Petco Text Logo
Petco Pet Logo

What's this small, hard, pink lump on my dog's elbow? Is it serious?

Updated On September 23rd, 2025

Pet's info: Dog | Mixed Breed Medium (23 - 60lb) | Male | neutered | 4 years and 1 month old | 40 lbs

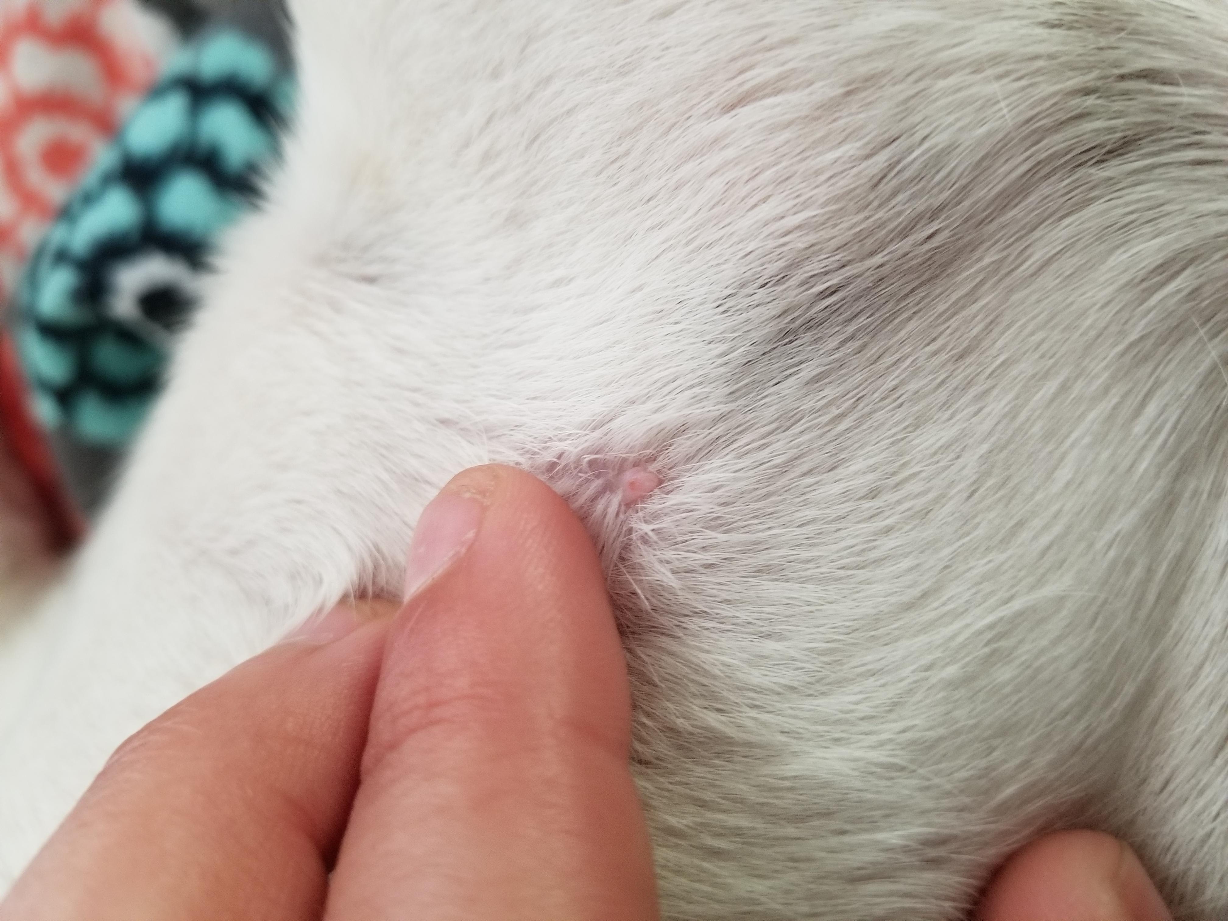
Hi! I ended up discovering a small lump on my dog's front right leg, right by his "elbow". It's smaller than a grain of rice, light pink, and has a small red dot in the center. It's pretty hard too, and kind of looks like it has another little one growing next to it. I was just curious how serious you think it might be. Thank you!

This question includes photos that may contain sensitive content. Click to view.

View more to consider that the photos may include sensitive content.

1 Answer

Most Helpful Answer

Image profile

Answered By Emily Luisana DVM

Veterinarian

Published on May 7th, 2018

Hello! This would not worry me too much as it looks suspicious for a benign growth or related to pressure from sitting/laying on his elbow. However the only way to know for sure would be to see it in person and to sample it. If it is recently noticed, I think it would be ok to monitor it for growth or irritation and have it sampled if you have any concerns. I hope this helps!

Vote icon

1Pet Parents found this answer helpful

image
Have A Vet Question?

Book an appointment with the pros – our expert vets are here to help.

Sponsored