Petco Text Logo
Petco Pet Logo

My senior Maltipoo has a growing lump on her back. What is it?

Updated On September 23rd, 2025

Pet's info: Dog | DOG-SMALL-SHORTHAIR | Female | spayed | 6 lbs

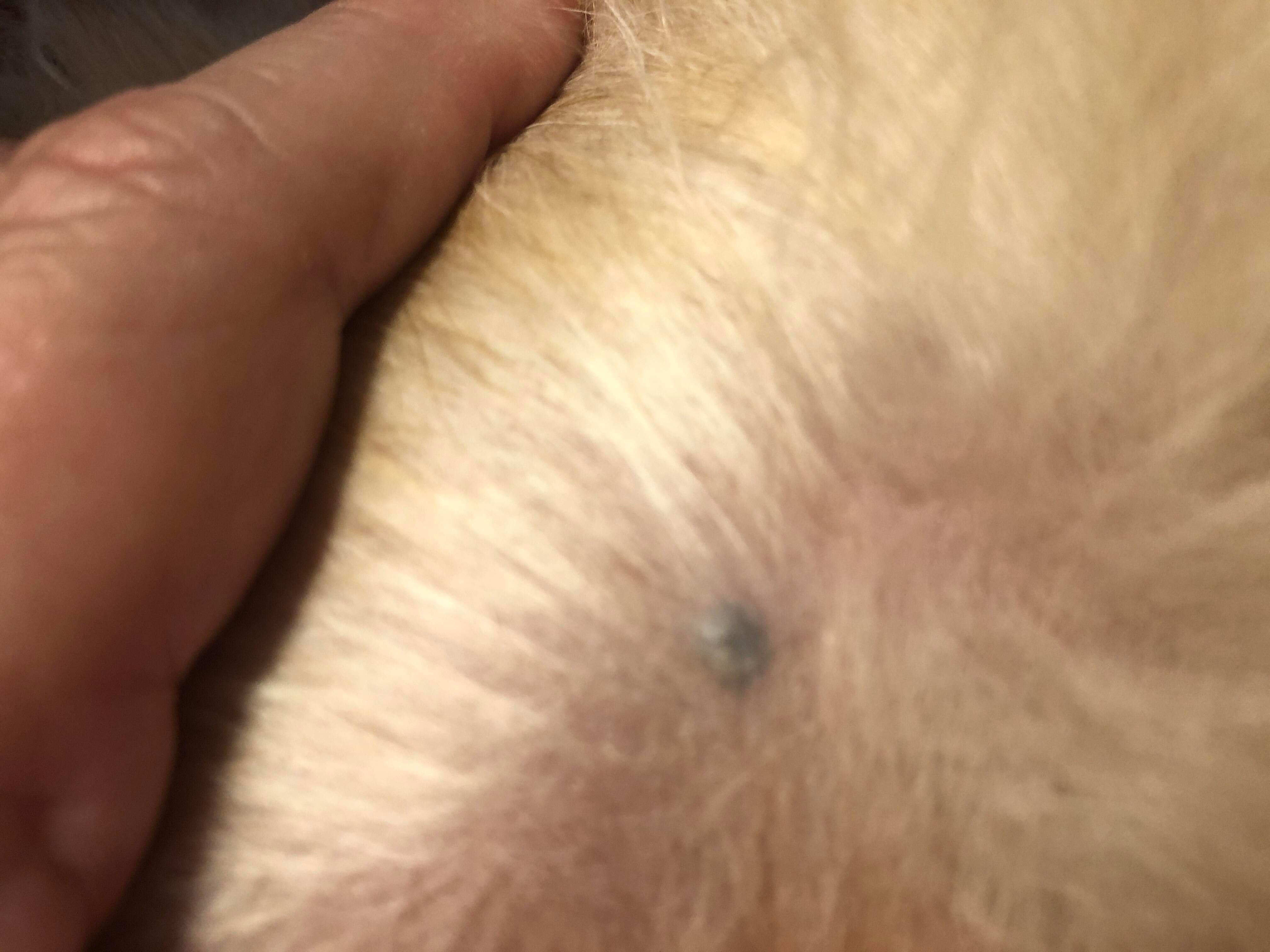
I rescued a Maltipoo, who is about 7 yrs old now. I noticed what looks like a blood blister on her back about two months ago. It has gotten a little bigger. I’m on a fixed income and really appreciate any information you can share.

This question includes photos that may contain sensitive content. Click to view.

View more to consider that the photos may include sensitive content.

1 Answer

Most Helpful Answer

Image profile

Answered By Sara Farmer, DVM

Veterinarian

Published on May 5th, 2020

This looks like it could be a cyst. It might also be some other type of skin growth. If it is growing there might be more concern that it is something serious and it would be best to see your vet. If it does not seem to bother Luci and is not increasing in size it would probably be okay to wait a bit before seeing your vet.

Vote icon

1Pet Parents found this answer helpful

image
Have A Vet Question?

Book an appointment with the pros – our expert vets are here to help.

Sponsored