Petco Text Logo
Petco Pet Logo

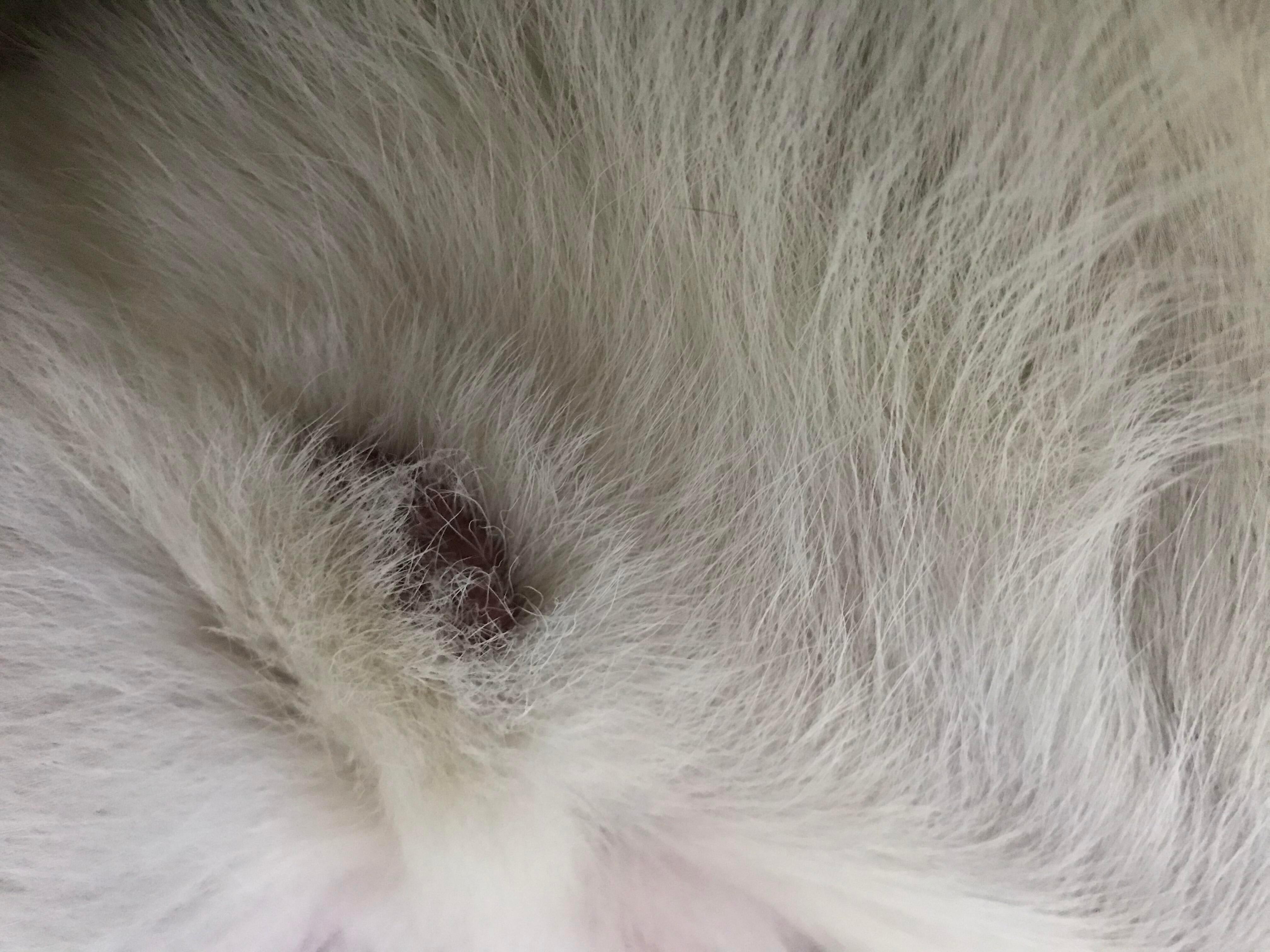
Why is my dog licking his neutered area? Is it fleas or an infection?

Updated On September 23rd, 2025

Pet's info: Dog | Siberian Husky | Male | neutered | 50 lbs

My dog was neutered 6 months ago and I’m noticing him licking himself a lot in the area today and it’s also a little red. It looks like it’s a little sore. We recently had another dog in our house that had fleas and we have been treating our dogs for fleas since the dog has left. Could the sore possibly be from fleas, or is there another issue we should be worried about?

This question includes photos that may contain sensitive content. Click to view.

View more to consider that the photos may include sensitive content.

1 Answer

Most Helpful Answer

Image profile

Answered By Dr. Melanie, BVSc MS

Veterinarian

Published on August 4th, 2020

Poor Shiloh, I see what you mean about the sore. Yes, this could be due to the fleas. I would put a cone on him to keep him from licking the area. You can get one at a pet store if you don't already have one. Keep an eye on the sore and if it gets worse or appears infected, then I would have him seen by a vet. I hope this helps!

Vote icon

1Pet Parents found this answer helpful

image
Have A Vet Question?

Book an appointment with the pros – our expert vets are here to help.

Sponsored