Petco Text Logo
Petco Pet Logo

My dog has a bump on his stomach. Is it a nipple? Is limping related?

Updated On September 23rd, 2025

Pet's info: Dog | Mixed Breed Medium (23 - 60lb) | Male | neutered | 5 years and 3 months old | 26 lbs

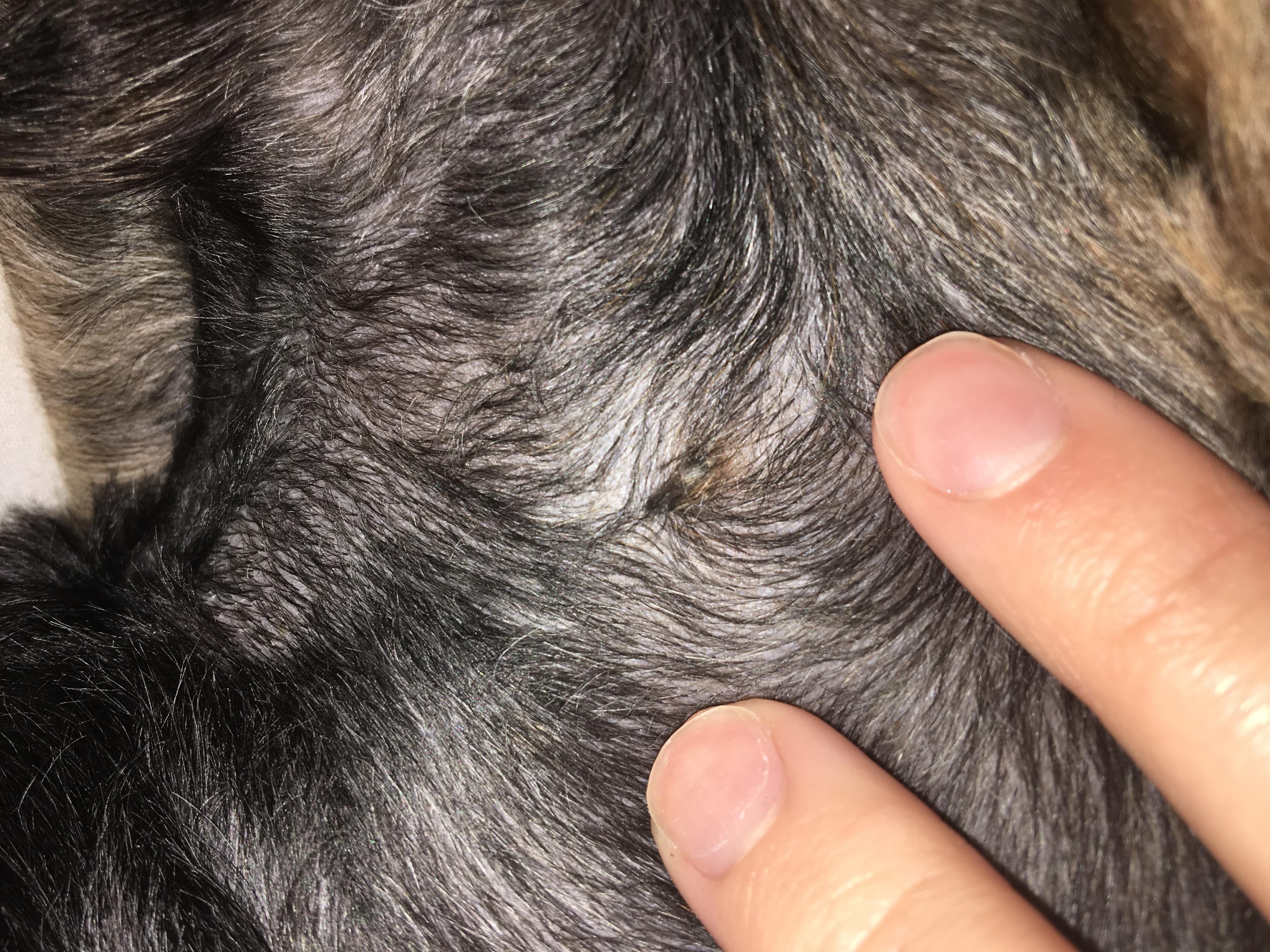
Ok so the other day my dog fell asleep and he always rolls on his back so his stomach was showing, he has this frekle near his leg which is completely normal for him but a few centimetres above it was this bump, at first I thought it was a tick and freaked out. After looking closer at it, it looked like an inverted nipple maybe? I have no idea. He doesn’t seem to be in any pain, he was limping the other day but I don’t know if that was related.

This question includes photos that may contain sensitive content. Click to view.

View more to consider that the photos may include sensitive content.

1 Answer

Most Helpful Answer

Image profile

Answered By Dr. Melanie, BVSc MS

Veterinarian

Published on May 20th, 2018

I agree, the bump in the picture looks like a nipple, which is a normal part of a dog's anatomy. Chewy's limping won't be related to that, and limping is a sign of pain in dogs. It could be he injured himself causing the limping. If he's no longer limping, I wouldn't be concerned, but definitely take him into a vet tomorrow if he is still limping. Best of luck.

Vote icon

1Pet Parents found this answer helpful

image
Have A Vet Question?

Book an appointment with the pros – our expert vets are here to help.

Sponsored