Petco Text Logo
Petco Pet Logo

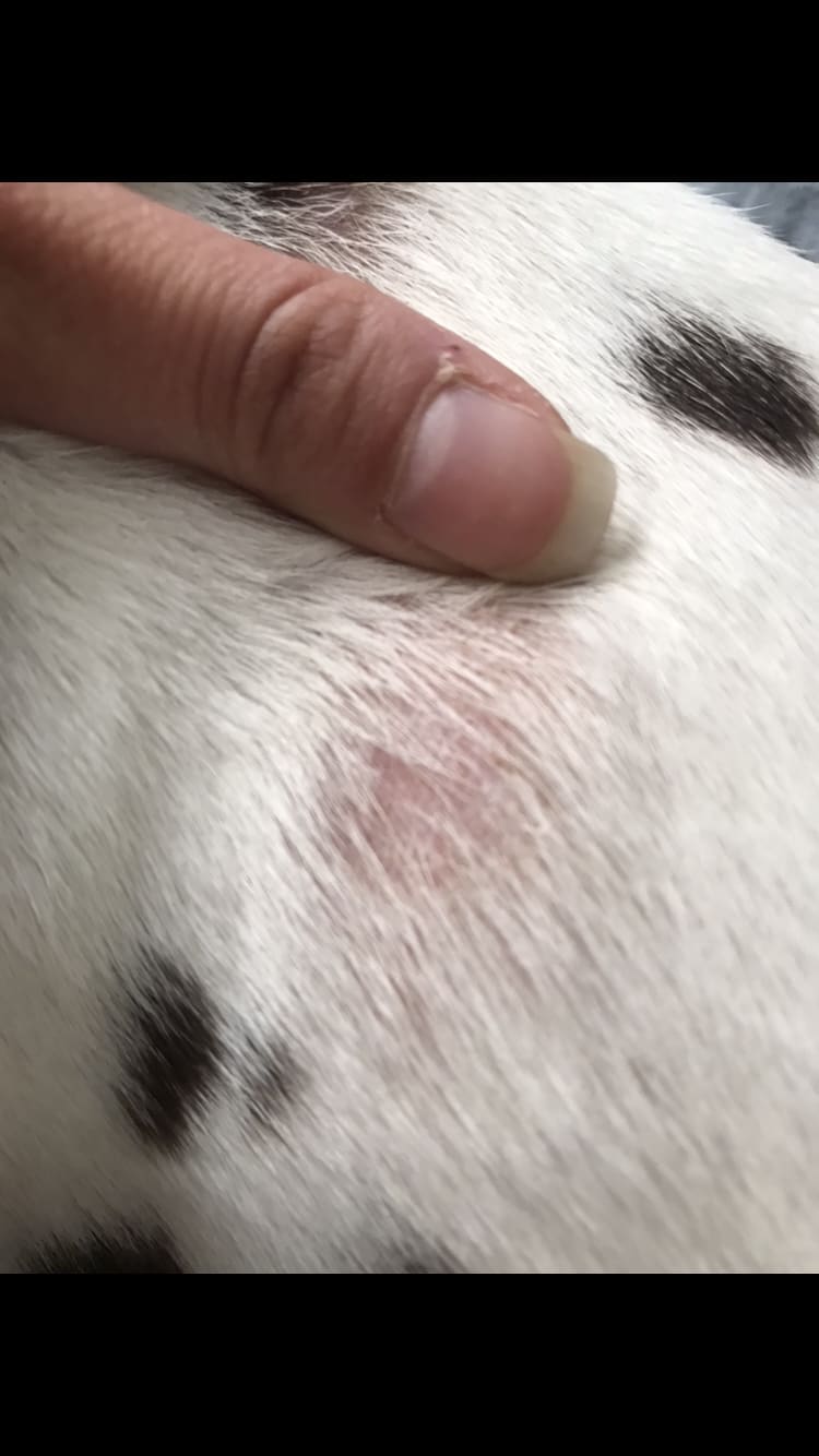
My dog has a red, itchy, flaky spot with hair loss. What's wrong?

Updated On September 23rd, 2025

Pet's info: Dog | Dalmatian | Male | unneutered | 5 months and 12 days old

My liver-spotted Dalmatian has this red spot on his side. He sometimes itches it. I tried to put coconut oil on it incase it was dryness but it hasn't gone away. its been there about 2 weeks. when I look closely it looks flaky and the hair in that spot has completely fallen out. Any idea what it could be?

This question includes photos that may contain sensitive content. Click to view.

View more to consider that the photos may include sensitive content.

1 Answer

Most Helpful Answer

Image profile

Answered By Lotus Altholtz

Veterinarian, Board-Certified Lab Animal Medicine Specialist

Published on March 3rd, 2019

It could be a ringworm (fungal) lesion. Ringworm is unfortunately zoonotic which means that people can get it too. I recommend bringing Nixon to your vet for a ringworm fungal culture (which often takes up to 7-10 days for confirmation) and topical miconazole lotion to apply twice daily for 2-3 weeks in the meantime. Definitely avoid touching it in the meantime. Other possible causes could be a bacterial infection /collarette lesion or mange. Mange can be ruled out by starting Nixon on oral Nexgard/Simparica or Bravecto flea/tick prevention which also treats mange (mite) infections. Bacterial collarettes usually come in multiples, however. Good luck! Nixon is a gorgeous dog!

Vote icon

1Pet Parents found this answer helpful

image
Have A Vet Question?

Book an appointment with the pros – our expert vets are here to help.

Sponsored