Petco Text Logo
Petco Pet Logo

My dog keeps biting a spot on his side. What is it and how to treat?

Updated On September 23rd, 2025

Pet's info: Dog | Siberian Husky | Male | 2 years old

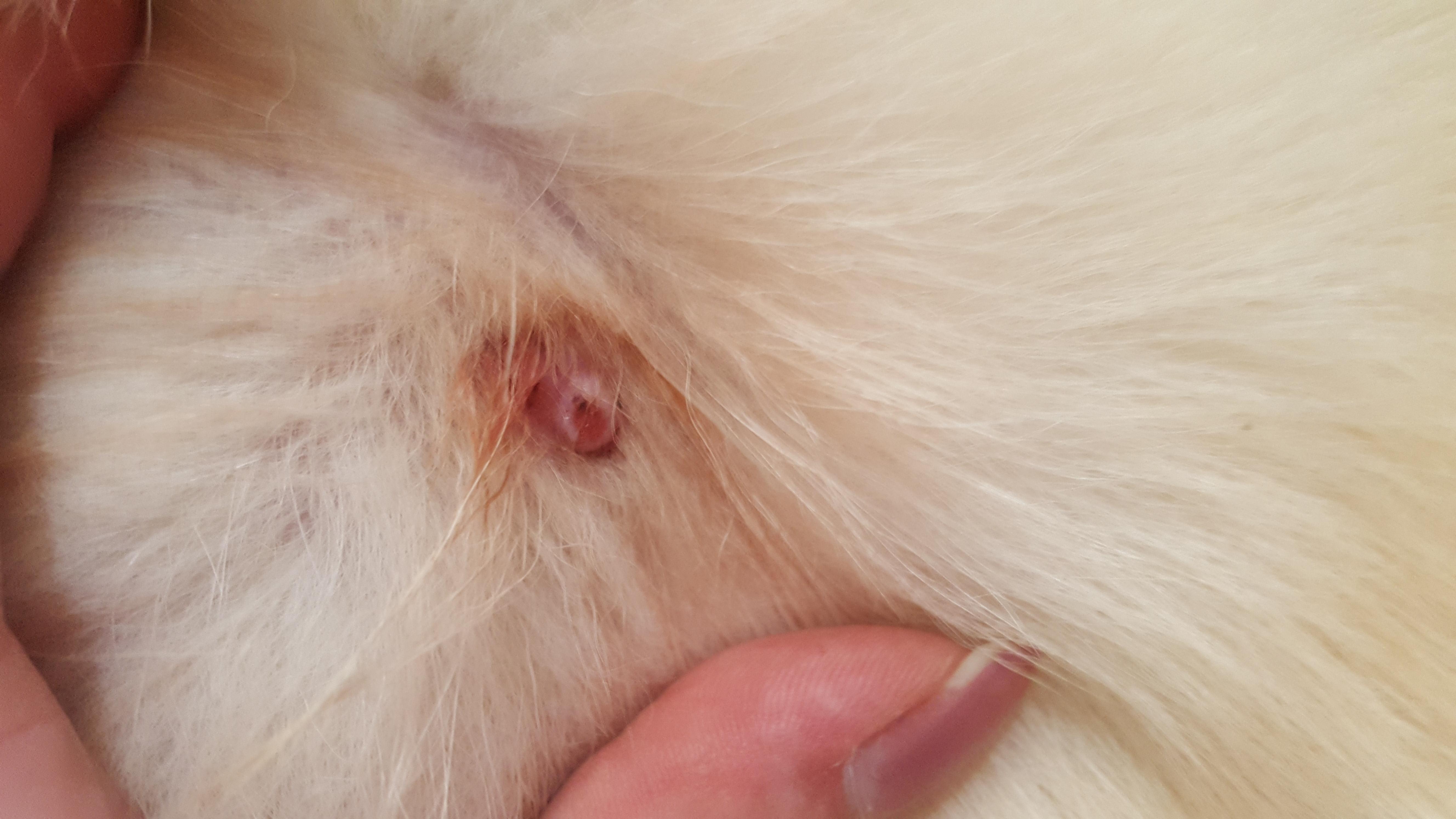
Ghost has a spot on his side and he keeps biting at it i would like to know what it is if possible and how to treat it i have been bathing it 3 times a day with kettle water and cotton wool balls

This question includes photos that may contain sensitive content. Click to view.

View more to consider that the photos may include sensitive content.

1 Answer

Most Helpful Answer

Image profile

Answered By Angel Alvarado, LVT

Licensed Veterinary Technician

Published on April 25th, 2018

It appears to be a small mass or skin tag. You can place an e-collar (cone) on him to prevent further licking or chewing. This may be enough to allow healing. If not, have him examined by your veterinarian. If the spot has become infected, Ghost may need antibiotics. Anti-inflammatory medication may provide relief. A simple fine needle aspirate can also be done in the clinic to collect samples for pathology if indicated. This may provide a diagnosis.

Vote icon

1Pet Parents found this answer helpful

image
Have A Vet Question?

Book an appointment with the pros – our expert vets are here to help.

Sponsored