Petco Text Logo
Petco Pet Logo

Why can't my dog walk? Diagnosed with hip dysplasia & spondylosis.

Updated On September 23rd, 2025

Pet's info: Dog | American Bully | Female | unspayed | 2 years and 4 months old

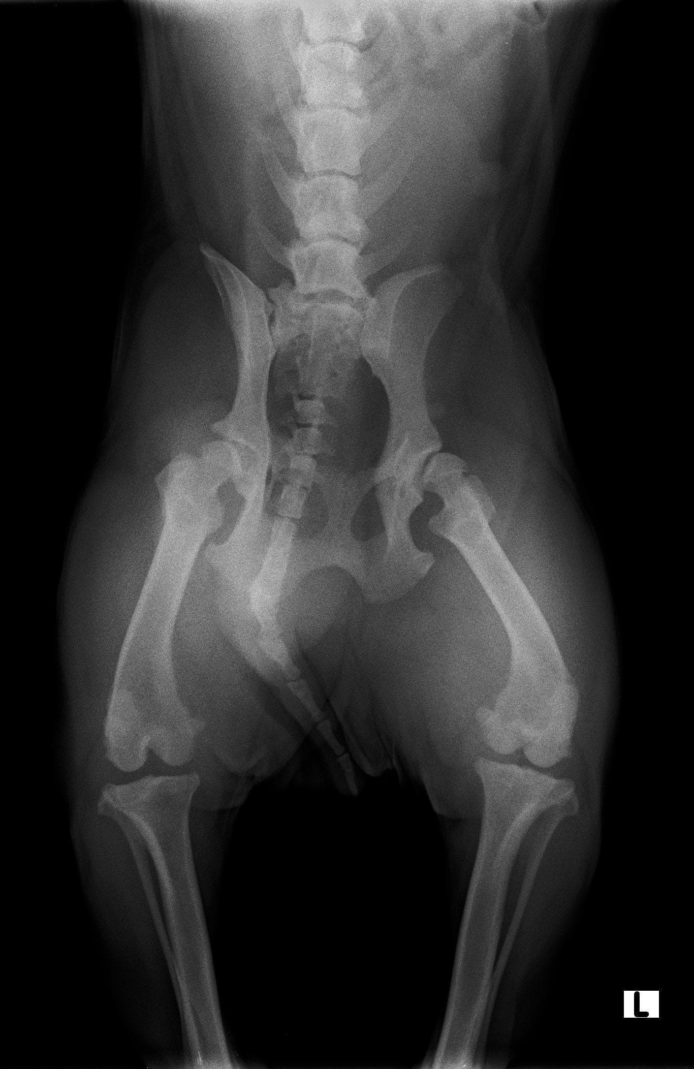
Hello, I am looking for a second though on my dogs bone conditions. She all of a sudden today couldn't walk. The pet accomodation messaged to tell.me this midday. I had her X rated and apparently she has both Hip Dysplasia and Spondylosis. 1. From the phoso of each can you indicate level of severity in each case and how long they potentially been present for? 2. Indicate which of the two is causing her not to walk Thank you

This question includes photos that may contain sensitive content. Click to view.

View more to consider that the photos may include sensitive content.

1 Answer

Most Helpful Answer

Image profile

Answered By Tomasz Wnuk

Veterinarian

Published on August 7th, 2020

Hello and thank you for contacting Petco Pet Education Center, formerly Petcoach. There is severe hip dysplasia present in both hips, I am afraid. The left hip id also subluxated and I suspect it is causing more discomfort than the right hip. Hip dysplasia is a disease that dogs are born with. Arya must have had it sine a puppy but most likely it was not as severe as now. Spondylosis in the lumbar spine is usually a result of infection of intervertebral disc. Typically, it is an accidental finding in dogs that do not cause mobility problems. However, CT scan of the spine would give more detailed information about the severity of spondylosis.

Vote icon

1Pet Parents found this answer helpful

image
Have A Vet Question?

Book an appointment with the pros – our expert vets are here to help.

Sponsored