Petco Text Logo
Petco Pet Logo

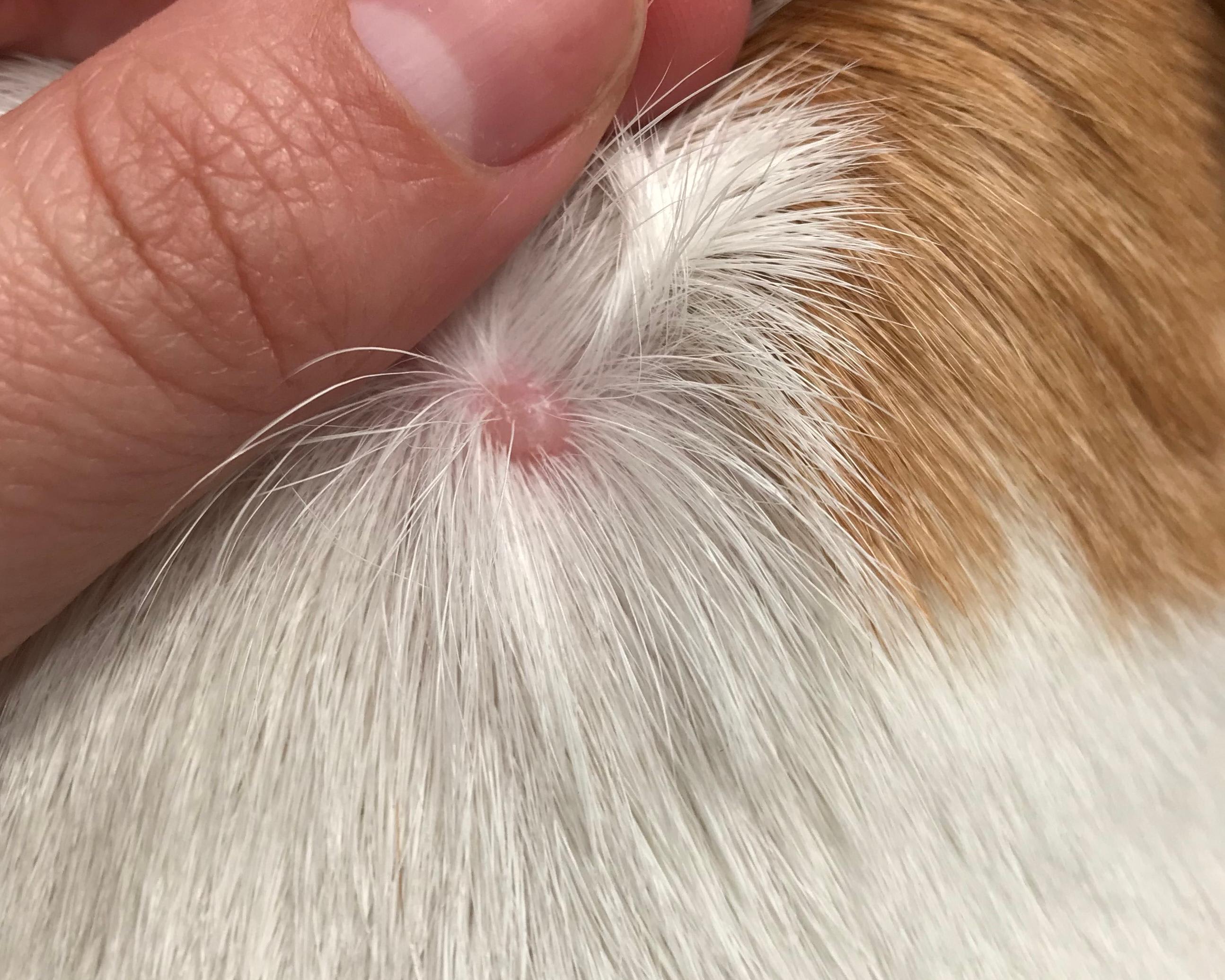
What is this hard bump on my dog's neck? Should I worry about it?

Updated On September 23rd, 2025

I noticed a small hard bump on the back of my dog’s neck. What is this?

This question includes photos that may contain sensitive content. Click to view.

View more to consider that the photos may include sensitive content.

3 Answers

Most Helpful Answer

Image profile

Answered By Jenna Beyer, DVM, MBA, cVMA

Veterinarian, Certified Veterinary Acupuncturist

Published on March 29th, 2020

It could be a cyst, a wart, or some other benign or malignant growth. The only way to know for certain what a bump is is to take a sample of cells with a needle or biopsy for examination under a microscope. If it seems to bother your dog or appears to be growing rapidly, be sure to have this lesion checked out in the next week or two. Otherwise, if your dog isn't bothered and the lesion doesn't seem to be changing much, I would recommend having it checked out by a vet in the next couple of months.

Vote icon

34Pet Parents found this answer helpful

Other Answers

  • Image profile

    Answered By Dr. Melanie, BVSc MS

    Veterinarian

    Published on May 11th, 2019

    Thank you for contacting Petco Pet Education Center, formerly Petcoach with your question. On a dog Bullet's age, I would suspect this would be something more like a cyst or benign tumor, rather than something more serious like a malignant tumor. Any suspicious lumps should be examined by the vet. The vet can perform a test called a fine needle aspirate on it. To do this, the vet sticks a small needle into the lump to get a sample of its cells, and examines the cells on a slide under a microscope. It's usually painless to the animal, and relatively quick to perform. Once the cause of the lump is diagnosed, the vet can discuss treatment options if needed. Give her vet a call in the morning to make her an appointment. Best of luck.

    Vote icon

    1Pet Parents found this answer helpful

  • Image profile

    Answered By Daniel Fonza, DVM

    Veterinarian

    Published on November 2nd, 2017

    Hi there and thank you for using pet coach to address your concern. It is difficult to say for me picture and description what the lump could be. This could be a cyst under the skin that has grown in size. Cysts are typically benign and there is typically material and side that can be expressed and removed. Fatty tumors can also occur under the skin and are usually soft and freely movable. The best way to help determine what this could be would be to have a veterinarian take a look at this and perform some testing on it to help determine what this could be. Your vet can insert a small needle into the mass and look at the cells under a microscope to help determine what it could be. I hope this helps guide you in the right direction. Please feel free to contact me with any other questions or concerns that you may have.

    Vote icon

    1Pet Parents found this answer helpful

See More Answers
image
Have A Vet Question?

Book an appointment with the pros – our expert vets are here to help.

Sponsored