Petco Text Logo
Petco Pet Logo

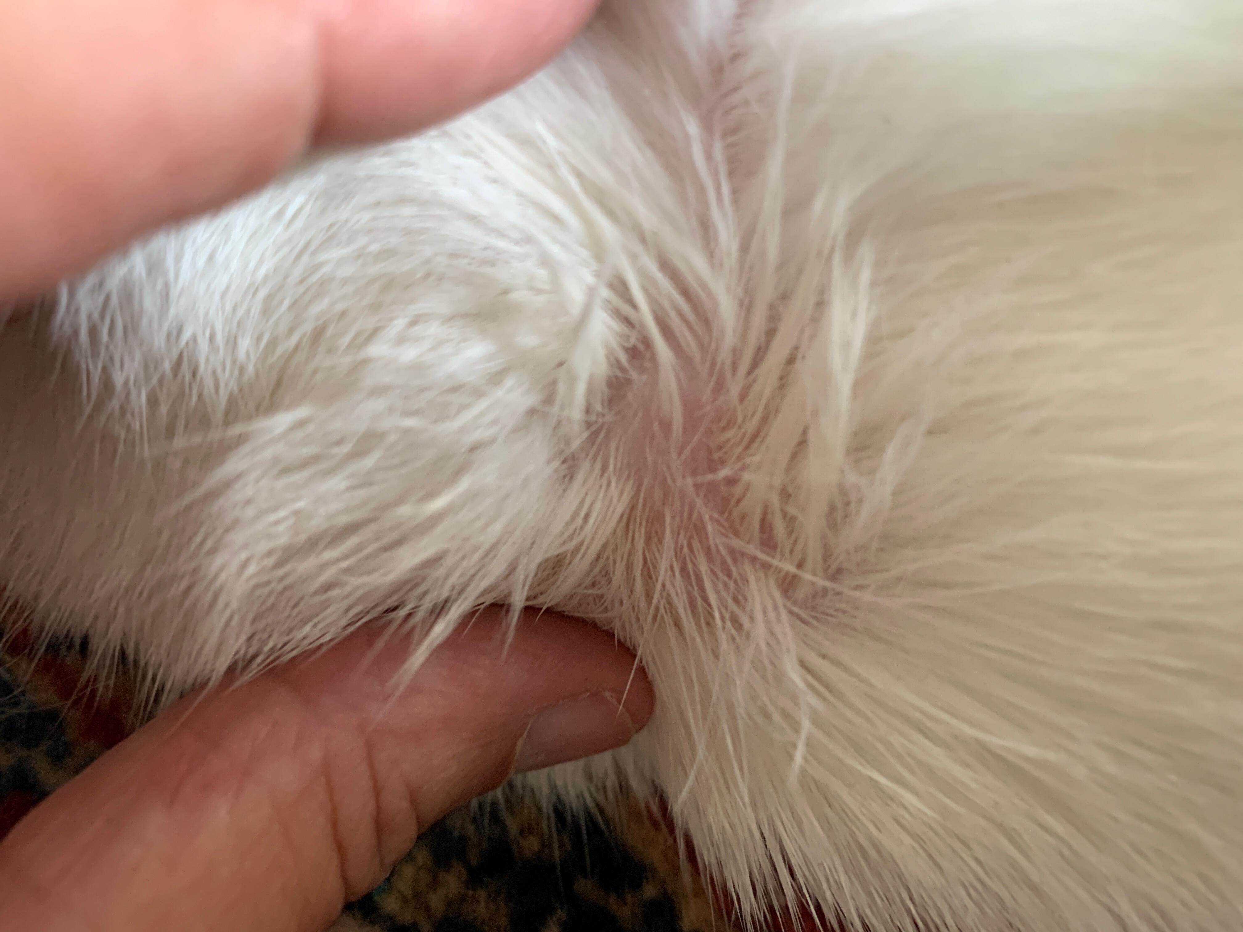
My cat has a bald spot with black dots on its neck. What should I do?

Updated On September 23rd, 2025

Pet's info: Cat | Siamese | Male | neutered | 12 lbs

My cat has a bald spot on his neck that has some black dots in it, what do I do?

This question includes photos that may contain sensitive content. Click to view.

View more to consider that the photos may include sensitive content.

1 Answer

Most Helpful Answer

Image profile

Answered By Dr. Melanie, BVSc MS

Veterinarian

Published on August 10th, 2020

Thank you for the pictures, they are very helpful. I see what you mean about the bald spot and black spots. The black spots could be due to flea dirt, and scratching the area could cause the bald spot. Fleas don't live on the cat, they actually live in the environment. They just jump on the cat to feed and then jump off, so he could have fleas even if you don't see any. Make sure he is up to date on his flea treatments if he's not. Should he be up to date on his flea treatments, then this could be due to an injury (the black spots could be dirt), or an infection of the skin. In this case, you have two options. You could take him into the vet to get it examined and diagnosed, or you could watch it. Should you chose to watch it, take him into the vet if it gets bigger, appears infected, or starts to bother him. I don't think any immediate treatment is needed should you chose to watch the area. I hope this helps!

Vote icon

6Pet Parents found this answer helpful

image
Have A Vet Question?

Book an appointment with the pros – our expert vets are here to help.

Sponsored