Petco Text Logo
Petco Pet Logo

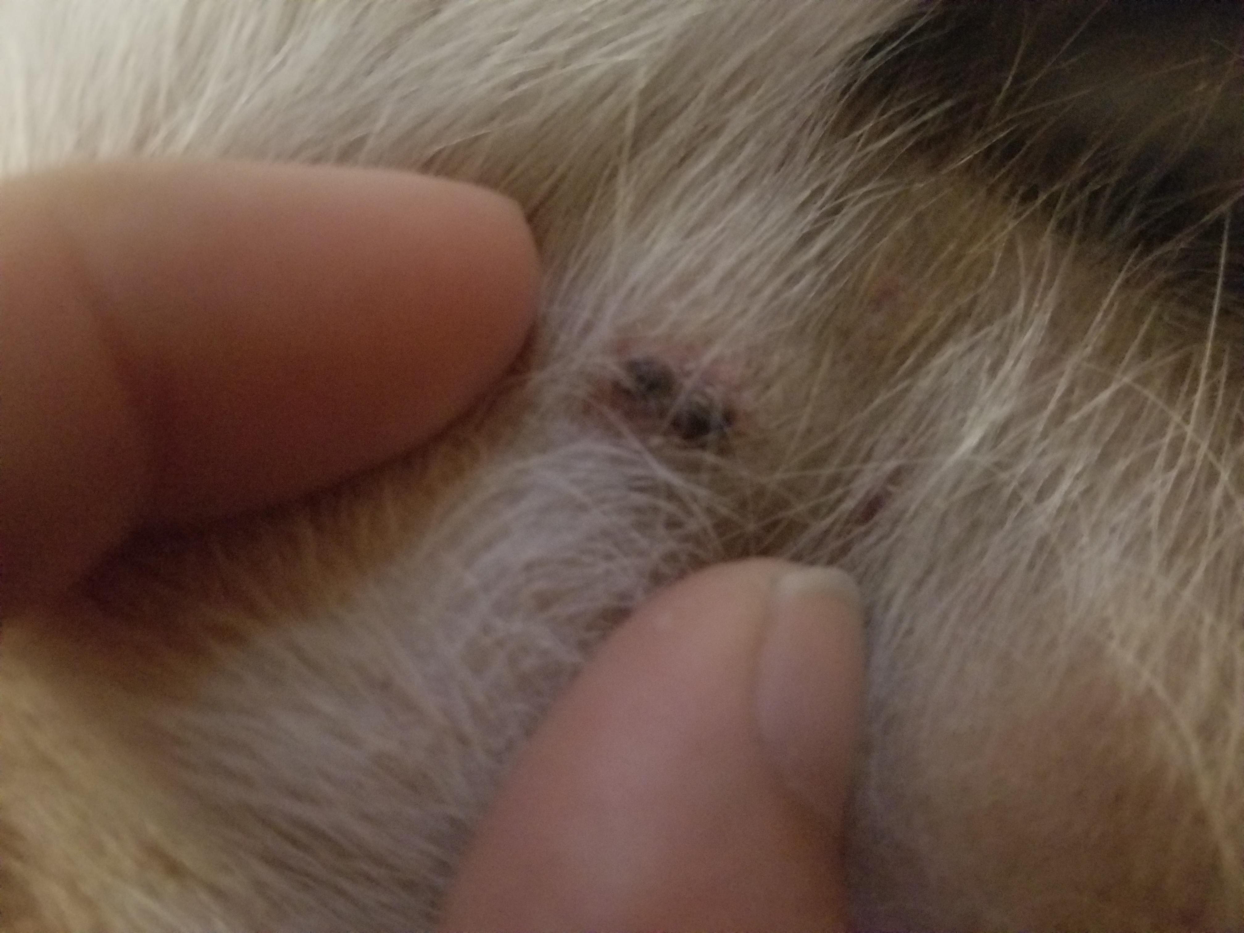
My dog has dark red soft bumps. What are they? When to worry?

Updated On September 23rd, 2025

Pet's info: Dog | Mixed Breed | Female | spayed | 12 years and 11 months old | 25 lbs

I've noticed several of these dark red soft bumps on my dog. What are they?

This question includes photos that may contain sensitive content. Click to view.

View more to consider that the photos may include sensitive content.

1 Answer

Most Helpful Answer

Image profile

Answered By Dr. Elizabeth

Veterinarian

Published on June 6th, 2019

I can't tell what those are from the photos. Is it possible they are ticks/tick bites? Skin infections, blocked pores or tumors are also possible. The only way to know with accuracy is to have Bella examined by her veterinarian. I recommend to get this done so that any needed treatments can be administered. Best of luck.

Vote icon

1Pet Parents found this answer helpful

image
Have A Vet Question?

Book an appointment with the pros – our expert vets are here to help.

Sponsored