Petco Text Logo
Petco Pet Logo

My dog has stubborn skin patches. Could allergies be the cause?

Updated On September 23rd, 2025

Pet's info: Dog | Beagle | Male | unneutered | 4 years and 10 months old | 35 lbs

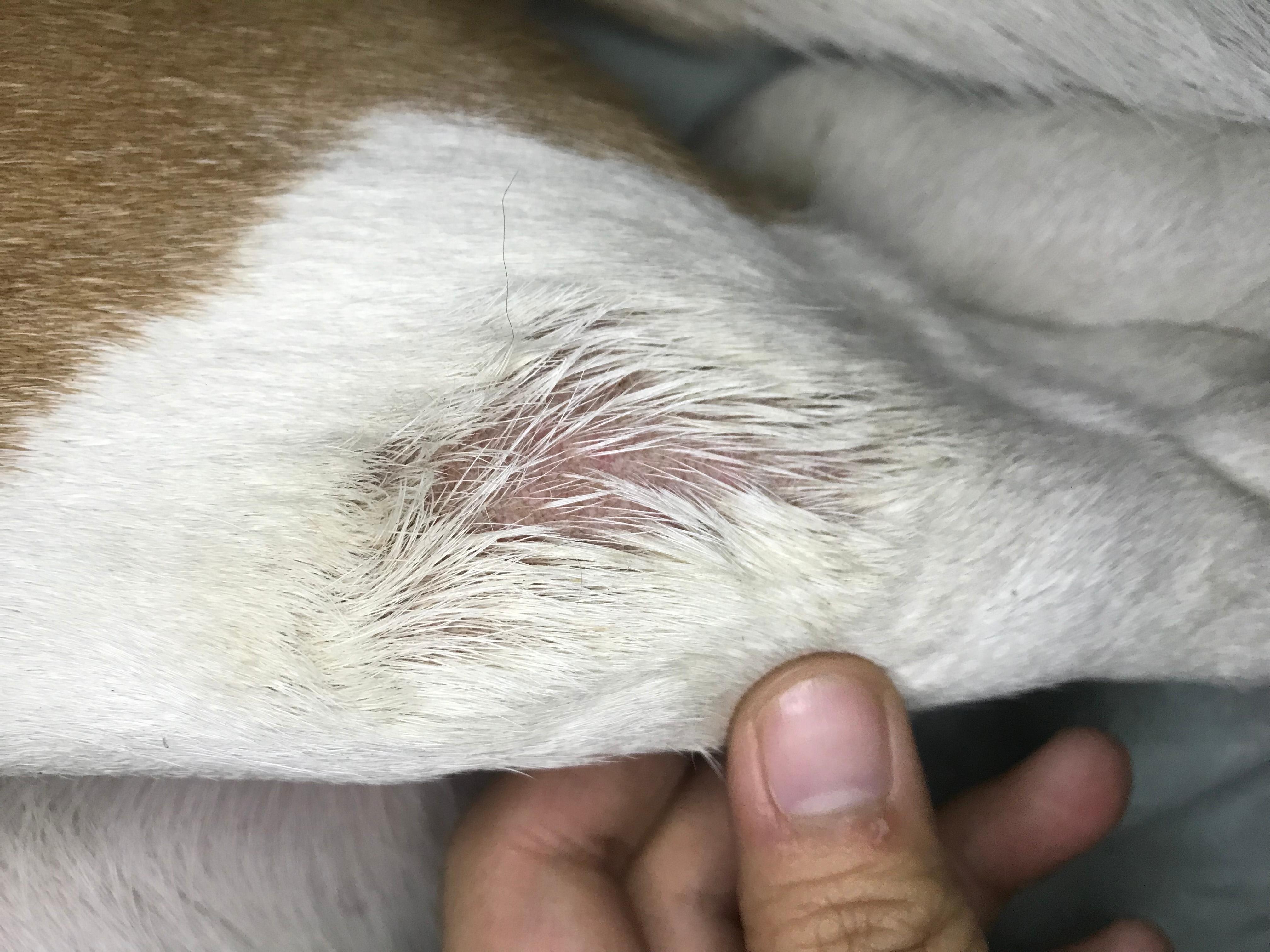
Dog has been having these patches(attached pics) close to 4 months now. Vet has prescribed him with chlorphenaime, prednizone, scavon, mycocide, itraconazole, atopex, even injected anti-mange but can’t seem to pinpoint what this is. Currently putting clobetazole propionate. Seems to be slowly working but new patches keep showing up. He is now on a hypoallergenic diet because vet says it may be allergy. He didn’t have any allergy prior to this at all. What could be the problem? Please help.

This question includes photos that may contain sensitive content. Click to view.

View more to consider that the photos may include sensitive content.

2 Answers

Most Helpful Answer

Image profile

Answered By Ricardo Fernandez, DVM

Veterinarian, Veterinary Oncology Resident

Published on August 25th, 2018

Thanks for using Petco Pet Education Center, formerly Petcoach! I would agree with your veterinarian that this is likely due to allergies so I would focus on that. It really comes down to figuring out what is causing his allergies so that they can be treated or the specific allergen avoided. A secondary infection is likely and also needs to be addressed. There are many things that can cause allergies though in most cases they can be broken down into 3 big categories: flea, food and environmental allergies. Allergies are usually worked up in a stepwise fashion starting with flea allergies as this is the easiest and cheapest to take care of. If not on a flea preventative, then it would be a good idea to get started on one. If already on one then it would be a good idea to change to something else (there are many new products out in the market). If not improved in 1-3 months then it is time to move on and check for food allergies by switching to a novel diet (new protein and new carbohydrate). If that does not seem to be the issue then you are left out having to check for environmental allergies which require blood and/or skin tests. Allergies can be very frustrating to deal with at first but so rewarding at the end when we are able to treat them effectively!

Vote icon

1Pet Parents found this answer helpful

Other Answers

  • Image profile

    Answered By Ricardo Fernandez, DVM

    Veterinarian, Veterinary Oncology Resident

    Published on January 28th, 2018

    Thanks for using Petco Pet Education Center, formerly Petcoach! This is possibly due to allergies. It really comes down to figuring out what is causing his allergies so that they can be treated or the specific allergen avoided. There are many things that can cause allergies though in most cases they can be broken down into 3 big categories: flea, food and environmental allergies. Allergies are usually worked up in a stepwise fashion starting with flea allergies as this is the easiest and cheapest to take care of. If not on a flea preventative, then it would be a good idea to get started on one. If already on one then it would be a good idea to change to something else (there are many new products out in the market). If not improved in 1-3 months then it is time to move on and check for food allergies by switching to a novel diet (new protein and new carbohydrate). If that does not seem to be the issue then you are left out having to check for environmental allergies which require blood and/or skin tests. Allergies can be very frustrating to deal with at first but so rewarding at the end when we are able to treat them effectively!

    Vote icon

    1Pet Parents found this answer helpful

See More Answers
image
Have A Vet Question?

Book an appointment with the pros – our expert vets are here to help.

Sponsored