Petco Text Logo
Petco Pet Logo

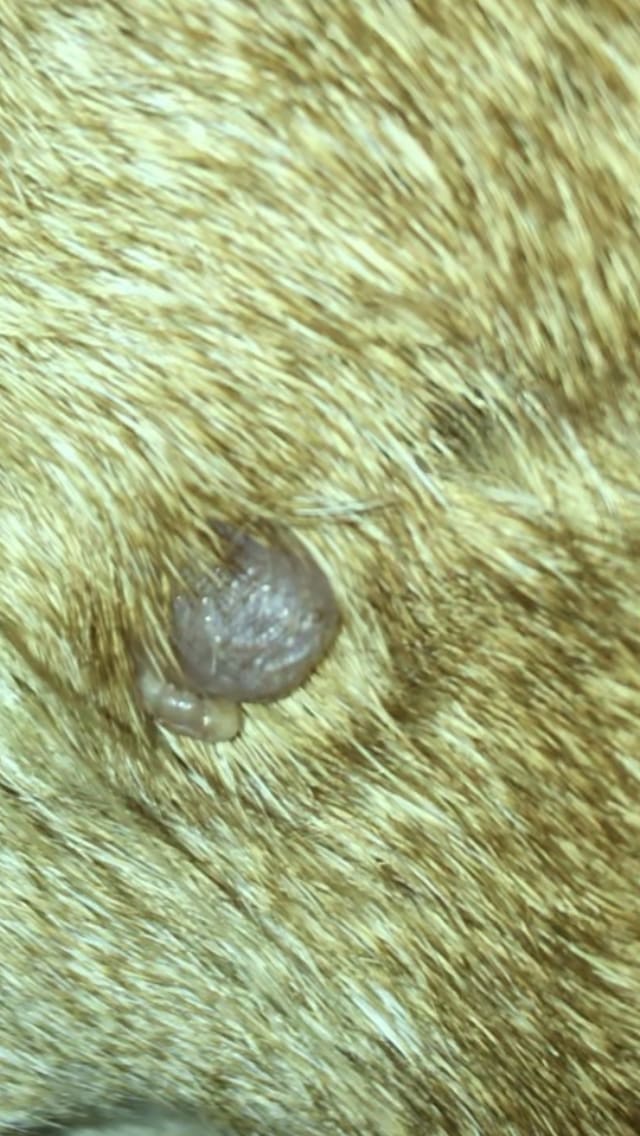
My Lab has a growing lump on his neck. Should I take him to the vet?

Updated On September 23rd, 2025

Pet's info: Dog | Mixed Breed Large (61lb +) | Male | neutered | 80 lbs

This bump has been on my Labs neck for about 4 months, doesn’t seem to cause his discomfort unless I try to touch it. It has been growing

This question includes photos that may contain sensitive content. Click to view.

View more to consider that the photos may include sensitive content.

1 Answer

Most Helpful Answer

Image profile

Answered By Dr. Melanie, BVSc MS

Veterinarian

Published on July 25th, 2018

This lump on Max could be a cyst, a benign tumor, or a malignant tumor. It is concerning that it has been growing, and this is definitely something that needs to be seen by a vet. The vet can perform a test called a fine needle aspirate on it. To do this, the vet sticks a small needle into the lump to get a sample of it's cells, and examines the cells on a slide under a microscope. It's usually painless to the animal, and relatively quick to perform. Once the cause of the lump is diagnosed, the vet can discuss treatment options with you. I would call Max's vet first thing in the morning to get an appointment for him. Best of luck, I hope this helps!

Vote icon

1Pet Parents found this answer helpful

image
Have A Vet Question?

Book an appointment with the pros – our expert vets are here to help.

Sponsored