Petco Text Logo
Petco Pet Logo

My puppy is itching, has a rash, and vomited after Trifexis. What now?

Updated On September 23rd, 2025

Pet's info: Dog | English Springer Spaniel | Female | 3 months and 23 days old | 20 lbs

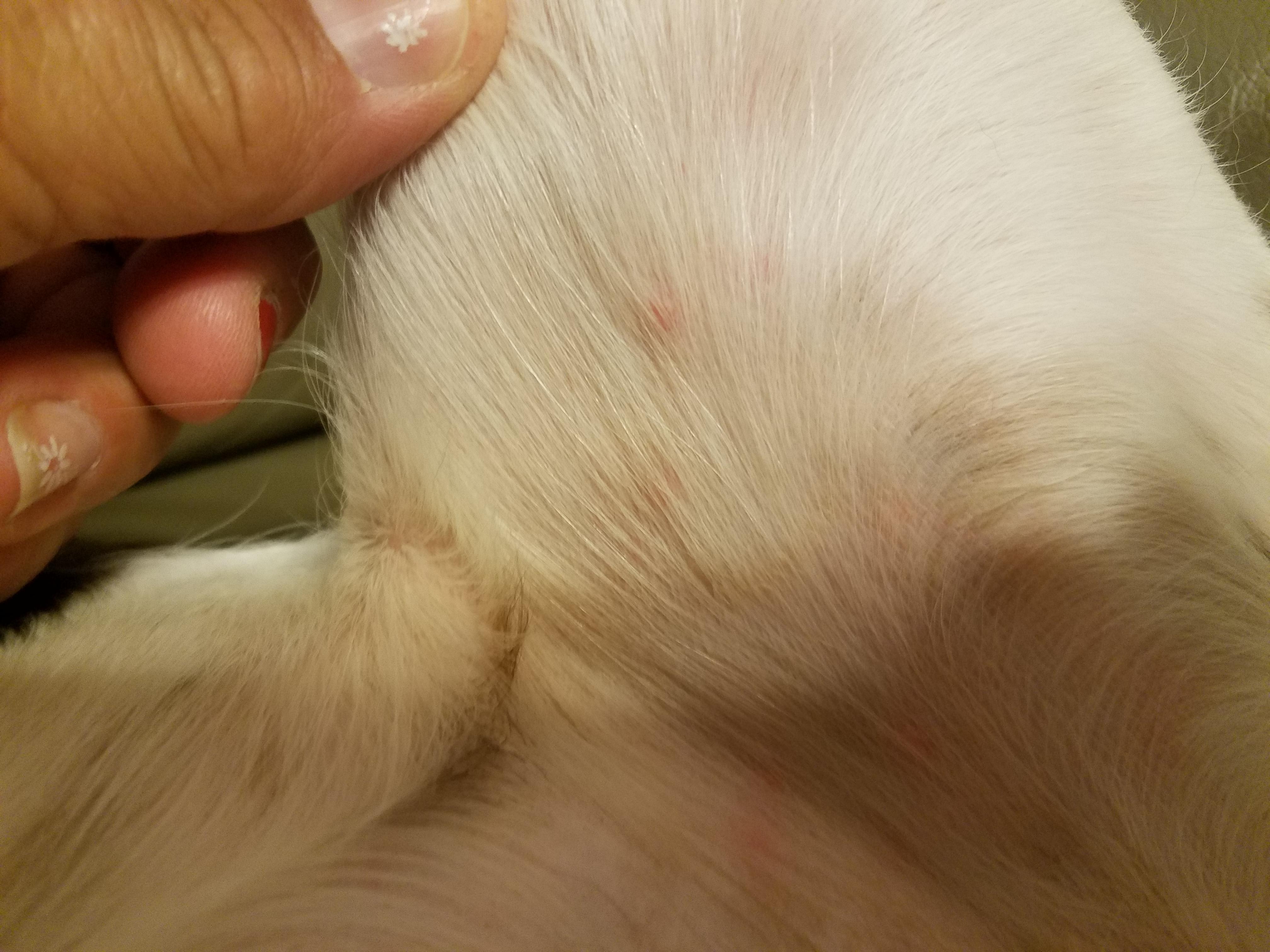
Our 14 week old female Springer Spaniel has been itching like crazy. After her last dose of Trifexis she ate about Ann hour later there she threw up about 30 minutes after she ate. That was 8-9-17. I don't see any fleas. She has a rash on her belly and under her front legs. She has had baths about every 3 days because she gets dirty a lot. She stopped eating puppy food and is eating Purina Benefinal Salmon. Should we take her to the vet? We bought the Berts itching shampoo also.

This question includes photos that may contain sensitive content. Click to view.

View more to consider that the photos may include sensitive content.

1 Answer

Most Helpful Answer

Image profile

Answered By Ricardo Fernandez, DVM

Veterinarian, Veterinary Oncology Resident

Published on August 15th, 2017

Hi there! She does have some evidence of dermatitis though I would not give up on this flea preventative yet. Give it another month and see what happens. For all we know, she could have vomited secondary to her meal at that time. Having said that, if she vomits again after her dose, this could be related and it may be worth switching to a different flea preventative. Remember that it is also important to also vacuum thoroughly frequently including all her bedding for the first 1-2 months. She would benefit from bathing with an antibacterial/anti-yeast shampoo at least once weekly until these lesions go away. If not improving, have her evaluated by your veternarian. Good luck!

Vote icon

1Pet Parents found this answer helpful

image
Have A Vet Question?

Book an appointment with the pros – our expert vets are here to help.

Sponsored