Petco Text Logo
Petco Pet Logo

My dog has a sudden bright red spot on his stomach, but it doesn't bother him. What is it?

Updated On September 23rd, 2025

Pet's info: Dog | Mixed Breed Small (up to 22lb) | Male | neutered | 17 lbs

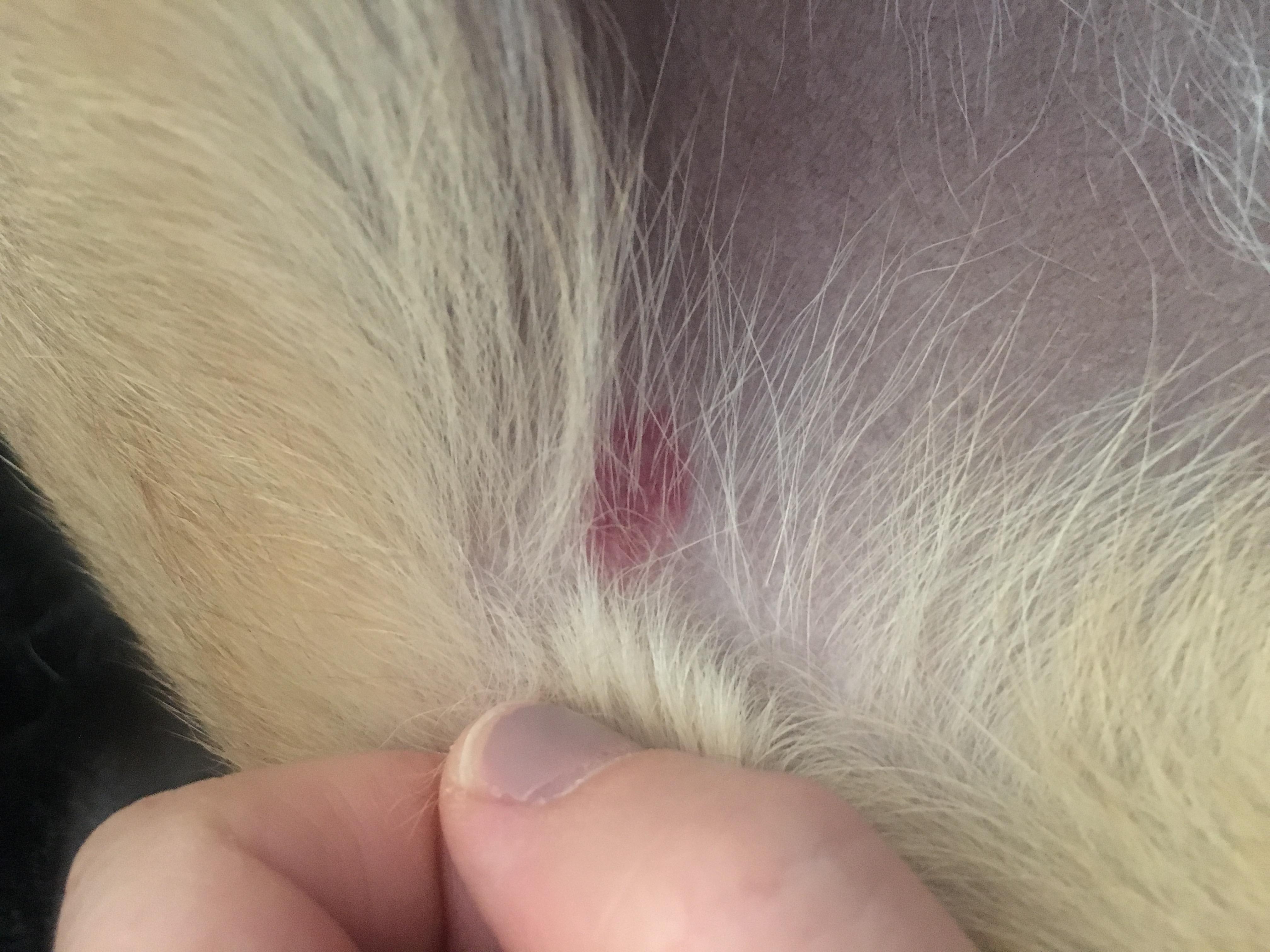
I found a bright red spot on my dogs stomach/ side area. I was wondering what it is. He doesn’t react when i touch It and it doesn’t seem to bother him, but it showed up suddenly. It wasn’t there last night and possibly wasn’t there this morning, i noticed it when he came inside from playing in the yard.

This question includes photos that may contain sensitive content. Click to view.

View more to consider that the photos may include sensitive content.

1 Answer

Most Helpful Answer

Image profile

Answered By Jenna Beyer, DVM, MBA, cVMA

Veterinarian, Certified Veterinary Acupuncturist

Published on August 2nd, 2019

It could be a bruise or a bug bite. I would keep an eye on it for a day or so. If more spots pop up, or if Tango starts showing other abnormalities or a change in appetite or behavior, he should definitely get checked out by a vet.

Vote icon

1Pet Parents found this answer helpful

image
Have A Vet Question?

Book an appointment with the pros – our expert vets are here to help.

Sponsored