Petco Text Logo
Petco Pet Logo

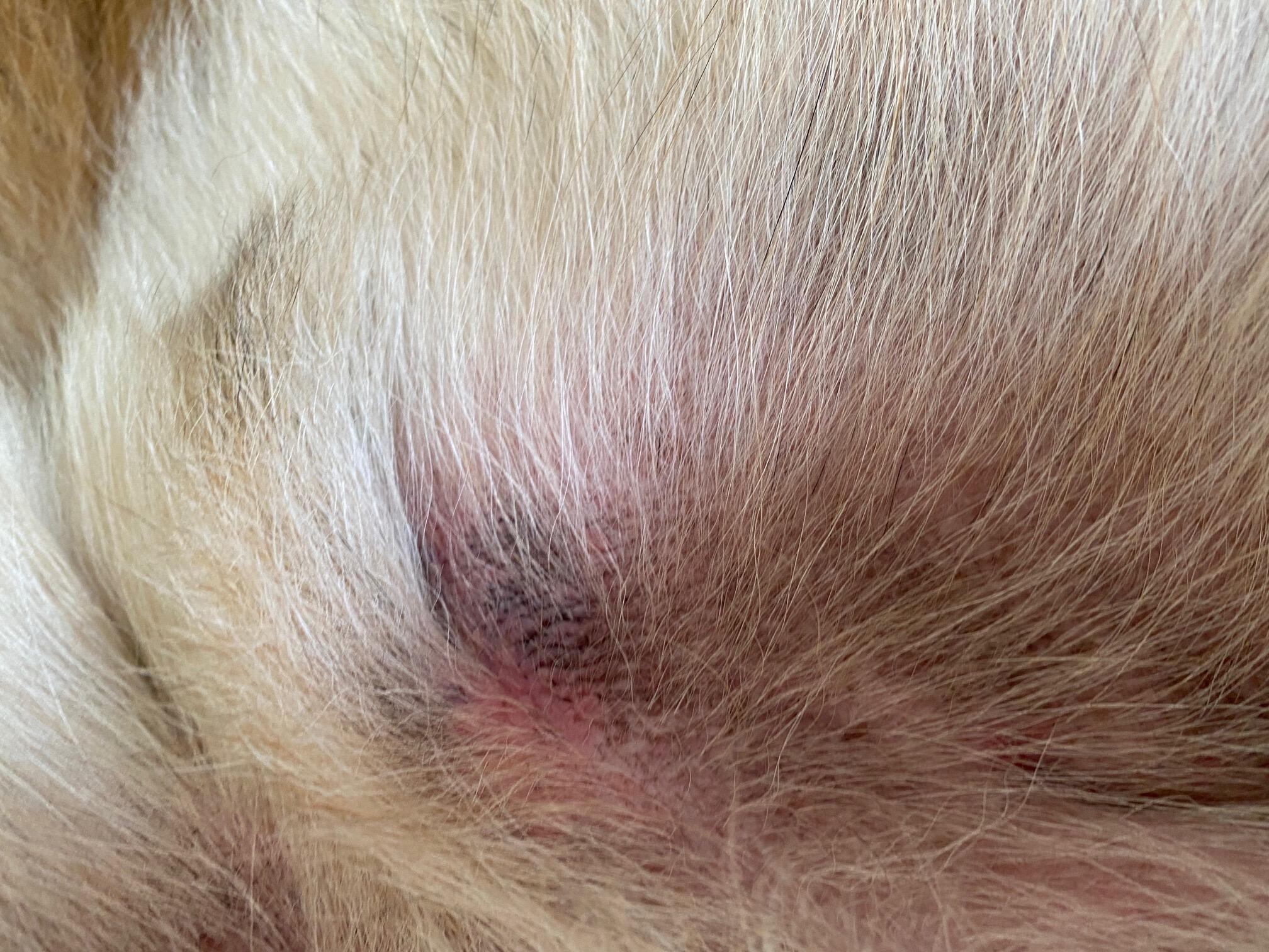
Why does my dog have a dark purple itchy rash on his groin area?

Updated On September 23rd, 2025

Pet's info: Dog | German Shepherd | Male | neutered | 5 years and 7 months old | 80 lbs

Hello, I just noticed that my dog has developed this thick, dark purple, itchy rash on his groin area. I figured it could be from stress, we did just move to a new house yesterday and he did go to his groomer for his normal bath three days ago. I've never seen him have a rash like this before... although he doesn't seem to bothered by it. Just noticed when he was scratching. I appreciate your help in advance.

This question includes photos that may contain sensitive content. Click to view.

View more to consider that the photos may include sensitive content.

1 Answer

Most Helpful Answer

Image profile

Answered By Jessica Desrosiers

Veterinary Technician

Published on September 14th, 2020

Ouch! That does look pretty irritated. If it's on Rocky's belly or underside, it is possible he's rubbed up against something in the new house or during the move/groom that caused irritation. I would keep the area clean and dry with some pet wipes, and place an Elizabethan (cone) collar on him or a T-shirt to prevent him from licking and chewing the spot as that can cause an increase in irritation. If the area doesn't resolve, worsens, visible sores or wounds appear, or it seems to be changing rapidly, having a vet look in person is best to rule out more serious allergy, getting into something, infections, etc that could be a cause.

Vote icon

4Pet Parents found this answer helpful

image
Have A Vet Question?

Book an appointment with the pros – our expert vets are here to help.

Sponsored