Petco Text Logo
Petco Pet Logo

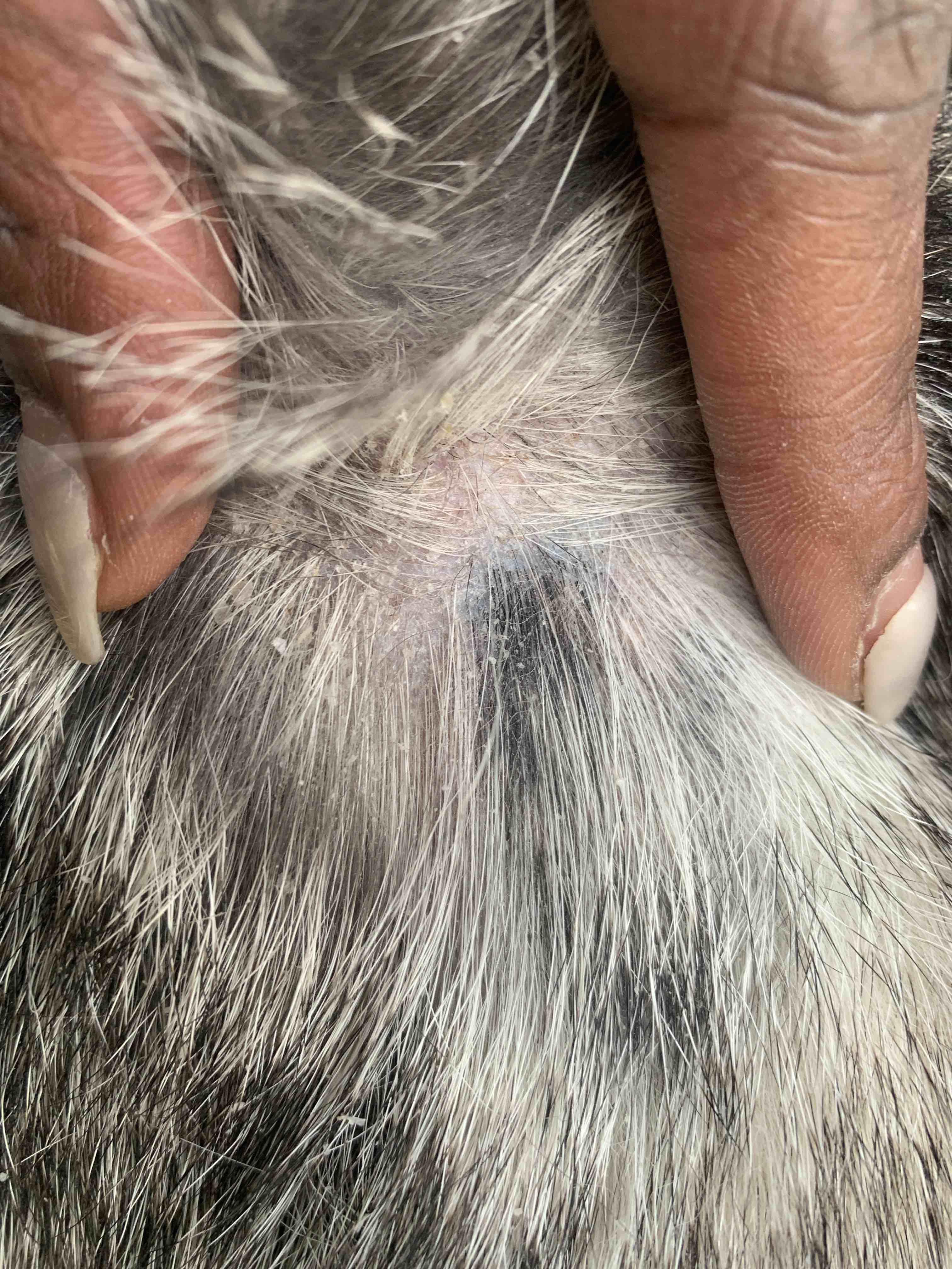
Why does my dog have painful bald patches and flakes on his back?

Updated On September 23rd, 2025

Pet's info: Dog | Siberian Husky | Male | neutered | 95 lbs

Recently noticed unusual patches in my boys coat. It is sometimes painful to him when brushed. It only seems to be on his back and hind. When the hair is moved against its growth pattern their are bald patches and the flakes as shown. He is an inside dog mostly and doesn’t like to be too hot or too cold lol. He is turning 10 this September. We do not shave him-only brushing when he goes through his shedding phases. However, his coat now does not look like it does when he does his big shed 2/year

This question includes photos that may contain sensitive content. Click to view.

View more to consider that the photos may include sensitive content.

1 Answer

Most Helpful Answer

Image profile

Answered By Dr. Massimo Orioles, DVM, Cert AVP, MRCVS

Veterinarian

Published on February 19th, 2020

Hi, and thanks for your question. This could be due to an allergy, although it could also be infection or mites. First of all, in order to rule out skin parasites, you will need to ask the vet to perform a skin scrape - this might reveal an infection or a mite infestation. If all of those came back negative, the next step is to treat the allergy symptomatically and try to discover the cause of the allergy. Three main type of allergies are usually affecting pets: food allergies, flea and parasite related ones and environmental type (allergens coming from trees, pollens, dust etc etc). Some medications can be given by the vet in order to repair any possible skin lesions (like steroids and antibiotics). The following products can be found online and can be tried as a first line approach: Douxo PS Calm shampoo, Essential 6 spot on by dermoscent, Krillex Krill oil chews. Hope this answer was helpful, but please do not hesitate to contact us again on the forum or by requesting a consultation if you have any more questions or to discuss it any further. If this answer was helpful please let us know, this will be used to improve our service!

Vote icon

1Pet Parents found this answer helpful

image
Have A Vet Question?

Book an appointment with the pros – our expert vets are here to help.

Sponsored