Petco Text Logo
Petco Pet Logo

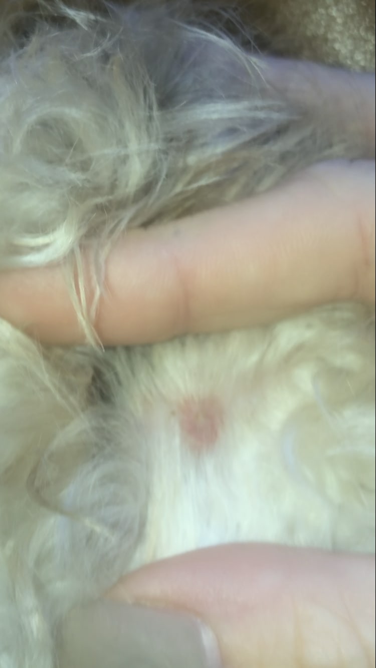
My dog has a red mark after a tick bite. Should I worry about Lyme?

Updated On September 23rd, 2025

Pet's info: Dog | Goldendoodle | Male | neutered | 9 months and 9 days old | 25 lbs

My dog got covered in ticks on our walk a few days ago and one of them hit him by his mouth- he has had a big red mark where he got bit ever since and I’m worried he’ll get lymes. He had chewables for ticks and fleas but ran out a couple months ago and I’ve been meaning to get more. Should I bring him to the vet? He’s acting okay as of now but I don’t want to wait if the mark isn’t normal and hasn’t went away yet. I wasn’t able to get the best photo but there’s a little white spot in the middle

This question includes photos that may contain sensitive content. Click to view.

View more to consider that the photos may include sensitive content.

1 Answer

Most Helpful Answer

Image profile

Answered By Angel Alvarado, LVT

Licensed Veterinary Technician

Published on November 20th, 2020

Keep the area clean and dry. You can use a diluted Betadine or chlorhexidine (Hibiclens) solution to clean the area daily. Tick bites frequently result in a red, raised area (tick bite granuloma) after the tick drops off or is removed. The good news is that they resolve on their own within a few weeks. Resume Iggy's tick prevention and perform tick checks after being outdoors. You can have him tested for tick borne diseases in 6-8 weeks. https://www.petcoach.co/article/how-to-check-your-pet-for-fleas-and-ticks/ https://www.petcoach.co/article/what-to-do-if-you-spot-a-tick-on-your-pet-or-in-your-home/

Vote icon

1Pet Parents found this answer helpful

image
Have A Vet Question?

Book an appointment with the pros – our expert vets are here to help.

Sponsored