Petco Text Logo
Petco Pet Logo

My dog's surgery site is discolored and she licks it. Is it serious?

Updated On September 23rd, 2025

Pet's info: Dog | Labrador Retriever | Female | spayed | 9 years and 1 month old | 83 lbs

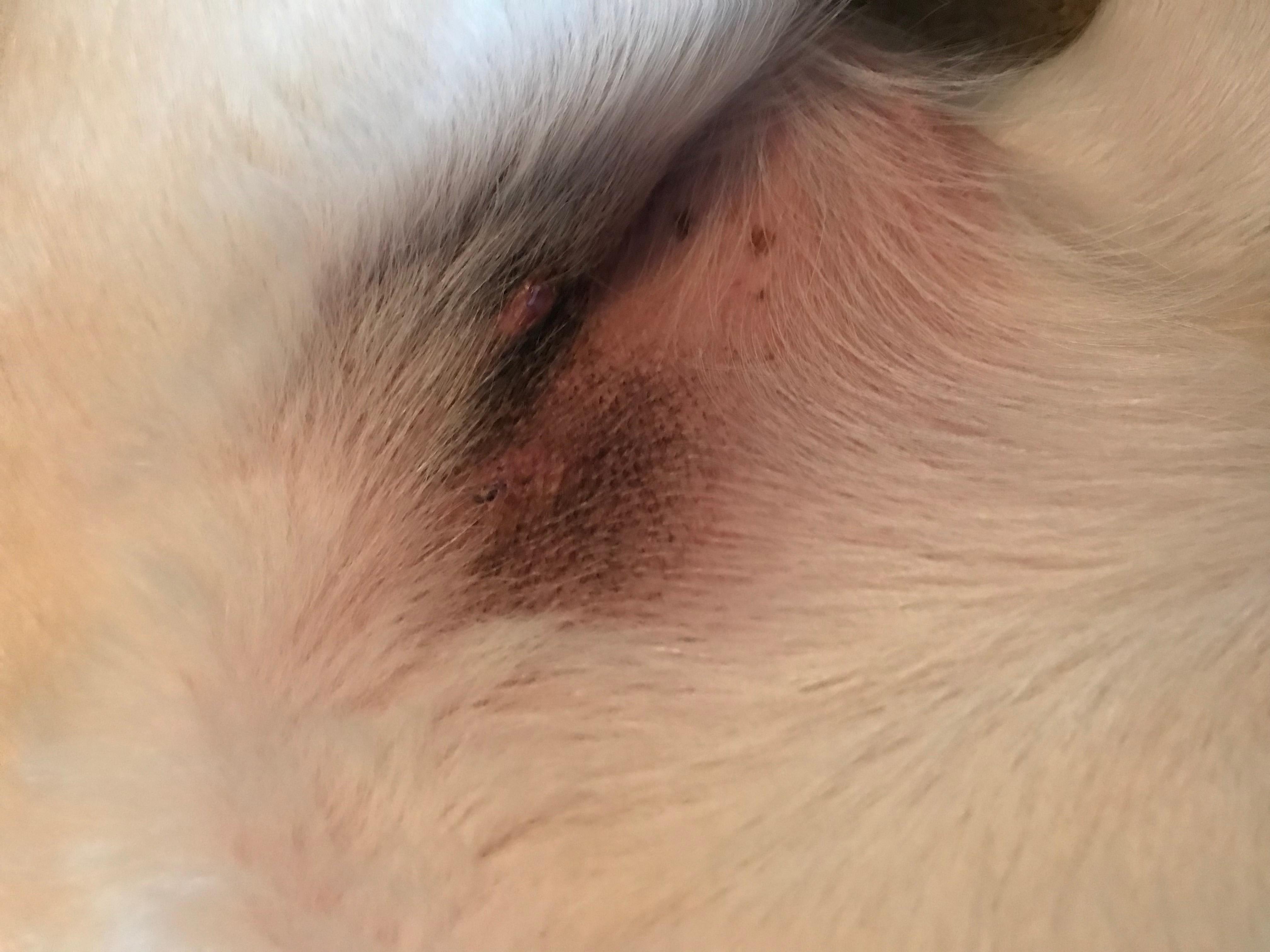
My dog had surgery over a month ago and she had a skin tag removed while she was having surgery. The area looks discolored and she licks it a lot. We started putting some triple antibiotic creme on. Which helps but not sure if it’s something serious

This question includes photos that may contain sensitive content. Click to view.

View more to consider that the photos may include sensitive content.

1 Answer

Most Helpful Answer

Image profile

Answered By David Elbeze, DVM, MRCVS

Veterinarian

Published on April 28th, 2018

The area definitely looks inflamed, it might not be anything serious but as it appeared on the same area where the surgery was done i would recommend taking her for a checkup at the same vet that did the surgery if possible.

Vote icon

1Pet Parents found this answer helpful

image
Have A Vet Question?

Book an appointment with the pros – our expert vets are here to help.

Sponsored