Petco Text Logo
Petco Pet Logo

My dog has arthritis and hind leg pain. Should Dasuquin work by now?

Updated On September 23rd, 2025

Pet's info: Dog | American Eskimo Dog | Male | neutered | 10 years and 1 month old | 30 lbs

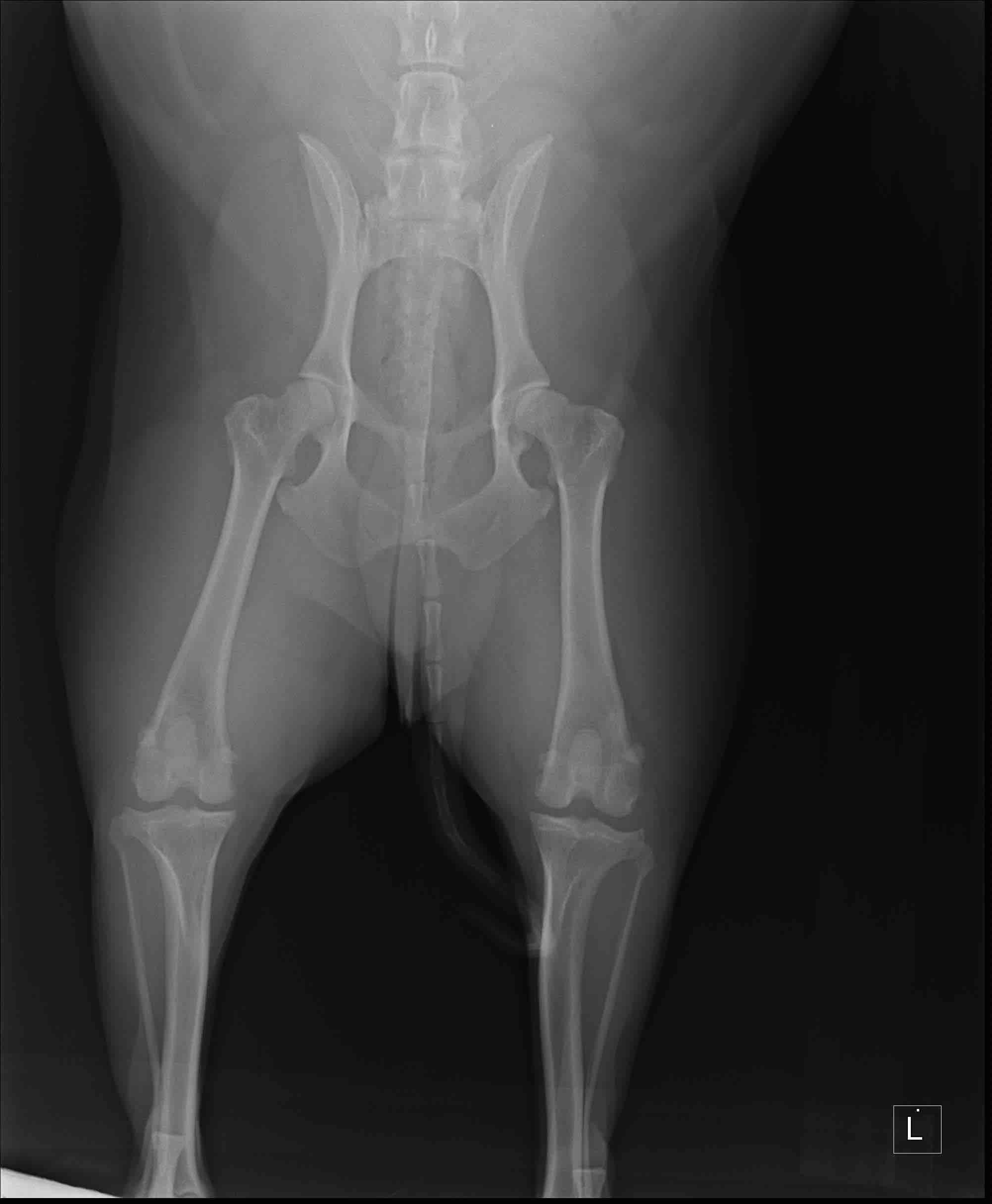
Brody has been having lameness in his hind legs. He was put on meds for inflammation and it still continued. Went back for X-ray. Vets seem to think arthritis. We then started him on dasuquin three weeks ago. He is still experiencing lameness in his hind legs. Should he be showing improvement by now if it is arthritis? Also xrays did show bladder stones which i understand can cause pain in abdomen. Could it present as leg pain to us? I’m attaching his X-rays. Should i seek second opinion? Thanks

This question includes photos that may contain sensitive content. Click to view.

View more to consider that the photos may include sensitive content.

1 Answer

Most Helpful Answer

Image profile

Answered By Dr. Elizabeth

Veterinarian

Published on January 4th, 2019

I hate to hear that Brody is experiencing some issues with his legs. I agree that the hips look like they could be the source of the lameness with decreased acetabular coverage of the femoral heads and also a slight thickening of the femoral necks. I do not anticipate lameness from the bladder stones. Discomfort from the bladder stones tends to occur when Brody urinates and I have seen some pets exhibit no signs. You may discuss with the veterinarian ways to address the stones as they can cause problems with urinary tract infections or even cause obstruction of the urethra. Most pets will have surgery although depending on the type of stone, some may be able to break down with a special diet. Regarding the lameness, Dasuquin is a good product and it will take 4-6 weeks to reach maximum strength. Most vets recommend loading the supplement (so they take a higher amount for 4-6 weeks) then they decrease it. Give it a little more time to take effect. Other things that can help with arthritis including giving an additional omega 3 fatty acid (Nutramax makes a nice product) can help with natural inflammation control. There is another product I like called Duralactin and it is a joint supplement that I often use in conjunction with Dasuquin. If you are interested in a diet change, Royal Canin makes a diet called Mobility Support which has green lipped muscle as an ingredient and pets tend to do very well in it. Lastly, you make consider seeking a veterinarian or facility who can offer physical therapy. Especially with the hind legs, muscle mass and tone is very important in stabilizing the joints. Daily, low impact activity is very important in maintaining this. A physical therapist will examine the lameness and all the muscle groups and will show you exact exercises you can do at home to maintain optimal muscle health. Long term, this is very important. Sometimes the therapist will recommend other things like working on an under water treadmill, swimming or even acupuncture to help. It’s definitely beneficial to get therapies started early while the signs are still mild. Certainly if Brody does not respond well after 6 weeks, I think seeking a second opinion is valid. I hope this helps and thank you for using Petco Pet Education Center, formerly Petcoach.

Vote icon

1Pet Parents found this answer helpful

image
Have A Vet Question?

Book an appointment with the pros – our expert vets are here to help.

Sponsored