Petco Text Logo
Petco Pet Logo

My cat has a wound with pus and is losing fur. Does she need a vet?

Updated On September 23rd, 2025

Pet's info: Cat | Mixed Breed | Female | spayed | 6 lbs

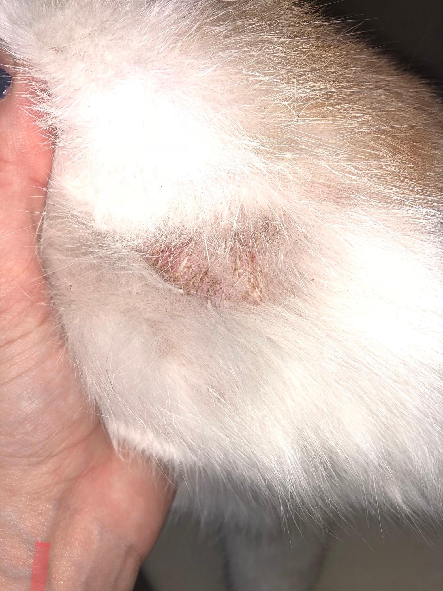
Today we noticed female cat(1 year old ish) has a (almost round) wound under her arm. It has some puss forming. Also noticed small patches of fur missing in random places on her body.

This question includes photos that may contain sensitive content. Click to view.

View more to consider that the photos may include sensitive content.

1 Answer

Most Helpful Answer

Image profile

Answered By Dr. Melanie, BVSc MS

Veterinarian

Published on April 18th, 2018

Poor LeeLou! I'm wondering if she's allowed to be outside, and if she is, it could be that she go into a fight with another animal. If she has a wound with pus in it, then it's infected and she has to see a vet for antibiotics. I would call your vet now to make an appointment to have her seen by a vet to get this wound examined and treated. Best of luck, I hope this helps!

Vote icon

1Pet Parents found this answer helpful

image
Have A Vet Question?

Book an appointment with the pros – our expert vets are here to help.

Sponsored