Petco Text Logo
Petco Pet Logo

My dog has an itchy lump on his side. Should I take him to the vet?

Updated On September 23rd, 2025

Pet's info: Dog | Bullmastiff | Male | unneutered | 7 months and 12 days old | 70 lbs

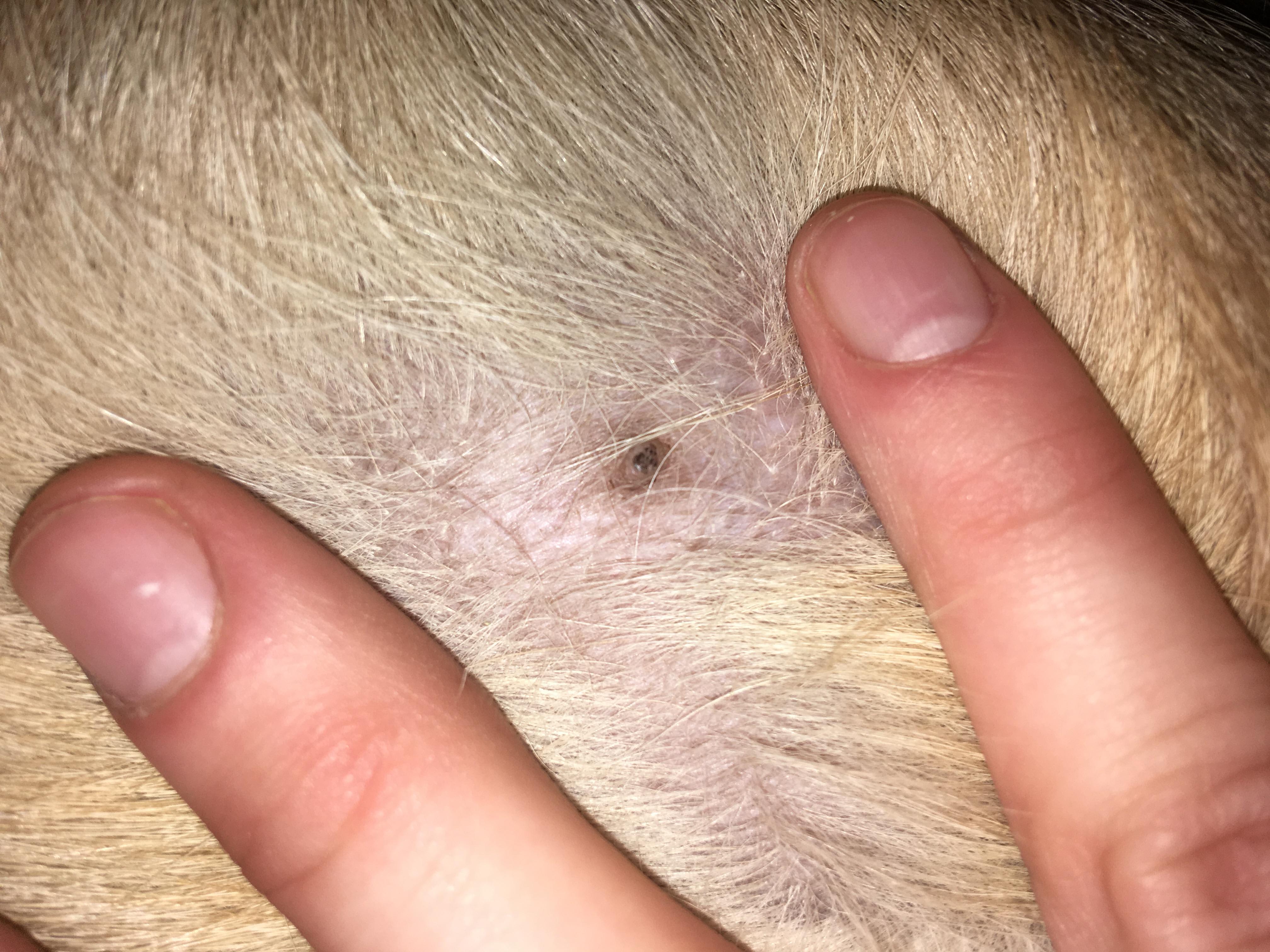
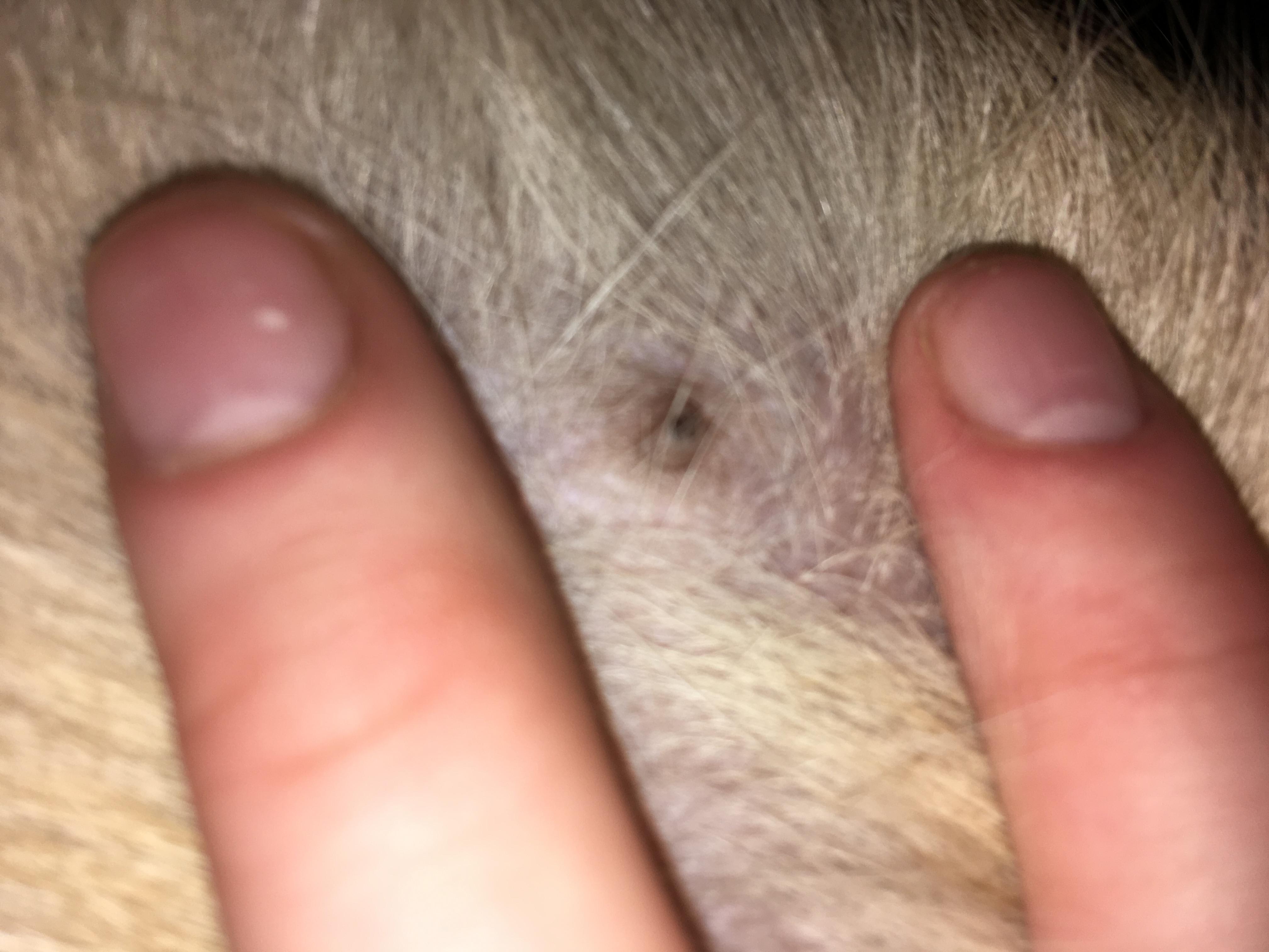
Can anyone tell me what this is? He’s been itching it and I’m not sure what it is. It’s on his side and there’s only one

This question includes photos that may contain sensitive content. Click to view.

View more to consider that the photos may include sensitive content.

1 Answer

Most Helpful Answer

Image profile

Answered By Andrea M. Brodie, DVM

Veterinarian

Published on May 21st, 2018

That could be a little cyst or tumor or a black head (pimple) If your dog keeps scratching it, you should have it examined by a vet who can evacuate it in such a manner that it does not get infected, If it is a little tumor that keeps bothering him, it will be better to have it removed.

Vote icon

1Pet Parents found this answer helpful

image
Have A Vet Question?

Book an appointment with the pros – our expert vets are here to help.

Sponsored