Petco Text Logo
Petco Pet Logo

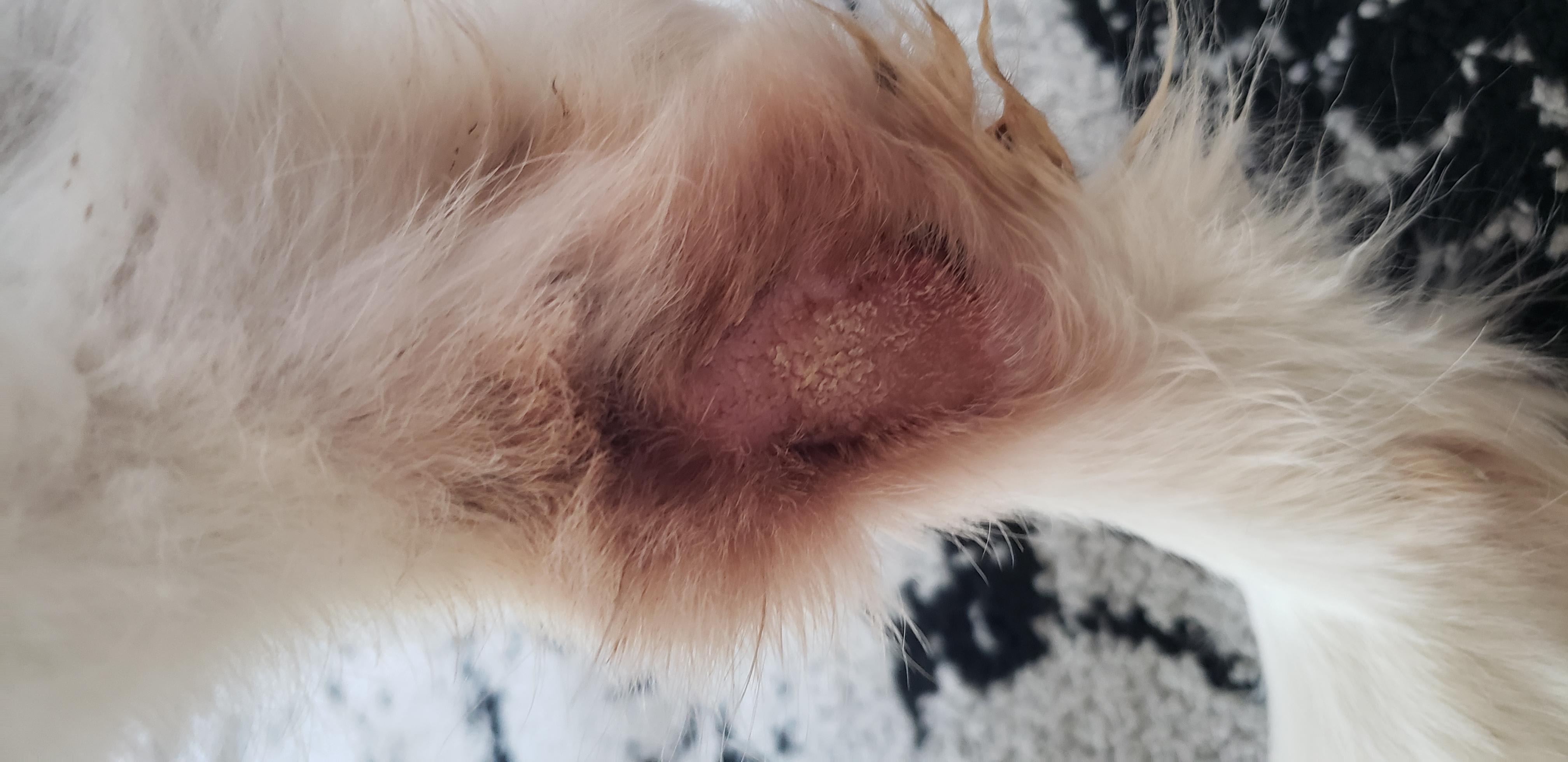
My dog has a hot spot. What are safe pet store treatment options?

Updated On September 23rd, 2025

Hi there. My dog has what I think is a hot spot. Is this what it is. If so what are the treatment options. Are hot spot products sold at the pet store safe to use?

This question includes photos that may contain sensitive content. Click to view.

View more to consider that the photos may include sensitive content.

1 Answer

Most Helpful Answer

Image profile

Answered By Daniel Fonza, DVM

Veterinarian

Published on December 12th, 2019

Hi there and thank you for using Petco Pet Education Center, formerly Petcoach! Based on the picture, it does appear that this could be a hot spot. I typically recommend using products that soothe and treat infection. What I would recommend would be Well & Good Hydrocortisone spray (at Petco) and Miconahex + Triz spray and apply both of these twice daily until resolved. If there is no improvement within 7 days, I would recommend taking your dog in to be seen by a veterinarian so that the most appropriate diagnostic and treatment recommendations can be made. I hope this helps!

Vote icon

3Pet Parents found this answer helpful

image
Have A Vet Question?

Book an appointment with the pros – our expert vets are here to help.

Sponsored