Petco Text Logo
Petco Pet Logo

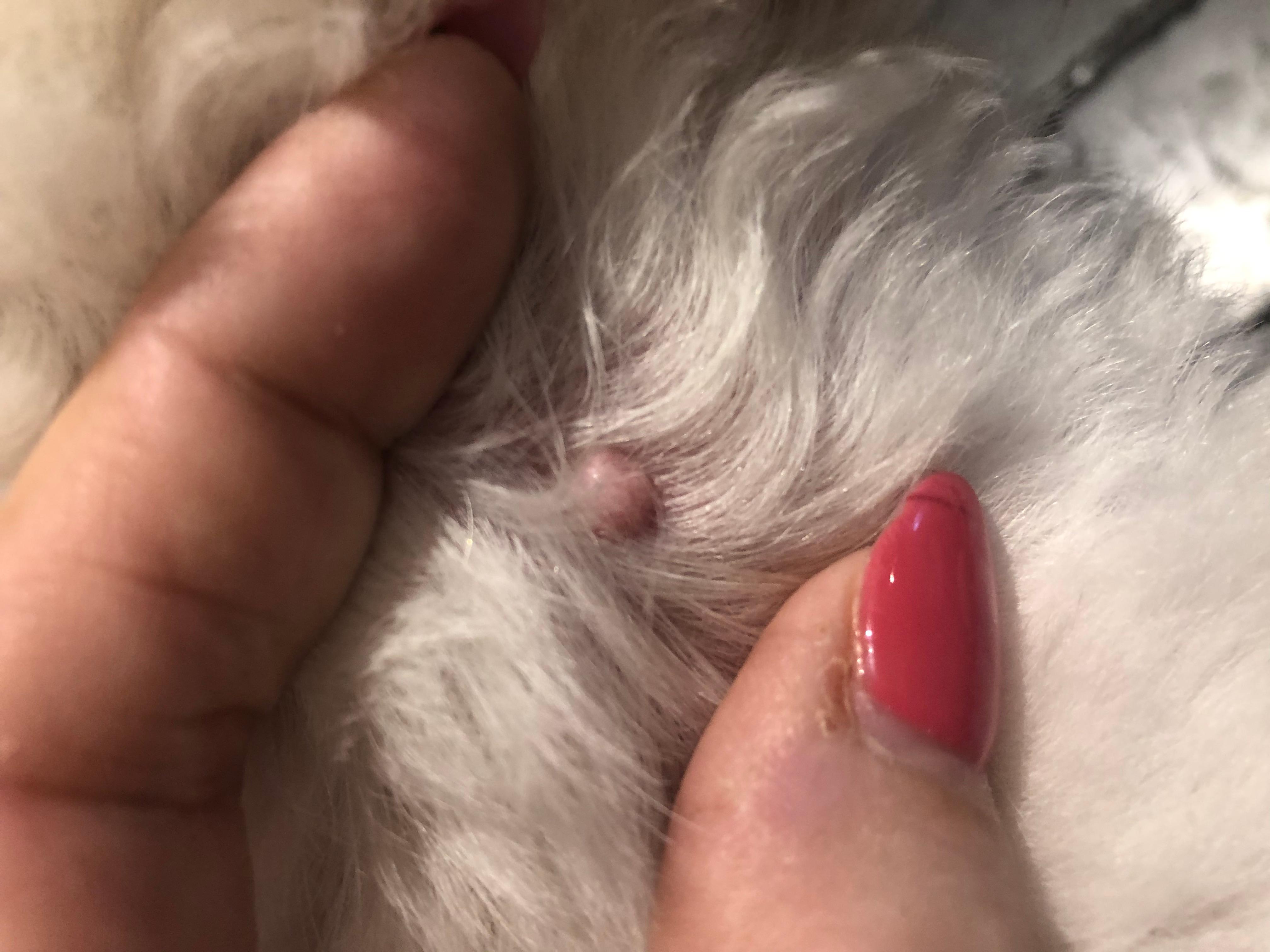
My dog has strange spots or bumps on his body. Should I worry?

Updated On September 23rd, 2025

Pet's info: Dog | Mixed Breed Small (up to 22lb) | Male | neutered | 9 years and 2 months old | 19 lbs

Hi my dog is getting the odd lesions on his body should I be concerned

This question includes photos that may contain sensitive content. Click to view.

View more to consider that the photos may include sensitive content.

1 Answer

Most Helpful Answer

Image profile

Answered By Linda G, MS, DVM

Veterinarian

Published on January 30th, 2020

Hello. Pretty much all of these look benign & not overly worrisome. But all new lumps, bumps & nodules should be pointed out to your veterinarian at Skittles next scheduled visit. If any of these lesions begins to change dramatically in size or color, or start to bleed, please have them evaluated quickly. Thanks for using Petco Pet Education Center, formerly Petcoach.

Vote icon

1Pet Parents found this answer helpful

image
Have A Vet Question?

Book an appointment with the pros – our expert vets are here to help.

Sponsored