Petco Text Logo
Petco Pet Logo

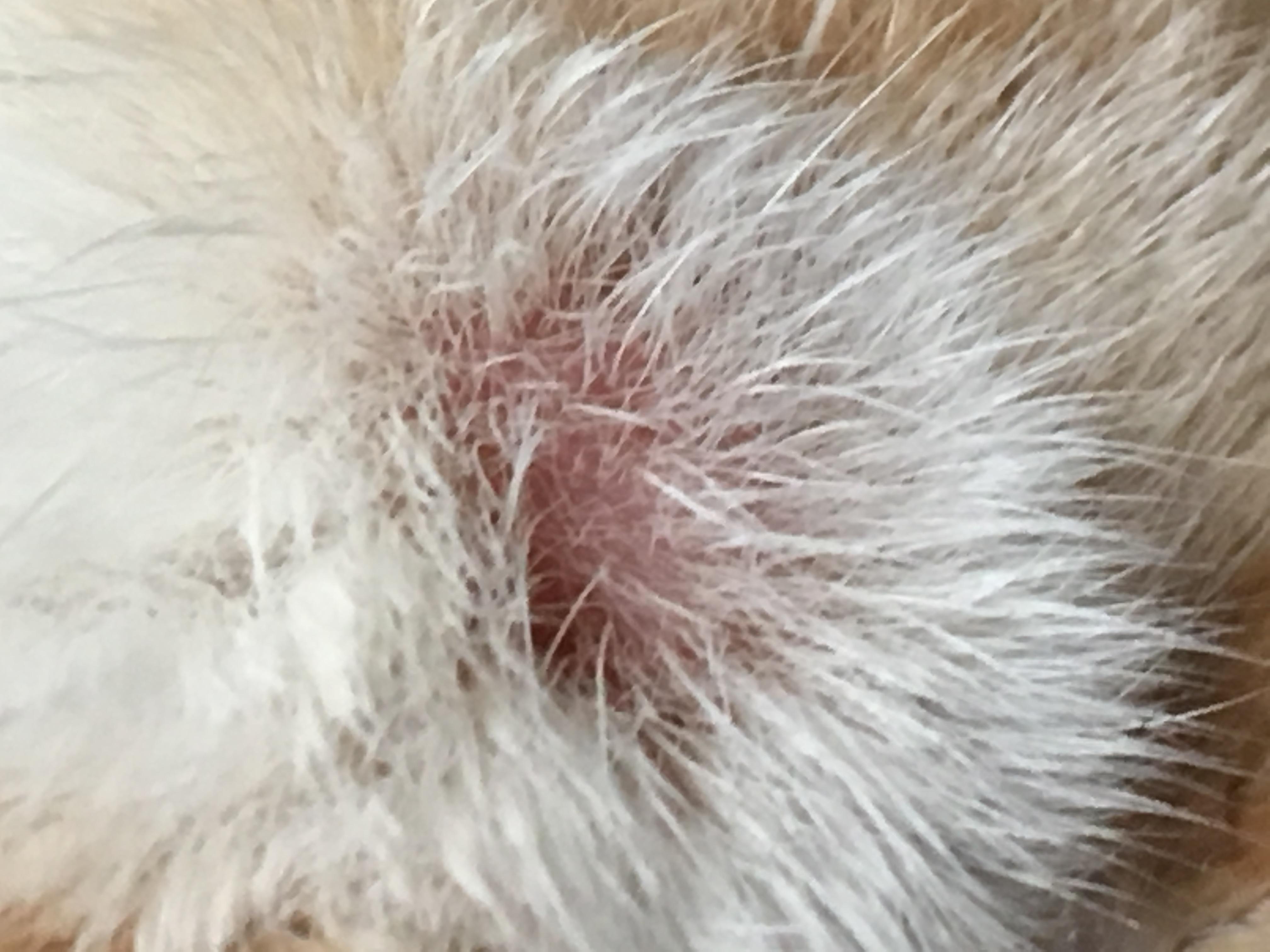
My 20-year-old cat has a new lump under her fur. What is it?

Updated On September 23rd, 2025

Pet's info: Cat | Domestic Mediumhair | Female | spayed | 20 years and 7 months old

Can you tell me what this is on my cat it appeared out of no where can't tell with hair on it . She is 20 years old indoor cat born 1997 .

This question includes photos that may contain sensitive content. Click to view.

View more to consider that the photos may include sensitive content.

1 Answer

Most Helpful Answer

Image profile

Answered By Jenna Beyer, DVM, MBA, cVMA

Veterinarian, Certified Veterinary Acupuncturist

Published on October 14th, 2017

I am not quite sure what is. It could be a small abscess, infection, ringworm, a wound from fighting or caused by itching, mites, or even a small tumor. I would recommend that Winsky be checked out by a vet to figure out what this spot could be.

Vote icon

1Pet Parents found this answer helpful

image
Have A Vet Question?

Book an appointment with the pros – our expert vets are here to help.

Sponsored