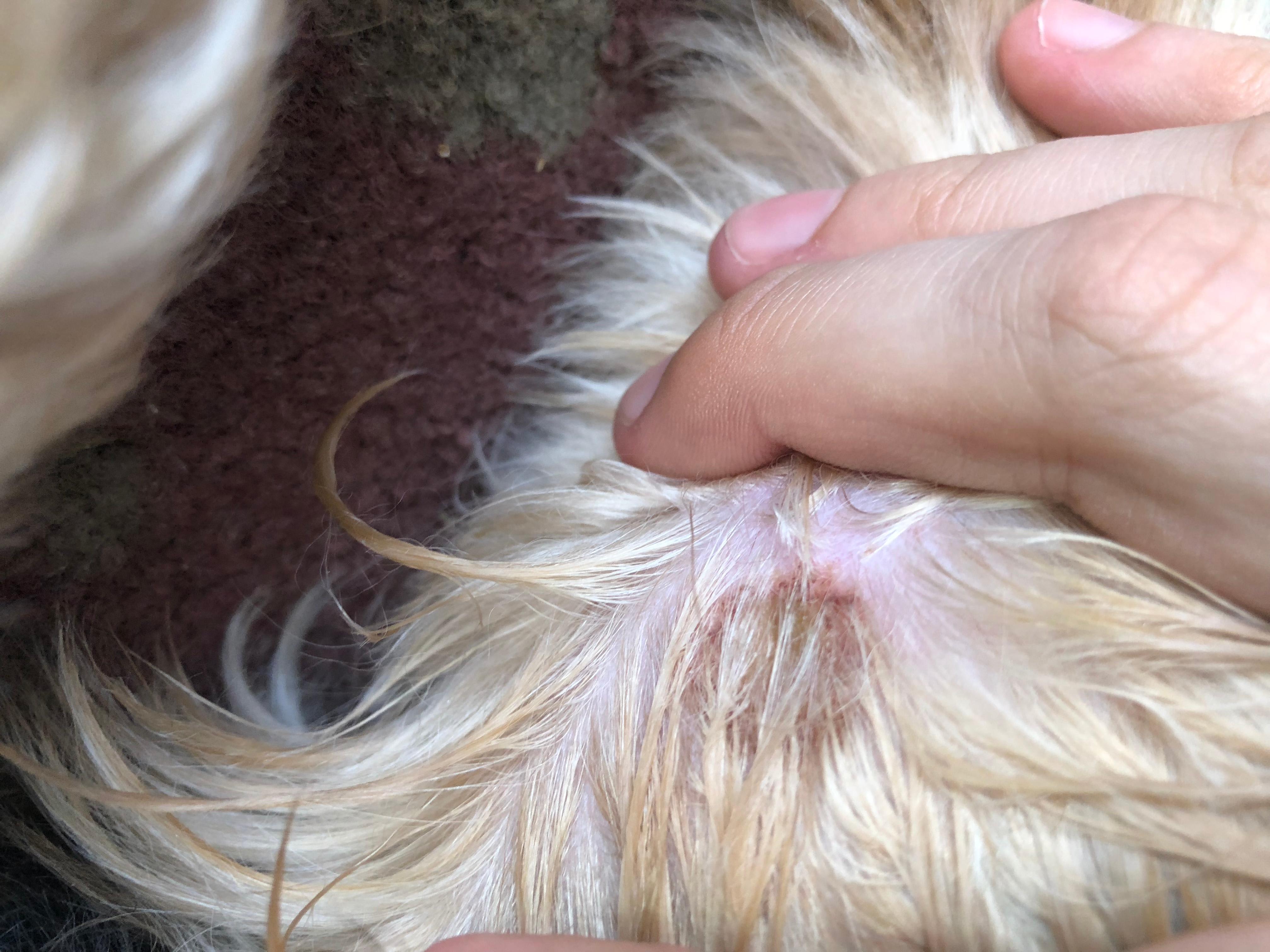
My dog has a red, matted bump on his face. Is it a hot spot?

Updated On September 23rd, 2025

Pet's info: Dog | Yorkshire Terrier | Male | neutered | 13 lbs

Today I was scratching my dogs face and I felt a bump. Moved the hair and I realized there was a red circle with matted hair ect and at first I thought it was a tick and tried to clean the area but it just seems to be some kind of infection but I’m unsure. the last photo is how it looks before I cleaned it, the other two were after.

This question includes photos that may contain sensitive content. Click to view.

View more to consider that the photos may include sensitive content.

1 Answer

Most Helpful Answer

Image profile

Answered By Dr. Leigh, DVM

Veterinarian

Published on May 9th, 2018

It looks like he has a hot spot. You could continue to clean the area with something like DOUXO® Chlorhexidine Pads and see if it completely resolves. Otherwise, he will need to be examined by a vet for treatment. He may need an antibiotic and corticosteroid to treat the problem.

Vote icon

4Pet Parents found this answer helpful

image
Have A Vet Question?

Book an appointment with the pros – our expert vets are here to help.

Sponsored