Petco Text Logo
Petco Pet Logo

My yorkie puppy has a paw defect. Is toe amputation necessary?

Updated On September 23rd, 2025

Pet's info: Dog | Yorkshire Terrier | Female | 10 months and 16 days old | 6 lbs

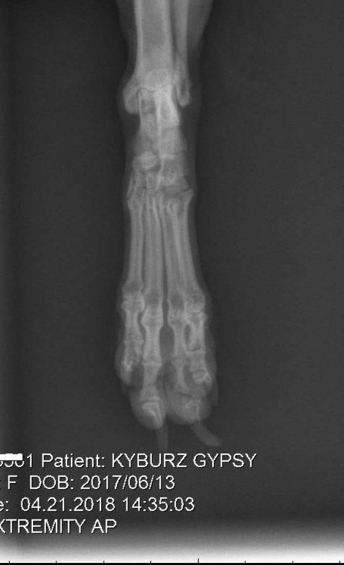
Took my 10 month old yorkie puppy to the vet today as her rear paw pad looked strange (see photo). They did X-rays and determined it's a congenital defect with the bone. They want to amputate her toe. Looking for Second opinion. I have attached photos of the x-rays

This question includes photos that may contain sensitive content. Click to view.

View more to consider that the photos may include sensitive content.

1 Answer

Most Helpful Answer

Image profile

Answered By Andrea M. Brodie, DVM

Veterinarian

Published on April 21st, 2018

If the toe is causing Gypsy pain or if it is causing medical problems, then amputation may be the proper way to go. If it is not causing her any problems or pain, then I see no reason why the toe needs to be amputated. That said, I have not seen your puppy in person nor have I been able to examine the paw for problems. So I can only go by what I see on the x-ray and photo.

Vote icon

1Pet Parents found this answer helpful

image
Have A Vet Question?

Book an appointment with the pros – our expert vets are here to help.

Sponsored